X
Ottweiler Zeitung
Ausgabe 2/2026
Amtliche Bekanntmachungen
Zurück zur vorigen Seite
Zurück zur ersten Seite der aktuellen Ausgabe
Vorheriger Artikel: Ärztlicher Notdienst
Nächster Artikel: Bekanntmachung
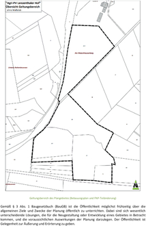
Bekanntmachung