Titel Logo
Oberthaler Nachrichten
Ausgabe 50/2022
Amtliche Bekanntmachungen
Zurück zur vorigen Seite
Zurück zur ersten Seite der aktuellen Ausgabe

Bekanntmachung der öffentlichen Auslegung

zur Teiländerung des Flächennutzungsplanes

„SOLARPARK AUF DEM STOCKERTSFELD“

IN DER GEMEINDE OBERTHAL,

ORTSTEIL STEINBERG-DECKENHARDT

Bekanntmachung der Öffentlichen Auslegung

Der Gemeinderat der Gemeinde Oberthal hat in seiner Sitzung am 16.11.2022 die öffentliche Auslegung der Teiländerung des Flächennutzungsplanes im Bereich des Bebauungsplanes „Solarpark auf dem Stockertsfeld“ beschlossen.

Der Flächennutzungsplan der Gemeinde Oberthal soll parallel zur Aufstellung des

Bebauungsplanes „Solarpark auf dem Stockertsfeld“ teilgeändert werden.

Gegenstand der Teiländerung des Flächennutzungsplanes ist die Darstellung einer Sonderbaufläche für Photovoltaik, um die Errichtung eines Solarparks planerisch vorzubereiten. Aktuell stellt der Flächennutzungsplan der Gemeinde Oberthal den Geltungsbereich als Fläche für die Landwirtschaft dar.

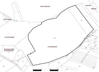
Die Grenze des räumlichen Geltungsbereiches der Teiländerung umfasst den Geltungsbereich des Bebauungsplanes „Solarpark auf dem Stockertsfeld“. Die genauen Grenzen des Geltungsbereiches der Teiländerung des Flächennutzungsplanes sind dem beigefügten Lageplan zu entnehmen. Er umfasst eine Fläche von ca. 8,0 ha.

Gemäß § 3 Abs. 2 BauGB, in der Fassung der Bekanntmachung vom 03. November 2017 (BGBl. I S. 3634), unter Berücksichtigung der aktuell gültigen Änderungen, wird hiermit öffentlich bekannt gemacht, dass der Entwurf der Teiländerung des Flächennutzungsplanes, bestehend aus der Planzeichnung (Teil A) und dem Textteil (Teil B), der Begründung und dem Umweltbericht, in der Zeit vom 02.01.2023 bis einschließlich 03.02.2023 während der Dienststunden im Rathaus der Gemeinde Oberthal, Bauamt, Zimmer 24, einsehbar ist.

Der Inhalt der ortsüblichen Bekanntmachung nach § 3 Abs. 2 Satz 2 BauGB und die nach § 3 Abs. 2 Satz 1 BauGB auszulegenden Unterlagen sind zusätzlich zum Internetportal der Gemeinde Oberthal (www.oberthal.de) über das zentrale Internetportal des Landes (https://www.uvp-verbund.de/kartendienste) elektronisch abrufbar.

Umweltbericht (der nach Maßgabe der Anlage 1 zum BauGB u.a. nach den Umweltschutzgütern i.S. des § 1 Abs. 6 Nr. 7 BauGB gegliedert ist) mit folgenden Informationen:

  • Schutzgut Böden, geringe Beeinträchtigung: mittlerer Bodenfunktionserfüllungsgrad, mäßige zulässige Flächenversiegelung durch Rammständer oder kleinflächige Betonfundamente, Vermeidung von Bodenverdichtungen durch Bauzeiten-/Befahrungsregelung
  • Schutzgut Wasserhaushalt, keine erhebliche Beeinträchtigung: keine Oberflächengewässer betroffen, gute Versickerungsmöglichkeit am Standort
  • Schutzgut Klima und Lufthygiene, keine erhebliche Beeinträchtigung: keine ausgewiesenen Kaltluftentstehungsgebiete oder Abflussbahnen betroffen, kein klimaökologischer Wirkraum zuordenbar, geringe geländeklimatische Belastung und Änderung der lufthygienischen Situation durch aufgeständerte Modultische, keine relevante Änderung des Mesoklimas.
  • Schutzgut Tiere und Pflanzen/ Biologische Vielfalt/Artenschutz, unter Anwendung artenschutzrechtlich begründeter Maßnahmen (Rotmilan, Amphibien, Reptilien) keine erhebliche Beeinträchtigung: Biotoptypenstruktur gekennzeichnet durch artenarme bis mäßig artenreiche Wiesen und Weisen, teilräumlich FFH-Lebensraumtyp 6510, Mager Flachland-Mähwiesen betroffen; daher naturschutzrechtlicher Ausgleich i.S.d. Eingriffsregelung erforderlich, dieser erfolgt teilweise innerhalb, teilweise außerhalb des Geltungsbereichs durch Entwicklung von mageren Wiesen und Weiden, Wiedernutzung einer Wiesenbrachen sowie einer ruderalisierten Wiese mit einer bilanziellen Aufwertung und dem funktionalen Ausgleich für FFH-LRT 6510; keine n. § 30 BNatSchG geschützte Lebensräume betroffen; keine Flächen des Arten- und Biotopschutzprogrammes (ABSP) betroffen; Schutzgut Landschaftsbild, keine erhebliche Beeinträchtigung: weitgehende Abschirmung der geplanten PVA-Fläche durch umgebende Wälder und Hecken, keine exponierte Lage, Richtung Wochenendhausgebiet Errichtung einer Sichtschutzpflanzung
  • Schutzgut Mensch, geringe, nicht erhebliche Beeinträchtigung: keine zusätzliche erhebliche Verkehrsbelastung oder Emissionen,
  • Schutzgut Kultur- und Sachgüter, keine erhebliche Beeinträchtigung:
  • Schutzgebiete: keine Schutzgebiete n. BNatSchG oder SWG betroffen, Konformität mit dem Schutzzweck des Naturparks Saar-Hunsrück aufgrund geringer Wirkung des Vorhabens auf das Landschaftsbild gegeben
  • Gutachten des Büros für Landschaftsökologie zur Horstkartierung sowie zur Raumnutzung Rotmilan.
  • 2 Stellungnahmen von Behörden und sonstigen Trägern öffentlicher Belange sowie Privaten mit Umweltbezug, betreffend folgende Themen: Umfang und Detaillierungsgrad des Umweltberichtes; Sichtschutz und Einsehbarkeit, Formulierung von Vermeidungs- und Kompensationsmaßnahmen.

Während der Auslegungsfrist können von jedermann Stellungnahmen schriftlich, zur Niederschrift oder elektronisch per Mail an die EMail-Adresse: rathaus@oberthal.de vorgebracht werden. Nicht fristgerecht abgegebene Stellungnahmen können bei der Beschlussfassung über die Teiländerung des Flächennutzungsplanes unberücksichtigt bleiben, sofern die Gemeinde deren Inhalt nicht kannte und nicht hätte kennen müssen und deren Inhalt für die Rechtmäßigkeit des Bauleitplans nicht von Bedeutung ist.

Es wird darauf hingewiesen, dass eine Vereinigung im Sinne des § 4 Abs. 3 S. 1 Nr. 2 des Umwelt-Rechtsbehelfsgesetzes (UmwRG) in einem Rechtsbehelfsverfahren nach § 7 Abs. 2 des UmwRG gemäß § 7 Abs. 3 S. 1 des UmwRG mit allen Einwendungen ausgeschlossen ist, die im Rahmen der Auslegungsfrist nicht oder nicht rechtzeitig geltend gemacht hat wurden, aber hätte geltend machen werden können.

Oberthal, 12.12.2022
Der Bürgermeister
In Vertretung:
Dirk Schäfer, Erster Beigeordneter

Lageplan,o.M.

Geltungsbereich des Bebauungsplanes „Solarpark auf dem Stockertsfeld“ und der Teiländerung des Flächennutzungsplans in der Gemeinde Oberthal, Ortsteil Steinberg-Deckenhardt

Quelle und Stand Katastergrundlage: LVGL, 19.03.2021; Bearbeitung: Kernplan

Quelle: ZORA, LVGL; Bearbeitung: Kernplan; Stand: 27.07.2021