Titel Logo
Ottweiler Zeitung
Ausgabe 2/2026
Amtliche Bekanntmachungen
Zurück zur vorigen Seite
Zurück zur ersten Seite der aktuellen Ausgabe

Bekanntmachung

der Aufstellung und der frühzeitigen Beteiligung der Öffentlichkeit und parallelen Beteiligung der Behörden und sonstigen Träger öffentlicher Belange und den Nachbargemeinden zur

Teiländerung des Flächennutzungsplanes im Parallelverfahren zum Bebauungsplan „Am Dorfbrunnen“ in der Stadt Ottweiler Gemarkung Steinbach

Gemäß § 2 Abs. 1 Baugesetzbuch (BauGB) in der Fassung der Bekanntmachung vom 03. November 2017 (BGBl. I S. 3634), zuletzt geändert durch Artikel 5 des Gesetzes vom 12. August 2025 (BGBl. I Nr. 189), wird hiermit öffentlich bekannt gemacht, dass der Stadtrat Ottweiler in öffentlicher Sitzung am 16.12.2025 beschlossen hat, den Bebauungsplan „Am Dorfbrunnen" aufzustellen. Gleichzeitig erfolgt die Teiländerung des FNP im Parallelverfahren.

Weiterhin wird bekannt gemacht, dass der Bebauungsplan „Am Dorfbrunnen" sowie die Teiländerung des FNP mit frühzeitiger Beteiligung der Öffentlichkeit gern. § 3 Abs. 1 erfolgt. Die Entwürfe des Bebauungsplanes „Am Dorfbrunnen" und der Teiländerung des Flächennutzungsplanes bestehend jeweils aus der Planzeichnung mit textlichen Festsetzungen und der Begründung werden in der Zeit

vom 12.01. bis einschließlich 13.02.2026

während der allgemeinen Dienststunden im Amt 61 für Stadtentwicklung und Umwelt der Stadt Ottweiler, Gebäude Goethestraße 13a, 66564 Ottweiler, Zimmer OG 20 zu jedermanns Einsicht öffentlich ausgelegt.

Zusätzlich werden die Unterlagen gern. § 4a Abs. 4 Bau GB in dem online-Portal der Stadt Ottweiler unter Wirtschaft und Umwelt in der Rubrik Bauleitplanung (https://www.ottweiler.de/gewerbe/index.php?option=com_content8tview=articlatid=1908tItem id=77) digital zur Verfügung gestellt.

Während der Auslegungsfrist können von jedermann Stellungnahmen elektronisch per Mail an beteiligung@ottweiler.de, schriftlich oder zur Niederschrift vorgebracht werden. Nicht fristgerecht abgegebene Stellungnahmen können bei der Beschlussfassung unberücksichtigt bleiben.

Gleichzeitig wird die frühzeitige Beteiligung der Behörden, gern. § 4 Abs. 1 BauGB durchgeführt, um zur Äußerung auch im Hinblick auf den erforderlichen Umfang und Detailierungsgrad der Umweltprüfung nach § 2 Abs. 4 BauGB aufzufordern.

In Steinbach besteht derzeit ein Mangel an Flächen, die für dörfliche Zwecke sowie für die Versorgung der umliegenden Nutzungen geeignet sind. Insbesondere fehlen geeignete Standorte für kleingewerbliche, gemeinschaftliche oder dienstleistungsorientierte Einrichtungen, die zur Stärkung der örtlichen Infrastruktur und zur Belebung des Ortskerns beitragen können. Mit der geplanten Umwandlung soll dieser Bedarf gedeckt und eine geordnete städtebauliche Entwicklung im Übergang zwischen bestehender Bebauung und Freiraum gewährleistet werden.

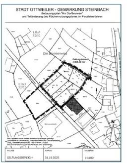
Die Fläche des Geltungsbereiches beträgt rund 3.970 m² und erstreckt sich über nachfolgende Flurstücke in der Gemarkung Steinbach: 1046/93, 91, 119/3, 90/1, 89/3, und einer Teilfläche aus 86/12.

Der Geltungsbereich ist auf dem beigefügten Lageplan entsprechend gekennzeichnet. Die Abmessungen des Geltungsbereiches orientieren sich an den örtlichen Liegenschaften.

Das Plangebiet ist laut Flächennutzungsplan als landwirtschaftliche Fläche ausgewiesen. Eine Bebauung ist derzeit dort nicht genehmigungsfähig.

Aus diesem Grund wird die Teiländerung des Flächennutzungsplanes im Parallelverfahren erforderlich. Ausgleichsmaßnahmen (Flächen zum Anpflanzen) werden teilweise innerhalb des Plangebietes angeboten. Weitergehende Kompensationsmaßnahmen werden im Umweltbericht untersucht und näher beschrieben. Daraus resultierende Ausgleichsmaßnahmen sind im weiteren Planungsprozess zu konkretisieren.

Ab sofort kann sich die Öffentlichkeit über die allgemeinen Ziele und Zwecke sowie die wesentlichen Auswirkungen der Planung im Amt 61 für Stadtentwicklung und Umwelt der Stadt Ottweiler, Gebäude Goethestraße 13a, 66564 Ottweiler, Zimmer OG 20 unterrichten und sich bis zum 13.02.2026 zur Planung äußern.

Ottweiler, 23.12.2025
gez. (Holger Schäfer)
Bürgermeister

Geltungsbereich des Bebauungsplans