Titel Logo
Ottweiler Zeitung
Ausgabe 14/2023
Amtliche Bekanntmachungen
Zurück zur vorigen Seite
Zurück zur ersten Seite der aktuellen Ausgabe

Bekanntmachung

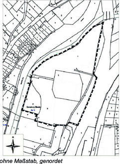
Aufstellungsbeschluss und Frühzeitige Beteiligung der Öffentlichkeit Bebauungsplan „Blieszentrum II“ in der Stadt Ottweiler

Der Rat der Stadt Ottweiler hat am 30.03.2023 gem. § 1 Abs. 3 und § 2 Abs. 1 des Baugesetzbuches in der Fassung der Bekanntmachung vom 03. November 2017, das zuletzt durch Artikel 2 des Gesetzes vom 4. Januar 2023 (BGBl. 2023 I Nr. 6) geändert worden ist, die Aufstellung des Bebauungsplans „Blieszentrum II“ beschlossen.

Der Beschluss über die Einleitung des Bebauungsplanverfahrens wird hiermit gem. § 2 Abs. 1 BauGB öffentlich bekannt gemacht.

Gemäß § 3 Abs. 1 BauGB wird der Öffentlichkeit Gelegenheit gegeben, sich über die allgemeinen Ziele und Zwecke sowie die wesentlichen Auswirkungen der Planungen zu informieren. Es besteht Gelegenheit zur Äußerung und Erörterung (Frühzeitige Beteiligung der Öffentlichkeit).

Zu diesem Zweck liegt der Entwurf des Bebauungsplanes einschließlich gemeinsamen Umweltbericht in der Zeit vom 17.04.2023 bis einschließlich 22.05.2023 im Rathaus der Stadt Ottweiler, Amt für Stadtentwicklung und Umwelt, Zimmer 20 im Gebäude Goethestraße 13a, 66564 Ottweiler für jedermann einsehbar aus. Die Öffnungszeiten sind wie folgt:

montags bis freitags  —  08:30 - 12:00 Uhr

montags und mittwochs  —  13:30 - 15:30 Uhr

donnerstags  —  13:30 - 17:30 Uhr.

Die Unterlagen zur Planung sind zudem auf der Homepage der Stadt Ottweiler unter www.ottweiler.de in der Rubrik Wirtschaft und Umwelt unter Bauleitplanung zu finden.

Planungserfordernis: Ziel des Bebauungsplanes ist es, die planungsrechtlichen Voraussetzungen für die Revitalisierung bzw. Wiedernutzbarmachung des ehemaligen Werle-Geländes zu schaffen. Es soll sich dabei um einen Angebotsbebauungsplan handeln, der mit der Festsetzung eines Urbanen Gebietes ein breites Nutzungsspektrum ermöglicht.

Ottweiler, 31.03.2023
Holger Schäfer, Bürgermeister