Titel Logo
Ottweiler Zeitung
Ausgabe 10/2025
Amtliche Bekanntmachungen
Zurück zur vorigen Seite
Zurück zur ersten Seite der aktuellen Ausgabe

Bekanntmachung

der Einleitung des Verfahrens zur Aufstellung des Bebauungsplanes „AGRI-PV Lenzenthaler Hof“ sowie zur parallelen Teiländerung des Flächennutzungsplanes

Gemäß § 2 Abs. 1 Baugesetzbuch (BauGB) wird hiermit öffentlich bekannt gemacht, dass der Stadtrat der Stadt Ottweiler in seiner Sitzung am 19.11.2024 die Einleitung des Verfahrens zur Aufstellung des Bebauungsplanes „Agri-PV Lenzenthaler Hof“ beschlossen hat. In der gleichen Sitzung wurde auch die Einleitung des Verfahrens zur parallelen Teiländerung des Flächennutzungsplanes im gleichen Bereich beschlossen.

Ziel des Bebauungsplanes sowie der FNP-Teiländerung

Ziel der beiden Bauleitplanverfahren ist die Schaffung der planungsrechtlichen Voraussetzungen zur Errichtung einer Agri-PV-Freiflächenanlage. Hierdurch soll ein aktiver Beitrag zum Klimaschutz geleistet werden.

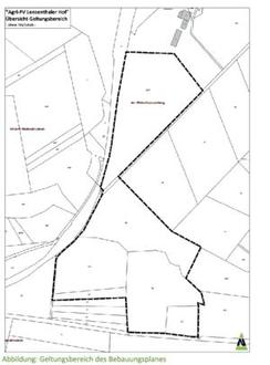
Der Geltungsbereich des Bebauungsplanes erstreckt sich über einen Bereich mit der Flurbezeichnung „Am Wetschhauser Berg“. Er umfasst hier die Parzellen: 4/1, / 9/2, 24/1 (teilweise), 24/2 (teilweise), 29, 30, 31. Die genaue Abgrenzung des Geltungsbereiches ist der folgenden Abbildung zu entnehmen. Der Geltungsbereich der Teiländerung des Flächennutzungsplanes entspricht der Geltungsbereichsgrenze des Bebauungsplanes. Abbildung: Geltungsbereich des Bebauungsplanes.

Gemäß § 3 Abs. 1 Baugesetzbuch (BauGB) ist die Öffentlichkeit möglichst frühzeitig über die allgemeinen Ziele und Zwecke der Planung öffentlich zu unterrichten. Dabei sind sich wesentlich unterscheidende Lösungen, die für die Neugestaltung oder Entwicklung eines Gebietes in Betracht kommen, und die voraussichtlichen Auswirkungen der Planung darzulegen. Der Öffentlichkeit ist Gelegenheit zur Äußerung und Erörterung zu geben. Hierauf wird in einer gesonderten Bekanntmachung hingewiesen.

Ottweiler, 06.03.2025
(Holger Schäfer)
Bürgermeister