Ausgabe 38/2023
Amtliche Bekanntmachungen
Zurück zur ersten Seite der aktuellen Ausgabe
Vorheriger Artikel: Freundeskreis Kultur im Rathaus e. V.
Nächster Artikel: Bekanntmachung des Satzungsbeschlusses "Bebauungsplan Solarpark auf dem Stockertsfeld" in der Gemeinde Oberthal, Ortsteil Steinberg-Deckenhardt
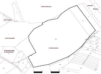
Bekanntmachung Lageplan Bebauungsplan „Solarpark auf dem Stockertsfeld“
Lageplan,o.M.
Geltungsbereich des Bebauungsplanes „Solarpark auf dem Stockertsfeld“ und der Teiländerung des Flächennutzungsplans in der Gemeinde Oberthal, Ortsteil Steinberg-Deckenhardt
Quelle und Stand Katastergrundlage: LVGL, 19.03.2021; Bearbeitung: Kernplan, Stand: 08.03.2023
Quelle: ZORA, LVGL; Bearbeitung: Kernplan; Stand: 08.03.2023