Titel Logo
Amtsblatt der Landgemeinde und erfüllenden Gemeinde Stadt Bad Sulza
Ausgabe 1/2024
Öffentliche Bekanntmachungen und amtliche Mitteilungen
Zurück zur vorigen Seite
Zurück zur ersten Seite der aktuellen Ausgabe

Landgemeinde Stadt Bad Sulza - Öffentliche Bekanntmachung der Stadt Bad Sulza

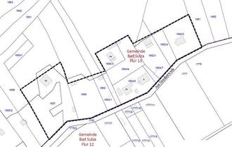
Auszug aus dem Amtlichen Liegenschaftskataster - unmaßstäblich

Öffentliche Bekanntmachung der Stadt Bad Sulza

über die Beteiligung der Öffentlichkeit gemäß § 3 Abs. 2 BauGB zum Entwurf der Außenbereichssatzung

„Am Gradierwerk“ der Stadt Bad Sulzagemäß

§ 35 Abs. 6 BauGB

Beschluss:

Der Stadtrat der Stadt Bad Sulza hat am 07.12.2023 in öffentlicher Sitzung den Entwurf der Außenbereichssatzung gebilligt und beschlossen, diesen nach § 3 Abs. 2 BauGB zu veröffentlichen. Für den Planbereich ist der Satzungsentwurf vom November 2023 maßgebend.

Anlass der Planung:

Die Aufstellung der Außenbereichssatzung verfolgt das Ziel, eine Wohnbebauung im Geltungsbereich der Satzung zu ermöglichen. Ausnahmsweise sollen kleine Handwerks- und Gewerbebetriebe zugelassen werden. Die Satzung soll eine ordnungsgemäße, städtebauliche Entwicklung sowie ein nachvollziehbares Verwaltungshandeln sicherstellen.

Die Zulässigkeit der Vorhaben richtet sich nach § 35 BauGB (Außenbereich). Vorhaben auf Grundstücken im räumlichen Geltungsbereich der Satzung, die Wohnzwecken dienen, kann nicht entgegengehalten wer-den, dass sie eine Verfestigung einer Splittersiedlung befürchten lassen.

Geltungsbereich

Der Geltungsbereich der Außenbereichssatzung umfasst folgende Flurstücke der Flur 13 der Gemarkung Bad Sulza:

-

vollständig: 1852/3; 1854/3; 1854/6; 1854/7; 1854/8

-

teilweise: 1852/4; 1852/1; 1854/1; 1855; 1856 und 1857

Für den Geltungsbereich ist der in der Anlage enthaltene Lageplan maßgebend.

Beteiligung der Öffentlichkeit:

Der Entwurf der Außenbereichssatzung mit Begründung, in der Fassung vom November 2023, wird gemäß § 3 Abs. 2 BauGB im Zeitraum

vom 22.01.2024 bis einschließlich 23.02.2024

auf der Internetseite der Stadt Bad Sulza unter folgendem Link veröffentlicht:

https://www.bad-sulza.de/de/node/1754

Zusätzlich können die Planunterlagen im Bauamt der Stadt Bad Sulza, Markt 1, 99518 Bad Sulza, während nachfolgender Dienstzeiten eingesehen werden:

Montag

von 09.00 - 12.00 Uhr

Dienstag

von 14:00 - 16:00 Uhr

Mittwoch

geschlossen

Donnerstag

von 09:00 - 12:00 Uhr u. 14:00 - 18:00 Uhr

Freitag

von 09:00 - 12:00 Uhr

Während der Auslegungs-/Veröffentlichungsfrist können von jedermann Anregungen zum Entwurf vorgebracht werden.

Die Stellungnahmen sind elektronisch per E-Mail an bauamt@bad-sulza.de zu übermitteln. Bei Bedarf besteht die Möglichkeit der schriftlichen oder zur Niederschrift vorgebrachten Stellungnahme zu den o.g. Dienstzeiten.

Nicht fristgerecht abgegebene Stellungnahmen können bei der Beschlussfassung über die Satzung unberücksichtigt bleiben.

Beteiligung der Träger öffentlicher Belange:

Die berührten Behörden und sonstigen Träger öffentlicher Belange werden elektronisch beteiligt und erhalten innerhalb einer angemessenen Frist die Möglichkeit zur Abgabe einer Stellungnahme (gemäß § 4 Abs. 2 BauGB).

Eine Umweltverträglichkeitsprüfung und ein Umweltbericht sind nicht erforderlich.

Dieser Beschluss wird hiermit bekannt gemacht.

Bürgermeister

Anlage: Geltungsbereich der Außenbereichssatzung