Titel Logo
Werratal-Kurier
Ausgabe 9/2025
Amtlicher Teil
Zurück zur vorigen Seite
Zurück zur ersten Seite der aktuellen Ausgabe

Amtliche Bekanntmachungen

über die frühzeitige Beteiligung der Öffentlichkeit gemäß § 3 Abs. 1 BauGB zur Aufstellung des vorhabenbezogenen Bebauungsplanes „Nachnutzung Gewerbebrache zum Wohnbaugrundstück in Farnbach“ der Gemeinde Breitungen - Landkreis Schmalkalden-Meiningen

Der Gemeinderat der Gemeinde Breitungen hat in seiner öffentlichen Sitzung am 23.06.2025 mit Beschluss Nr. 605/141 die Aufstellung des vorhabenbezogenen Bebauungsplanes „Nachnutzung Gewerbebrache zum Wohnbaugrundstück in Farnbach“ der Gemeinde Breitungen beschlossen und das gesetzlich erforderliche Planverfahren gemäß Baugesetzbuch damit eingeleitet. Der vorhabenbezogene Bebauungsplan wird im Verfahren gemäß §§ 3 und 4 BauGB einschließlich Durchführung einer Umweltprüfung gemäß § 2 Abs. 4 BauGB aufgestellt.

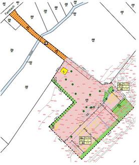
Folgende Grundstücke sind Bestandteil des Geltungsbereiches:

Gemarkung Farnbach:

Flurstücke Nr. 399/79, 399/78, 426/31 - teilweise

Für den räumlichen Geltungsbereich ist die Lageskizze maßgebend.

Die frühzeitige Beteiligung der Öffentlichkeit gemäß § 3 Abs. 1 BauGB zum vorhabenbezogenen Bebauungsplan erfolgt durch Auslegung des Vorentwurfs des Bebauungsplanes mit Begründung und Umweltbericht mit Stand 18.08.2025 im Internet.

Der Vorentwurf des vorhabenbezogenen Bebauungsplanes wird zur Einsicht in der Zeit vom 26.09.2025 bis einschließlich 30.10.2025 auf der Internetseite der Gemeinde Breitungen unter https://www.breitungen.de/seite/389947/flächennutzungs-bebauungspläne.html bereitgestellt.

Es wird darauf hingewiesen, dass Stellungnahmen gemäß § 3 Abs. 2 BauGB elektronisch an die Gemeinde übermittelt werden sollen (info@breitungen.de), jedoch bei Bedarf Stellungnahmen auch auf anderem Wege abgegeben werden können, u.a.

Postanschrift:

Gemeindeverwaltung Breitungen

Rathausstraße 24

98597 Breitungen

Zusätzlich zur Veröffentlichung im Internet, als leicht zu erreichende Zugangsmöglichkeit, erfolgt eine öffentliche Auslegung der Unterlagen in der Gemeindeverwaltung Breitungen, Rathausstraße 24, 98597 Breitungen während der allgemeinen Öffnungszeiten:

Montag

von 09:00 bis 12:00 Uhr

und von 13:00 bis 15:30 Uhr

Dienstag

von 09:00 bis 12:00 Uhr

und von 13:00 bis 17:30 Uhr

Donnerstag

von 09:00 bis 12:00 Uhr

und von 13:00 bis 15:30 Uhr

Freitag

von 09:00 bis 12:00 Uhr

Hinweis

Während der Auslegungsfrist können Hinweise und Anregungen zum o.g. Vorhaben vorgebracht werden.

Durch die Abgabe Ihrer Stellungnahme stimmen Sie der Speicherung Ihrer personenbezogenen Daten zu. Im Zusammenhang mit dem Datenschutz weisen wir ausdrücklich darauf hin, dass ein Bebauungsplanverfahren ein öffentliches Verfahren ist und daher in der Regel alle dazu eingehenden Stellungnahmen in öffentlichen Sitzungen beraten und entschieden werden, sofern sich nicht aus der Art der Einwände oder der betroffenen Personen ausdrückliche oder offensichtliche Einschränkungen ergeben. Soll eine Stellungnahme nur anonym behandelt werden, ist dies auf derselben eindeutig zu vermerken.

Breitungen, den 09.09.2025 —  -Siegel-

Römhild

Bürgermeister