Titel Logo
Nohfelder Nachrichten
Ausgabe 6/2024
Amtliche Bekanntmachungen
Zurück zur vorigen Seite
Zurück zur ersten Seite der aktuellen Ausgabe

Amtliche Bekanntmachung

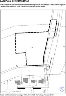
Vorhabenbezogener Bebauungsplan mit Vorhaben- und Erschliessungsplan „Neubau Norma-Markt“ in der Gemeinde Nohfelden, Ortsteil Bosen

Gemäß § 2 Abs. 1 BauGB, in der Fassung der Bekanntmachung vom 03. November 2017 (BGBI. I S. 3634), unter Berücksichtigung der aktuell gültigen Änderungen, wird hiermit öffentlich bekannt gemacht, dass der Gemeinderat in öffentlicher Sitzung am 01.02.2024 die Einleitung des Verfahrens zur Aufstellung des vorhabenbezogenen Bebauungsplanes mit

Vorhaben- und Erschließungsplan „Neubau NORMA-Markt“ beschlossen hat.

Die Gemeinde Nohfelden ist angesichts der fehlenden Nahversorgung des westlichen Gemeindegebietes bestrebt, geeignete Flächen für einen weiteren Nahversorgungsbereich zu entwickeln. Ein Erreichbarkeitsvergleich der fünf westlichen Ortsteile der Gemeinde Nohfelden (Eckelhausen, Bosen, Eiweiler, Selbach und Neunkirchen/Nahe) hebt hervor, dass sich der Ortsteil Neunkirchen/Nahe hinsichtlich der Kriterien der Erreichbarkeit und der Lage im Verkehrsnetz am besten für einen neuen Standort eignet (s. Einzelhandelskonzept der Gemeinde Nohfelden). Vor diesem Hintergrund soll am Ortsausgang von Neunkirchen/Nahe in Richtung Bosen ein neuer NORMA-Markt mit einer Verkaufsfläche von 1.200 m mit Bäckerei/Metzgerei/Café (max. ca. 225 m ) errichtet werden.

Die Ein- und Ausfahrt soll über eine neue Erschließungsstraße nördlich des geplanten Lebensmitteldiscounters erfolgen, die an die L325 angeschlossen ist. Der Anschluss an die Landesstraße soll an gleicher Stelle wie der Anschluss der Ein- und Ausfahrt für den geplanten REWE-Markt erfolgen. Die neu zu errichtende Erschließungsstraße wird den bestehenden Radweg kreuzen.

Zur Unterbringung des ruhenden Verkehrs werden innerhalb des Geltungsbereiches ausreichend PKW-Stellplätze errichtet. Über die Stellplatzfläche soll auch die Anlieferung abgewickelt werden.

Aktuell beurteilt sich die planungsrechtliche Zulässigkeit nach § 35 BauGB (Außenbereich).

Danach ist die Planung nicht realisierungsfähig. Daher bedarf es der Aufstellung eines vorhabenbezogenen Bebauungsplanes.

Der Flächennutzungsplan der Gemeinde Nohfelden sieht für das Plangebiet eine Fläche für die Landwirtschaft vor. Der vorliegende Bebauungsplan widerspricht damit dem Entwicklungsgebot gem. § 8 Abs. 2 BauGB, wonach Bebauungspläne aus dem Flächennutzungsplan zu entwickeln sind. Aus diesem Grund wird für den Geltungsbereich des Bebauungsplans der Flächennutzungsplan im Parallelverfahren gem. § 8 Abs. 3 BauGB teilgeändert.

Der Geltungsbereich des Bebauungsplanes soll sich über folgende Grundstücke erstrecken:

Gemarkung Bosen, Flur 15, Parzelle 41/8 TF, 56/2 TF, 56/3 TF, 56/4 TF, 57/2 TF, 57/3 TF und 63/5 TF. Die genauen Grenzen des Geltungsbereiches des Bebauungsplanes sind dem beigefügten Lageplan zu entnehmen. Er umfasst insgesamt eine Fläche von ca. 1,1 ha.

Im Rahmen der Aufstellung des Bebauungsplanes wird eine Umweltprüfung gem. § 2 Abs. 4 BauGB durchgeführt und ein Umweltbericht gem. § 2a BauGB erstellt. Der Umweltbericht gem. § 2a BauGB wird nach Abschluss der frühzeitigen Beteiligung der Öffentlichkeit und der Behörden und sonstiger Träger öffentlicher Belange sowie der Nachbargemeinden gem. § 3 Abs. 1 BauGB, § 4 Abs. 1 BauGB und § 2 Abs. 2 BauGB fertiggestellt.

Die BürgerInnen werden gem. § 3 Abs. 1 BauGB frühzeitig über die allgemeinen Ziele und Zwecke der Planung unterrichtet; hierauf wird in gesonderter Bekanntmachung hingewiesen.

Nohfelden 06.02.2024
Gez. Andreas Veit, Bürgermeister

Teiländerung des Flächennutzungsplanes im Bereich des Vorhabenbezogenen Bebauungsplanes mit Vorhaben und Erschließungsplan „Neubau Norma-Markt“ in der Gemeinde Nohfelden, Ortsteil Bosen

Bekanntmachung des Beschlusses zur Einleitung des Verfahrens

Gemäß § 2 Abs. 1 BauGB, in der Fassung der Bekanntmachung vom 03. November 2017

(BGBl. I S. 3634), unter Berücksichtigung der aktuell gültigen Änderungen, wird hiermit öffentlich bekannt gemacht, dass der Gemeinderat in öffentlicher Sitzung am 01.02.2024 die Einleitung des Verfahrens zur Teiländerung des Flächennutzungsplanes im Bereich des vorhabenbezogenen Bebauungsplanes mit Vorhaben- und Erschließungsplan „Neubau NORMA-Markt“ gefasst hat.

Gegenstand der Teiländerung des Flächennutzungsplanes im Parallelverfahren nach § 8 Abs. 3 BauGB ist die Darstellung einer Sonderbaufläche inkl. Erschließung, um die Errichtung eines NORMA-Marktes planerisch vorzubereiten. Aktuell stellt der Flächennutzungsplan überwiegend eine Fläche für die Landwirtschaft dar.

Die Grenze des räumlichen Geltungsbereiches der Teiländerung umfasst den Geltungsbereich des vorhabenbezogenen Bebauungsplanes mit Vorhaben- und Erschließungsplan „Neubau Norma-Markt“. Die genauen Grenzen des Geltungsbereiches der Teiländerung des Flächennutzungsplanes sind dem beigefügten Lageplan zu entnehmen. Er umfasst eine Fläche von ca. 1,1 ha.

Im Rahmen der Teiländerung des Flächennutzungsplanes wird eine Umweltprüfung gem. § 2 Abs. 4 BauGB durchgeführt und ein Umweltbericht gem. § 2a BauGB erstellt. Der Umweltbericht gem. § 2a BauGB wird nach Abschluss der frühzeitigen Beteiligung der Öffentlichkeit und der Behörden und sonstiger Träger öffentlicher Belange sowie der Nachbargemeinden gem. § 3 Abs. 1 BauGB, § 4 Abs. 1 BauGB und § 2 Abs. 2 BauGB fertiggestellt.

Die BürgerInnen werden gem. § 3 Abs. 1 BauGB frühzeitig über die allgemeinen Ziele und Zwecke der Planung unterrichtet; hierauf wird in gesonderter Bekanntmachung hingewiesen.

Nohfelden, 06.04.2024
Gez. Andreas Veit. Bürgermeister

Kartendarstellungen mit Überlagerung des Katasterbestandes können zu Fehlinterpretationen führen.

Die Lage der Grundstücksgrenze zur Örtlichkeit ist letztlich nur durch eine örtliche, amtliche Vermessung feststellbar.

Gemarkung: Bosen(8100) Flur: 15

Datum: 09.01.2024

Maßstab: 1 : 2000