Titel Logo
Nohfelder Nachrichten
Ausgabe 46/2023
Amtliche Bekanntmachungen
Zurück zur vorigen Seite
Zurück zur ersten Seite der aktuellen Ausgabe

Amtliche Bekanntmachung

Teiländerung des Flächennutzungsplanes der Gemeinde Nohfelden für den Bereich des Bebauungsplanes

„2. Erweiterung Golfpark Bostalsee“ im Ortsteil Eisen

hier: Bekanntmachung über die Einleitung des Verfahrens und

frühzeitige Beteiligung der Öffentlichkeit (öffentliche Auslegung)

Der Gemeinderat hat in seiner Sitzung am 09.11.2023 – öffentlicher Sitzungsteil - die Einleitung des Verfahrens zur Teiländerung des Flächennutzungsplanes der Gemeinde Nohfelden gemäß § 1 Abs. 3 und § 2 Abs. 1 BauGB in Verbindung mit § 8 Abs. 3 BauGB in der Fassung der Bekanntmachung vom 03. November 2017 (BGBI. I S. 3634) - unter Berücksichtigung der aktuell gültigen Änderungen – für den Bereich des Bebauungsplanes „2. Erweiterung Golfpark Bostalsee“ beschlossen.

Der Flächennutzungsplan der Gemeinde Nohfelden soll parallel zur Aufstellung des Bebauungsplanes „2. Erweiterung Golfpark Bostalsee“ teilgeändert werden.

Der Beschluss des Gemeinderates vom 09.11.2023 zur Einleitung des Verfahrens wird gemäß § 2 Abs. 1 BauGB hiermit öffentlich bekannt gemacht.

Gegenstand der vorliegenden Teiländerung des Flächennutzungsplanes ist die Darstellung einer Grünfläche mit der Zweckbestimmung Golfsport, um die Erweiterung des Golfparks planerisch vorzubereiten. Der Flächennutzungsplan der Gemeinde stellt für das Plangebiet eine Waldfläche dar. Nachrichtlich ist die Umgrenzung eines Landschaftsschutzgebietes dargestellt.

Die Grenze des räumlichen Geltungsbereiches der Teiländerung umfasst den Geltungsbereich des Bebauungsplanes „2. Erweiterung Golfpark Bostalsee“. Die genauen Grenzen des Geltungsbereiches der Teiländerung des Flächennutzungsplanes sind dem beigefügten Lageplan zu entnehmen. Er umfasst eine Fläche von ca. 0,9 ha.

Im Rahmen der Teiländerung des Flächennutzungsplanes für den Bereich des Bebauungsplanes „2. Erweiterung Golfpark Bostalsee“ wird eine Umweltprüfung gem. § 2 Abs. 4 BauGB durchgeführt und ein Umweltbericht gem. § 2a BauGB erstellt. Ein Entwurf des Umweltberichts liegt bereits vor und wird nach Abschluss der frühzeitigen Beteiligung der Öffentlichkeit, der Behörden und sonstiger Träger öffentlicher Belange sowie der Nachbargemeinden gem. § 3 Abs. 1 BauGB, § 4 Abs. 1 BauGB und § 2 Abs. 2 BauGB fertiggestellt.

In seiner Sitzung am 09.11.2023 hat der Gemeinderat – in öffentlichem Sitzungsteil - die Entwurfsplanung, bestehend aus der Planzeichnung, der Begründung sowie dem Umweltbericht, zur Teiländerung des Flächennutzungsplanes für den Bereich des Bebauungsplanes „2. Erweiterung Golfpark Bostalsee““ gebilligt und die frühzeitige öffentliche Auslegung beschlossen.

Gemäß 3 Abs. 1 BauGB in Verb. mit § 4 Abs. 1 BauGB, in der Fassung der Bekanntmachung vom 03. November 2017 (BGBI. I S. 3634) - unter Berücksichtigung der aktuell gültigen Änderungen - wird hiermit öffentlich bekannt gemacht, dass die frühzeitige Beteiligung der Öffentlichkeit in Form einer Offenlage des Entwurfs der Flächennutzungsplanteiländerung in der Zeit vom 22.11.2023 bis einschließlich 20.12.2023 durchgeführt wird.

Der Entwurf der Flächennutzungsplanteiländerung, bestehend aus der Planzeichnung (Teil A), dem Textteil (Teil B), der Begründung und dem Umweltbericht, ist während der Dienststunden (Montag bis Freitag von 08.00 Uhr bis 12.00 Uhr sowie Montag bis Donnerstag von 13.30 Uhr bis 15.00 Uhr) im Rathaus der Gemeinde Nohfelden, Bauamt, Zimmer 1.13 einsehbar.

Der Inhalt der ortsüblichen Bekanntmachung und die auszulegenden Unterlagen sind gemäß § 3 Abs. 2 BauGB zusätzlich über das Internetportal der Gemeinde Nohfelden (https://www.nohfelden.de/rathaus-service/) elektronisch abrufbar. Dieser Dienst steht nur während der Beteiligungsfrist vom 22.11.2023 bis einschließlich 20.12.2023 zur Verfügung.

Die Öffentlichkeit kann sich gemäß § 3 Abs. 1 BauGB frühzeitig über die allgemeinen Ziele und Zwecke der Planung informieren und zur Planung äußern.

Während der Auslegungsfrist können von jedermann Stellungnahmen schriftlich, zur Niederschrift oder elektronisch per Mail an die E-Mail-Adresse info@nohfelden.de vorgebracht werden. Nicht fristgerecht vorgebrachte Stellungnahmen können bei der Beschlussfassung über die Flächennutzungsplanänderung unberücksichtigt bleiben.

Hinweise zum Datenschutz

Die Verarbeitung personenbezogener Daten erfolgt auf Grundlage des § 3 BauGB in Verbindung mit Art. 6 Abs. 1 Buchst. e DSGVO i. V. m. dem Saarländischen Datenschutzgesetz.

Es wird ausdrücklich darauf hingewiesen, dass ein Flächennutzungsplan-/Bebauungsplanverfahren ein öffentliches Verfahren ist und daher in der Regel alle dazu eingehenden Stellungnahmen in öffentlichen Sitzungen beraten und entschieden werden. Soll eine Stellungnahme nur anonym behandelt werden, ist dies auf derselben eindeutig zu vermerken.

Sofern Sie Ihre Stellungnahme ohne Absenderangaben abgeben, erhalten Sie keine Mitteilung über das Ergebnis der Prüfung. Weitere Informationen entnehmen Sie bitte dem Formblatt: Informationspflichten bei der Erhebung von Daten im Rahmen der Öffentlichkeitsbeteiligung nach BauGB (Art. 13 DSGVO), welches mit ausliegt.

Nohfelden, den 13.11.2023

gez.

Andreas Veit

-Bürgermeister-

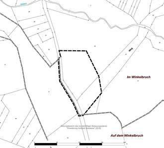
Lageplan, ohne Maßstab

Geltungsbereich des Bebauungsplanes „2. Erweiterung Golfpark Bostalsee“ und der Teiländerung des Flächennutzungsplans in der Gemeinde Nohfelden, Ortsteil Eisen

Quelle: LVGL; Stand: 24.01.2017; Bearbeitung: Kernplan; Stand: 30.08.2023

Quelle: ZORA, LVGL; Bearbeitung: Kernplan; Stand: 30.08.2023

Auszug aus der Planzeichnung

zur Teiländerung des Flächennutzungsplanes der Gemeinde Nohfelden für den Bereich des Bebauungsplanes „2. Erweiterung Golfpark Bostalsee“ und der Teiländerung des Flächennutzungsplans in der Gemeinde Nohfelden, Ortsteil Eisen – ohne Maßstab