Titel Logo
Amtliches Mitteilungsblatt - Amtsblatt der Verwaltungsgemeinschaft Bad Tennstedt
Ausgabe 11/2023
Neues aus der Verwaltungsgemeinschaft Bad Tennstedt
Zurück zur vorigen Seite
Zurück zur ersten Seite der aktuellen Ausgabe

Bekanntmachung Ordnungsbehördliche Verordnung

Bekanntmachung:

Ordnungsbehördliche Verordnungüber die Abwehr von Gefahren in der Verwaltungsgemeinschaft Bad Tennstedt

vom 26.05.2023

Auf Grund der §§ 27, 44, 45 und 46 Abs. 1 des Thüringer Gesetzes über die Aufgaben und Befugnisse der Ordnungsbehörden (Ordnungsbehördengesetz – OBG -) vom 18. Juni 1993 (GVBl. S. 323), zuletzt geändert durch Artikel 3 des Gesetzes vom 06. Juni 2018 (GVBl. S. 229,254) erlässt die Verwaltungsgemeinschaft Bad Tennstedt als Ordnungsbehörde folgende Verordnung:

§ 1

Geltungsbereich

Diese ordnungsbehördliche Verordnung gilt für das gesamte Gebiet der Verwaltungsgemeinschaft (VG) Bad Tennstedt, sofern in den nachfolgenden Bestimmungen nicht ausdrücklich etwas anderes geregelt ist.

§ 2

Begriffsbestimmungen

(1)

Straßen im Sinne dieser Verordnung sind – ohne Rücksicht auf die Eigentumsverhältnisse oder eine öffentlich-rechtliche Widmung – alle befestigten und unbefestigten, dem öffentlichen Verkehr oder einzelnen Arten des öffentlichen Verkehrs dienenden Flächen, einschließlich der Plätze und Fußgängerzonen.

(2)

Zu den Straßen gehören:

a)

der Straßenkörper, einschließlich der Geh- und Radwege,

Brücken, Treppen, Durchgänge, Böschungen, Stützmauern,

Gänge, Gräben, Entwässerungsanlagen, Park-, Trenn- und

Seitenstreifen, Dämme, Rand- und Sicherheitsstreifen;

b)

der Luftraum über dem Straßenkörper;

c)

das Zubehör, wie z.B. Verkehrszeichen, Verkehrseinrichtungen

und –anlagen aller Art, die der Sicherheit oder Leichtigkeit

des Straßenverkehrs oder dem Schutz der Anlieger dienen,

und die Bepflanzung.

(3)

Öffentliche Anlagen im Sinne dieser Verordnung sind – ohne Rücksicht auf die Eigentumsverhältnisse – die der Allgemeinheit im Gebiet der Verwaltungsgemeinschaft Bad Tennstedt zugänglichen

a)

öffentlichen Grün- und Erholungsanlagen (s. Absatz 4),

b)

alle der Öffentlichkeit allgemein zugänglichen Flächen und

c)

die öffentlichen Toilettenanlagen.

(4)

Öffentliche Grün- und Erholungsanlagen im Sinne von Abs. 3 Buchstabe 3 a) sind gärtnerisch gestaltete Anlagen, die der Erholung der Bevölkerung dienen.

Hierzu gehören:

a)

Grün- und Parkanlagen, Gedenkplätze;

b)

Kinderspielplätze;

c)

Gewässer und deren Ufer.

§ 3

Verunreinigungen

(1)

Es ist verboten:

a)

öffentliche Gebäude oder sonstige öffentliche bauliche Anlagen und Einrichtungen wie Denkmäler, Einfriedungen, Tore, Brücken, Bänke, Verteilerschränke, Brunnen, Bäume, Blumenkübel, Papierkörbe, Müllbehälter, Streumaterialkästen, Fahrgastwartehallen, Hinweistafeln des öffentlichen Nahverkehrs, öffentliche Absperrungen oder ähnliche Einrichtungen zu beschädigen, zu beschmutzen, zu entfernen, mit Plakaten zu bekleben, zu bemalen, zu beschreiben, zu besprühen oder zu beschmieren.

b)

auf öffentlichen Straßen oder in öffentlichen Anlagen gem. § 2 Abs. 3 Buchst. a und b Kraftfahrzeuge aller Art zu waschen oder abzuspritzen.

c)

Abwasser, mit Ausnahme des aus dem Bereich von bebauten und befestigten Flächen abfließenden Niederschlagswassers sowie Flüssigkeiten, die kein Abwasser sind (wie z.B. verunreinigende, besonders ölige, teerige, brennbare, explosive, säure- und laugenhaltige oder andere umwelt- oder grundwasserschädigende Flüssigkeiten) im öffentlichen Straßenraum auszubringen. Das trifft auch für Baustoffe, insbesondere Zement, Mörtel, Beton sowie ähnliche Materialien zu.

(2)

Wer für Zuwiderhandlungen im Sinne des Absatzes 1 als Ordnungspflichtiger verantwortlich ist, hat den ordnungsgemäßen Zustand unverzüglich wieder herzustellen.

§ 3a

Schutz der öffentlichen Anlagen vor Schäden

(1)

Die Nutzung des Kurparkes der Stadt Bad Tennstedt ist nur von 06.00 bis 22.00 Uhr zulässig.

(2)

Unzulässig ist es, in öffentlichen Anlagen

a)

Pflanzungen oder ähnliche Anbauflächen zu betreten, zu beschädigen, Zweige abzubrechen oder Blumen zu pflücken,

b)

Wege mit Fahrzeugen zu befahren – gleiches gilt für Fahrräder, Mopeds, E-Scooter, Segways und Skateboards; ausgenommen sind Fahrzeuge der Polizei, Rettungsfahrzeuge oder Fahrzeuge zur Pflege der Anlagen sowie Krankenfahrstühle

c)

auf Bänken zu liegen,

d)

Hunde frei oder angeleint auf Rasenkanten oder Pflanzungen umherlaufen zu lassen oder sie auf Kinderspielplätzen mitzunehmen,

e)

Gewerbliche Leistungen anzubieten,

f)

Feuer zu machen oder zu grillen.

§ 3b

Öffentliche Belästigung

Auf öffentlichen Straßen und öffentlichen Anlagen einschließlich der Grünanlagen und Spielplätze ist es untersagt:

1.

zu lagern oder zu nächtigen

2.

Wohnwagen zum dauernden Aufenthalt oder zum dauernden Wohnen zu benutzen

3.

zu betteln

4.

andere durch trunkenheits-, rauschbedingtes oder ähnliches Verhalten zu belästigen oder zu behindern.

§ 4

Wildes Zelten

(1)

Innerhalb der bebauten Ortsteile (§§ 30 und 34 des Baugesetzbuches) ist das Zelten oder Übernachten auf Straßen oder in öffentlichen Anlagen gem. § 2 Abs. 3 Buchst. a und b untersagt.

§ 5

Wasser und Eisglätte

Wasser darf nur in die Gosse geschüttet werden, wenn es ungehindert abfließen kann; bei Frostwetter jedoch nur, wenn hierdurch keine Glätte entsteht.

§ 6

Betreten und Befahren von Eisflächen,

Baden in öffentlichen Gewässern

(1)

Eisflächen aller Gewässer dürfen nur betreten und befahren werden, wenn sie durch das Ordnungsamt der Verwaltungsgemeinschaft dafür freigegeben sind.

(2)

Badeverbot gilt für alle öffentlichen Gewässer (Feuerlöschteiche, Bachläufe).

§ 7

Abfallbehälter, Wertstoffcontainer, Sperrmüll

(1)

Abfallbehälter (Papierkörbe) an Straßen und in öffentlichen Anlagen gemäß § 2 Abs. 3 Buchst. a und b dürfen nur zur Aufnahme kleiner Mengen von Abfällen unbedeutender Art (z.B. Zigarettenschachteln, Pappbecher und Teller) benutzt werden. Jede zweckwidrige Benutzung, insbesondere das Einbringen von Hausmüll, ist verboten.

(2)

Abfallbehälter sowie Wertstoffcontainer (z.B. für Glas, Textilien, Altpapier) dürfen nicht durchsucht, Gegenstände daraus nicht entnommen oder verstreut werden. Sperrmüll ist gefahrlos am Straßenrand abzustellen, so dass Schachtdeckel und Abdeckungen von Versorgungsanlagen usw. nicht verdeckt oder in ihrer Sichtbarkeit und Funktion beeinträchtigt werden.

§ 8

Leitungen

Straßen und öffentliche Anlagen gem. § 2 Abs. 3 Buchst. a und b dürfen mit Leitungen, Antennen und ähnlichen Gegenständen nicht überspannt werden. Berechtigungen auf Grund gesetzlicher oder vertraglicher Regelungen bleiben unberührt.

§ 9

Schneeüberhang und Eiszapfen an Gebäuden

Schneeüberhang und Eiszapfen an Gebäuden, durch die Verkehrsteilnehmer auf Straßen oder in öffentlichen Anlagen gem. § 2 Abs. 3 Buchst. a und b gefährdet werden können, müssen unverzüglich durch den Eigentümer oder andere Berechtigte beseitigt werden.

§ 10

Einrichtungen für öffentliche Zweck

Schieber, Armaturen, Revisions- und Kanalschächte und ähnliche Einrichtungen für die Wasserver- und Abwasserentsorgung, Löschwasserentnahmestellen, Schaltschränke, Transformations- und Reglerstationen sowie Einrichtungen wie Vermessungspunkte, Schilder für die Straßenbezeichnung, Hinweisschilder Gas-, Wasser-, Post- und Stromleitungen sowie Entwässerungsanlagen dürfen nicht beschädigt, geändert, verdeckt, beseitigt, unzugänglch oder für ihre Zwecke unbrauchbar gemacht werden. Insbesondere ist es verboten, Hydranten für die Löschwasserentnahme zu verdecken.

§ 11

Hausnummern

(1)

Jedes Haus ist vom Eigentümer oder Nutzungsberechtigten auf eigene Kosten mit der dem Grundstück vom Bauamt der VG Bad Tennstedt zugeteilten Hausnummer zu versehen. Die Hausnummer muss von der Straße aus erkennbar sein und lesbar gehalten werden.

(2)

Die festgesetzte Hausnummer ist in unmittelbarer Nähe des Haupteinganges deutlich sichtbar anzubringen. Liegt der Haupteingang nicht an der Straßenseite, so ist die Hausnummer an der zur Straße gelegenen Hauswand oder Einfriedung des Grundstückes in Nähe des Haupteinganges anzubringen. Verdeckt ein Vorgarten das Wohngebäude zur Straße hin oder lässt ein solcher die Hausnummer nicht erkennen, so ist diese an der Einfriedung neben dem Eingangstor bzw. der Eingangstür zu befestigen.

(3)

Die Hausnummern müssen aus wasserfestem Material bestehen. Als Hausnummern sind arabische Ziffern zu verwenden. Die Ziffern müssen sich in der Farbe deutlich vom Untergrund abheben und mindestens 10 cm hoch sein.

§ 12

Tierhaltung

(1)

Tiere dürfen nur so gehalten werden, dass die Allgemeinheit nicht gefährdet oder belästigt wird.

(2)

Es ist untersagt, Hunde auf Straßen und in öffentlichen Anlagen gem. § 2 Abs. 3 Buchst. a und b unbeaufsichtigt umherlaufen zu lassen, auf Kinderspielplätzen mitzuführen und in öffentlichen Brunnen oder Planschbecken baden zu lassen.

(3)

Auf Wegen von Grün- und Parkanlagen, einschließlich des Marktplatzes der Stadt Bad Tennstedt, in Spielstraßen, auf Märkten, bei Umzügen, Veranstaltungen und Festen dürfen Hunde nur an der Leine geführt werden.

(4)

Durch Kot von Haustieren dürfen Straßen und öffentliche Anlagen nicht verunreinigt werden. Halter oder mit der Führung oder Haltung von Tieren Beauftragte sind zur sofortigen Beseitigung von Verunreinigungen verpflichtet. Die Straßenreinigungspflicht der Grundstücksanlieger wird dadurch nicht berührt.

(5)

Zur sofortigen Beseitigung von Hundekot sind Tüten für die Aufnahme und den Transport mitzuführen und auf Verlangen den befugten Kontrollkräften der Polizei- oder Ordnungsbehörde vorzuweisen.

(6)

Das Füttern fremder oder frei lebender (herrenloser) Katzen ist verboten. Ausnahmen, insbesondere für die kontrollierte Fütterung frei lebender Katzen zur Populationskontrolle/-reduzierung durch Einrichtungen des Tierschutzes, können zugelassen werden.

§ 13

Bekämpfung verwilderter Tauben

(1)

Verwilderte Tauben dürfen nicht gefüttert werden.

(2)

Eigentümer oder Nutzungsberechtigte von Grundstücken, Wohnräumen oder anderen Räumen haben geeignete Maßnahmen zur Beseitigung der Nistplätze verwilderter Tauben oder zur Erschwerung des Nistens von verwilderten Tauben zu ergreifen.

§ 14

Unbefugte Werbung

(1)

In öffentlichen Anlagen ist es nicht gestattet,

a)

Flugblätter, Druckschriften, Handzettel, Geschäftsempfehlungen und sonstige Werbeschriften zu verteilen, abzuwerfen oder mit anderen Werbemitteln zu werben.

b)

Waren oder Leistungen durch Ausschellen oder Ausrufen anzubieten.

c)

Werbestände, Werbetafeln oder ähnliche Werbeträger aufzustellen oder anzubringen.

(2)

Nach Abschluss von Wahlen, Volksbegehren und Volksentscheiden sind die Werbeträger von den Verantwortlichen innerhalb einer Woche zu entfernen.

§ 15

Ruhestörender Lärm

(1)

Jeder hat sich auch außerhalb der Ruhezeiten nach Absatz 2 so zu verhalten, dass andere nicht mehr als nach den Umständen unvermeidbar durch Geräusche gefährdet oder belästigt werden.

(2)

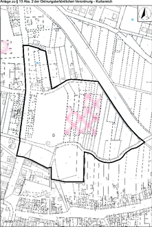
Ruhezeiten für das Kurgebiet der Stadt Bad Tennstedt (gemäß Anlage) sind an Werktagen die Zeiten von 13.00-15.00 Uhr (Mittagsruhe). Für den Schutz der Nachtruhe im Gebiet der VG Bad Tennstedt (22.00 bis 06.00 Uhr) gilt § 7 Abs. 4 der Durchführungsverordnung zum Landeskulturgesetz.

(3)

Während der Mittagsruhezeiten sind Tätigkeiten verboten, die die Ruhe unbeteiligter Personen stören. Das gilt insbesondere für das Ausklopfen von Gegenständen (Teppichen, Polstermöbeln, Matratzen u. ä.), auch auf offenen Balkonen und bei geöffneten Fenstern.

(4)

Das Verbot des Absatzes 3 gilt nicht für Arbeiten und Betätigungen gewerblicher oder land- und forstwirtschaftlicher Art, wenn die Arbeiten üblich sind und die Grundsätze des Absatzes 1 beachtet werden und insbesondere bei den ruhestörenden Arbeiten in geschlossenen Räumen (Werkstätten, Montagehallen, Lagerräumen u. a.) Fenster und Türen geschlossen sind. Für Geräte und Maschinen i. S. d. Geräte- und Maschinenlärmverordnung (32. BImSchV v. 29. August 2002, BGBl. I S. 3478) gelten die dortigen Regelungen.

(5)

Für die Ruhezeiten an Sonntagen, gesetzlichen und religiösen Feiertagen gilt das Thüringer Feiertagsgesetz vom 21. Dezember 1994 (GVBl. S. 1221) in der jeweils gültigen Fassung.

(6)

Lautsprecher, Tonwiedergabegeräte und Musikinstrumente dürfen nur in solcher Lautstärke betrieben bzw. gespielt werden, dass unbeteiligte Personen nicht gestört werden.

§ 16

Offene Feuer im Freien

(1)

Das Anlegen und Unterhalten von Oster-, Lager- und ähnlichen offenen Brauchtumsfeuern im Freien ist grundsätzlich nicht erlaubt.

(2)

Die Ausnahmegenehmigung nach § 18 ersetzt nicht die notwendige Zustimmung des Grundstückseigentümers oder Besitzers.

(3)

Jedes nach § 18 zugelassene Feuer im Freien ist dauernd durch eine volljährige Person zu beaufsichtigen. Bevor die Feuerstelle verlassen wird, sind Feuer und Glut abzulöschen.

(4)

Offene Feuer im Freien müssen entfernt sein

1.

von Gebäuden aus brennbaren Stoffen mindestens 15 m vom Dachvorsprung ab gemessen,

2.

von leicht entzündbaren Stoffen mindestens 100 m und

3.

von sonstigen brennbaren Stoffen mindestens 15 m.

(5)

Andere Bestimmungen (wie z.B. das Abfallbeseitigungs- und Naturschutzrecht, landesrechtliche Vorschriften, wie das Waldgesetz und die Verordnung über die Entsorgung von pflanzlichen Abfällen); nach denen offene Feuer im Freien gestattet oder verboten sind, bleiben unberührt.

§ 17

Anpflanzungen

Anpflanzungen einschließlich Wurzelwerk, insbesondere Zweige von Bäumen, Sträuchern und Hecken, die in den öffentlichen Verkehrsraum hineinwachsen, dürfen die Anlage der Straßenbeleuchtung sowie der Ver- und Entsorgung nicht beeinträchtigen. Der Verkehrsraum muss über Geh- und Radwegen bis zu einer Höhe von mindestens 2,50 m, über den Fahrbahnen bis zu einer Höhe von mindestens 4,50 m freigehalten werden.

§ 18

Ausnahmen

Auf schriftlichen Antrag kann das Ordnungsamt der VG Bad Tennstedt Ausnahmen von den Bestimmungen dieser Verordnung zulassen.

§ 19

Ordnungswidrigkeiten

(1)

Ordnungswidrig im Sinne von § 50 des Ordnungsbehördengesetzes handelt, wer vorsätzlich oder fahrlässig entgegen

1.

§ 3 Abs. 1 Buchstabe a öffentliche Gebäude oder sonstige bauliche Anlagen und Einrichtungen beschädigt, beschmutzt, entfernt, mit Plakaten beklebt, bemalt, besprüht oder beschmiert;

2.

§ 3 Abs. 1 Buchstabe b auf Straßen oder in öffentlichen Anlagen Kraftfahrzeuge aller Art wäscht oder abspritzt;

3.

§ 3 Abs. 1 Buchstabe c Abwässer und Baustoffe im öffentlichen Straßenraum ausbringt.

4.

§ 3a Abs. 1 den Kurpark außerhalb der Nutzungszeit nutzt,

5.

den Verboten des § 3a Abs. 2 zuwiderhandelt,

6.

§ 3 b Nr. 1 auf öffentlichen Straßen und Anlagen einschließlich Grünanlagen und Spielplätzen lagert oder nächtigt,

7.

§ 3 b Nr. 2 auf öffentlichen Straßen und Anlagen einschließlich Grünanlagen und Spielplätzen Wohnwagen zum dauernden Aufenthalt oder zum Wohnen benutzt,

8.

§ 3 b Nr. 3 auf öffentlichen Straßen und Anlagen einschließlich Grünanlagen und Spielplätzen bettelt,

9.

§ 3 b Nr. 4 auf öffentlichen Straßen und Anlagen einschließlich Grünanlagen und Spielplätzen andere belästigt oder behindert,

10.

§ 4 auf Straßen oder in öffentlichen Anlagen zeltet oder übernachtet,

11.

§ 5 Wasser, das nicht ungehindert abfließen kann, oder Wasser bei Frostwetter in die Gosse schüttet,

12.

§ 6 Abs. 1 nicht freigegebene Eisfläche betritt oder befährt,

13.

§ 6 Abs. 2 in öffentlichen Gewässern badet,

14.

§ 7 Abs. 1 Abfallbehälter zweckwidrig benutzt,

15.

§ 7 Abs. 2 Abfallbehälter durchsucht, Gegenstände daraus entnimmt oder Sperrmüll nicht gefahrlos zum Abholen bereitstellt,

16.

§ 9 Schneeüberhang und Eiszapfen nicht unverzüglich beseitigt,

17.

§ 10 Einrichtungen für öffentliche Zwecke beschädigt, ändert, verdeckt, beseitigt, unzugänglich oder unbrauchbar macht,

18.

§ 11 Abs. 1 sein Haus nicht mit der zugeteilten Hausnummer versieht,

19.

§ 12 Abs. 2 Hunde unbeaufsichtigt umherlaufen lässt, mitführt oder baden lässt. Hunde so hält, dass Andere mehr als nach den Umständen unvermeidbar gestört werden.

20.

§ 12 Abs. 3 Hunde nicht an der Leine führt oder bissige Hunde nicht angeleint und ohne bisssicheren Maulkorb führt,

21.

§ 12 Abs. 4 Verunreinigungen durch Haustiere nicht sofort beseitig

22.

§ 12 Abs. 6 fremde oder herrenlose streunende Katzen füttert

23.

§ 13 Abs. 1 verwilderte Tauben füttert,

24.

§ 14 Abs. 1 Werbung betreibt, Waren oder Leistungen anbietet oder Werbeträger aufstellt oder anbringt;

25.

§ 15 Absatz 3 während der Mittags- und/oder Abendruhezeiten Tätigkeiten ausübt, die die Ruhe Unbeteiligter stören,

26.

§ 15 Abs. 6 Lautsprecher, Tonwiedergabegeräte oder Musikinstrumente in einer Lautstärke, die unbeteiligte Personen stört, betreibt oder spielt,

27.

§ 16 Abs. 1 offene Feuer im Freien anlegt und unterhält,

28.

§ 16 Abs. 3 zugelassene Feuer nicht durch eine volljährige Person beaufsichtigt und nach Verlassen der Feuerstelle ablöscht,

29.

§ 16 Abs. 4 offene Feuer anlegt, die

  1. von Gebäuden aus brennbaren Stoffen nicht mindestens 15 m vom Dachvorsprung ab gemessen,
  2. von leicht entzündbaren Stoffen nicht mindestens 100 m oder

  3. von sonstigen brennbaren Stoffen nicht mindestens 15 m

entfernt sind,

30.

§ 17 Abs. 1 durch Anpflanzungen einschließlich Wurzelwerk die Anlagen der Straßenbeleuchtung sowie der Ver- und Entsorgung beeinträchtigt, den Verkehrsraum über Geh- und Radwegen nicht bis zu einer Höhe von mindestens 2,50 m und über Fahrbahnen nicht bis zu einer Höhe von mindestens 4,50 m freihält,

(2)

Die Ordnungswidrigkeit kann gemäß § 51 Abs. 1 OBG mit einer Geldbuße bis zu Fünftausend Euro geahndet werden.

(3)

Zuständige Verwaltungsbehörde für die Verfolgung und Ahndung der Ordnungswidrigkeiten im Sinne von Abs. 1 ist die VG Bad Tennstedt (§ 51 Abs. 2 Nr. 3 OBG).

§ 20

Geltungsdauer

Diese Verordnung gilt bis zum 31.12.2033.

§ 21

Inkrafttreten, Aufhebung von Vorschriften

(1)

Diese Ordnungsbehördliche Verordnung tritt eine Woche nach Bekanntgabe in Kraft.

VG Bad Tennstedt, den 26.05.2023

Frey — - Siegel -

Gemeinschaftsvorsitzender

Anlage:

Karte als Anlage zu § 15 Abs. 2 der Ordnungsbehördlichen Verordnung - Kurbereich