Titel Logo
Auengrund-Echo
Ausgabe 2/2025
Gemeinde Auengrund
Zurück zur vorigen Seite
Zurück zur ersten Seite der aktuellen Ausgabe

Amtlicher Teil

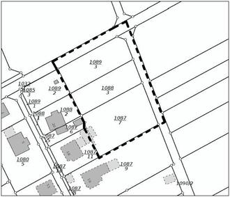
Lageplan mit Geltungsbereich; Quelle: Bauprojekt; Darstellung unmaßstäblich

Übersichtsplan; Quelle: Thüringen Viewer; Darstellung unmaßstäblich

Aufstellungsbeschluss für den qualifizierten Bebauungsplan "Bereich nordöstlich Siedlungsstraße Gemarkung Brattendorf" gemäß § 30 Abs. (1) BauGB

Gemäß § 1 Abs. 3 und § 2 Abs. 1 in Verbindung mit § 34 Abs. 4 Nr. 3 des Baugesetzbuches (BauGB) in der Fassung der Bekanntmachung "Baugesetzbuch in der Fassung der Bekanntmachung vom 3. November 2017 (BGBl. I S. 3634), das zuletzt geändert durch Artikel 3 des Gesetzes vom 20. Dezember 2023 (BGBl. BGBl. 2023 I Nr. 394), hat der Gemeinderat der Gemeinde Auengrund in seiner öffentlichen Sitzung am 20. Februar 2025 die Aufstellung des qualifizierten Bebauungsplanes "Bereich nordöstlich Siedlungsstraße Gemarkung Brattendorf“ beschlossen.

Ziel dieses qualifizierten Bebauungsplanes ist die Schaffung der planungsrechtlichen Voraussetzungen für die Entstehung von Wohngebäuden auf den nordöstlichen gelegenen und bereits vereinzelten Flurstücken, Flur 0, Flurstücknummern: 1089/3; 1088/3 und 1087/7, Gemarkung Brattendorf. Die Grundstücke werden mit Hilfe des Bebauungsplanes dem Innenbereich gem. § 34 BauGB zugeordnet. Es handelt sich hierbei um eine Nachverdichtung.

Der Bebauungsplan soll gemäß § 34 Abs. 6 BauGB im Verfahren gemäß § 30 (3) BauGB aufgestellt werden und durchläuft die Schritte gem. §§ 2 ff. BauGB.

Der räumliche Geltungsbereich des qualifizierten Bebauungsplanes "Bereich nordöstlich Siedlungsstraße Gemarkung Brattendorf“ ist im folgenden Lageplan dargestellt:

Der Beschluss zur Einleitung des Bauleitplanverfahrens wird hiermit ortsüblich bekannt gemacht.

Crock, den 21.02.2025

René Pfötsch

Bürgermeister der Gemeinde Auengrund — -Dienstsiegel-