Titel Logo
Ottweiler Zeitung
Ausgabe 14/2023
Amtliche Bekanntmachungen
Zurück zur vorigen Seite
Zurück zur ersten Seite der aktuellen Ausgabe

Bekanntmachung der Aufstellung einer Ergänzungssatzung gem. § 34 Abs.4 Nr. 3 BauGB für den Bereich „Erich-Spreyer-Weg“ in Ottweiler, Stadtteil Mainzweiler

Der Stadtrat der Stadt Ottweiler hat in seiner Sitzung am 30.3.2023 die Aufstellung der Ergänzungssatzung „Erich-Spreyer-Weg“ gem. § 1 Abs. 3 und § 2 Abs. 1 Baugesetzbuch in der Fassung der Bekanntmachung vom 3. November 2017 (BGBl. I S. 3634), welche zuletzt durch Artikel 2 des Gesetzes vom 4. Januar 2023 (BGBl. I Nr. 6) geändert wurde, im vereinfachten Verfahren gem. § 13 BauGB beschlossen.

Ziel der Ergänzungssatzung ist die nachhaltige Bestandsicherung der an die Privatgärten angrenzende Grünland/Gartenparzelle, die gärtnerisch genutzt wird und mit Gartenhäusern und Hochbeeten teilweise bebaut ist. Diese soll an den angrenzenden Innenbereich angegliedert werden und die Nutzungen bauplanungsrechtlich gesichert werden.

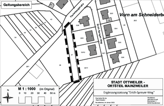
Der Geltungsbereich umfasst eine Fläche von ca. 800 qm und befindet sich an der Faulenbergstraße bzw. am Erich-Spreyer-Weg in Mainzweiler. Er umfasst das Flurstück 37, Flur 07, Gemarkung Mainzweiler.

Die genaue Grenze des räumlichen Geltungsbereiches ist dem nachfolgenden Übersichtsplan zu entnehmen.

Ottweiler, 31.03.2023
Holger Schäfer, Bürgermeister