Titel Logo
Amtsblatt VG Offenbach an der Queich
Ausgabe 4/2024
Amtlicher Teil
Zurück zur vorigen Seite
Zurück zur ersten Seite der aktuellen Ausgabe

Öffentliche Auslegung des Bebauungsplanentwurfs „Südlich der Jakobstraße“ – 1. Änderung der Ortsgemeinde Offenbach

Vollzug des Baugesetzbuches (BauGB)

Öffentliche Auslegung des Bebauungsplanentwurfs „Südlich der Jakobstraße“ – 1. Änderung der Ortsgemeinde Offenbach

Der Gemeinderat Offenbach hat in der Sitzung am 11.10.2022 die Aufstellung des Bebauungsplanes „Südlich der Jakobstraße“ – 1. Änderung gem. § 2 Abs. 1 Baugesetzbuch (BauGB) beschlossen. Der Bebauungsplan wird nach § 13 BauGB im vereinfachten Verfahren aufgestellt. Im vereinfachten Verfahren wird von der Durchführung einer Umweltprüfung nach § 2 Abs. 4 BauGB und der Erstellung eines Umweltberichts nach § 2 a BauGB abgesehen.

Zur Steuerung der zukünftigen Entwicklung im Gebiet und um sicherzustellen, dass die privaten Bauvorhaben mit den Entwicklungszielen der Gemeinde mit „Bauen in zweiter Reihe“ in Einklang gebracht werden, ist nach Ansicht der Ortsgemeinde Offenbach eine Änderung des Bebauungsplanes erforderlich.

Im Rahmen der förmlichen Beteiligung der Öffentlichkeit gem. § 3 Abs. 2 BauGB liegen die gesamten Plandokumente (Planzeichnung, textliche Festsetzung und Begründung)

vom 02.02.2024 bis einschließlich 04.03.2024

bei der Verbandsgemeindeverwaltung Offenbach, Konrad-Lerch-Ring 6, Zimmer 111, Herrn Huber, 76877 Offenbach an der Queich, während den allgemeinen Öffnungszeiten zu jedermanns Einsichtnahme aus. Wir bitte Sie, sich vorher telefonisch anzumelden und mit uns einen Termin zu vereinbaren (Tel. 06348/986-194). Erfahrungsgemäß können die meisten Fragen auch telefonisch erläutert und beantwortet werden. Die Unterlagen zum Entwurf können auf der Homepage der Verbandsgemeinde Offenbach an der Queich unter folgenden Links eingesehen werden:

https://www.offenbach-queich.de/rathaus/ortsrecht/bebauungsplaene/offenlage-aktueller-baubauungsplaene/ oder direkt auf der Startseite unter „Öffentliche Bekanntmachungen – Ausschreibungen, Stellen, Bebauungspläne / Offenlage aktueller Baubauungspläne

Anregungen zum Planentwurf können während der vorgenannten Auslegungsfrist bei der Verbandsgemeindeverwaltung Offenbach an der Queich schriftlich eingereicht oder mündlich zur Niederschrift gegeben werden. Es wird darauf hingewiesen, dass nicht während der Auslegungsfrist abgegebene Stellungnahmen bei der Beschlussfassung über den Bauleitplan unberücksichtigt bleiben können (gem. § 4 a Abs. 6 BauGB).

Gleichzeitig mit der Offenbachlage erfolgt gemäß § 4 Abs. 2 BauGB die Beteiligung der Träger öffentlicher Belange.

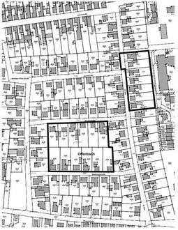
Der Geltungsbereich des Bebauungsplanentwurfs ist nachfolgend dargestellt.

Offenbach a. d. Queich, den 25.01.2024
gez. Axel Wassyl, Bürgermeister

Geltungsbereich des Plangebietes Bebauungsplan „Südlich der Jakobstraße“ – 1. Änderung: