Titel Logo
Arnschter Ausrufer - Amtsblatt für die Stadt Arnstadt und deren Ortsteile
Ausgabe 2/2023
Amtlicher Teil
Zurück zur vorigen Seite
Zurück zur ersten Seite der aktuellen Ausgabe

Beschlüsse der 30. Sitzung des Stadtrates der Stadt Arnstadt am 02.02.2023

Beschluss-Nr. 2023-0259

Genehmigung der Niederschrift der 29. Sitzung des Stadtrates der Stadt Arnstadt vom 15.12.2022 - öffentlicher Teil -

Die Niederschrift der 29. Sitzung des Stadtrats der Stadt Arnstadt vom 15.12.2022 (öffentlicher Teil) wird gemäß § 42 Abs. 2 Thüringer Kommunalordnung (ThürKO) in der Fassung der Neubekanntmachung vom 28.01.2003 (GVBl. 2/2003, S. 41) genehmigt.

Beschluss-Nr. 2022-0219

Wirtschaftsplan des Kulturbetriebes der Stadt Arnstadt für das Wirtschaftsjahr 2023

Aufgrund des § 7 Abs. 3 Ziffer 5 der Betriebssatzung des Kulturbetriebes der Stadt Arnstadt möge der Stadtrat der Stadt Arnstadt am 02.02.2023 folgende Feststellung beschließen:

1.

Der Wirtschaftsplan des Kulturbetriebes der Stadt Arnstadt für das Jahr 2023 wird

im Erfolgsplan

in den Erträgen auf

2.866.350,00 €

in den Aufwendungen

2.866.350,00 €

im Vermögensplan

in den Einnahmen auf

270.500,00 €

in den Ausgaben auf

270.500,00 €

festgesetzt.

2.

Der Gesamtbetrag der Kredite im Vermögensplan wird auf 0,00 € festgesetzt.

3.

Der Gesamtbetrag der Verpflichtungsermächtigungen wird auf 0,00 € festgesetzt.

4.

Der Höchstbetrag der Kassenkredite zur rechtzeitigen Leistung von Ausgaben nach dem Wirtschaftsplan wird auf 420.000,00 € festgesetzt.

5.

Der Stellenplan ist beigefügt.

 — 

Auslegungshinweis:

Der Stellenplan kann im Rathaus, Zimmer 2.05, Markt 1 in 99310 Arnstadt während der allgemeinen Dienstzeiten eingesehen werden.

Die Einsichtnahme ist nach einer vorherigen Terminvereinbarung unter der Telefonnummer 03628/745-801 möglich.

Beschluss Nr.: 2023-0284

Wirtschaftsplan des Baubetriebshofes der Stadt Arnstadt für das Wirtschaftsjahr 202

Aufgrund des § 7 Abs. 3 Ziffer 5 der Betriebssatzung des Baubetriebshofes der Stadt Arnstadt möge der Stadtrat der Stadt Arnstadt am 02.02.2023 folgende Feststellung beschließen:

1.

Der Wirtschaftsplan des Baubetriebshofes der Stadt Arnstadt für das Jahr 2023 wird wie folgt festgesetzt:

im Erfolgsplan

in den Erträgen

3.909.744 €

in den Aufwendungen

3.909.744 €

im Vermögensplan

in den Einnahmen

291.950 €

in den Ausgaben

291.950 €

2.

Der Gesamtbetrag der Kredite im Vermögensplan wird auf 0,00 € festgesetzt.

3.

Der Gesamtbetrag der Verpflichtungsermächtigungen wird auf 0,00 € festgesetzt.

4.

Der Höchstbetrag der Kassenkredite zur rechtzeitigen Leistung von Ausgaben nach dem Wirtschaftsplan wird auf 350.000 € festgesetzt.

5.

Der Stellenplan ist beigefügt.

 — 

Auslegungshinweis:

Der Stellenplan kann im Rathaus, Zimmer 2.05, Markt 1 in 99310 Arnstadt während der allgemeinen Dienstzeiten eingesehen werden.

Die Einsichtnahme ist nach einer vorherigen Terminvereinbarung unter der Telefonnummer 03628/745-801 möglich.

Beschluss-Nr. 2023-0258

Wirtschaftsplan des Bäderbetriebs der Stadt Arnstadt für das Haushaltsjahr 2023

Aufgrund § 7 Abs. 3 Ziff. 5 der Betriebssatzung des Bäderbetriebes der Stadt Arnstadt hat der Stadtrat der Stadt Arnstadt am 02.02.2023 folgende Feststellung getroffen:

1.

Der Wirtschaftsplan des Bäderbetriebes der Stadt Arnstadt für das Jahr 2023 wird

im Erfolgsplan

in den Erträgen auf

214.000,00 €

in den Aufwendungen

212.500,00 €

im Vermögensplan

in den Einnahmen auf

720.000,00 €

in den Ausgaben auf

720.000,00 €

festgesetzt.

2.

Der Gesamtbetrag der Kredite im Vermögensplan wird auf 0,00 € festgesetzt.

3.

Der Gesamtbetrag der Verpflichtungsermächtigungen wird auf 0,00 € festgesetzt.

4.

Der Höchstbetrag der Kassenkredite zur rechtzeitigen Leistung von Ausgaben nach dem Wirtschaftsplan wird auf 30.000,00 € festgesetzt.

5.

Der Stellenplan entfällt.

 — 

Auslegungshinweis:

Der Stellenplan kann im Rathaus, Zimmer 2.05, Markt 1 in 99310 Arnstadt während der allgemeinen Dienstzeiten eingesehen werden.

Die Einsichtnahme ist nach einer vorherigen Terminvereinbarung unter der Telefonnummer 03628/745-801 möglich.

Beschluss Nr.: 2023-0255

Haushaltssatzung der Stadt Arnstadt für das Haushaltsjahr 2023

Der Stadtrat der Stadt Arnstadt beschließt die vorliegende Haushaltssatzung der Stadt Arnstadt für das Haushaltsjahr 2023 mit den dazugehörigen Anlagen, welche in der Sitzung des Stadtrates am 15.12.2022 ausgegeben wurden.

Beschluss Nr.: 2023-0254

Finanzplan der Stadt Arnstadt für das Haushaltsjahr 2023

Der Stadtrat der Stadt Arnstadt beschließt den vorliegenden Finanzplan für das Haushaltsjahr 2023 gemäß § 24 Thüringer Gemeindehaushaltsverordnung (ThürGemHV).

Beschluss Nr.: 2023-0252

4. Änderungssatzung zur Satzung der Stadt Arnstadt über die Erhebung der Eintrittsgelder in Form einer Benutzungsgebühr für den Tierpark der Stadt Arnstadt vom 17.09.2002 in der Fassung der 3. Änderungssatzung vom 26.04.2018

Der Stadtrat der Stadt Arnstadt beschließt die als Anlage beigefügte 4. Änderungssatzung zur Satzung der Stadt Arnstadt über die Erhebung der Eintrittsgelder in Form einer Benutzungsgebühr für den Tierpark der Stadt Arnstadt vom 17.09.2002 in der Fassung der 3. Änderungssatzung vom 26.04.2018.

Beschluss Nr.: 2023-0253

1. Änderungssatzung zur Satzung über die Erhebung der Eintrittsgelder in Form einer Benutzungsgebühr im Schlossmuseum der Stadt Arnstadt vom 14.09.2011

Der Stadtrat der Stadt Arnstadt beschließt die als Anlage beigefügte 1. Änderungssatzung zur Satzung der Stadt Arnstadt über die Erhebung der Eintrittsgelder in Form einer Benutzungsgebühr im Schlossmuseum der Stadt Arnstadt vom 14.09.2011.

Beschluss-Nr. 2023-0256

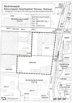
Bebauungsplan Arnstadt Gewerbegebiet "Bierweg/Mühlweg" -

Aufstellungsbeschluss

Der Stadtrat fasst nachfolgenden Beschluss:

1.

Für den unter Punkt 2 näher bezeichneten Bereich soll ein Bebauungsplan „Bierweg/Mühlweg“, gemäß der Bestimmungen im BauGB (Baugesetzbuch), aufgestellt werden.

2.

Nachfolgende Grundstücke sind Bestandteil des Geltungsbereiches des Bebauungsplans:

Gemarkung Arnstadt, Flur 14, Flurstück 5885/280 teilweise

Gemarkung Arnstadt, Flur 15, Flurstück 279/8 teilweise

Der Geltungsbereich ist auf beiliegendem Lageplan dargestellt.

Der Lageplan ist Bestandteil dieses Beschlusses.

Beschluss Nr.: 2023-0265

Umsetzung des Klimapaktes 20222

Der Bauausschuss empfiehlt dem Stadtrat nachfolgenden Beschluss:

Der Bürgermeister wird beauftragt, die erhaltenen Zuweisung in Höhe von 65.592,00 € des Klimapaktes 2022 mit Kommunen nach § 8 Abs. 2 ThürKlimaG für die Umrüstung der Straßenbeleuchtung auf LED zu verwenden.

Beschluss-Nr. 2023-0260

Genehmigung der Niederschrift der 29. Sitzung des Stadtrates der Stadt Arnstadt vom 15.12.2022 - nichtöffentlicher Teil -

Die Niederschrift der 29. Sitzung des Stadtrates der Stadt Arnstadt vom 15.12.2022 (nichtöffentlicher Teil) wird gemäß § 42 Abs. 2 Thüringer Kommunalordnung (ThürKO) in der Fassung der Neubekanntmachung vom 28.01.2003 (GVBl. 2/2003, S. 41) genehmigt.

Frank Spilling

Bürgermeister