Titel Logo
Amtsblatt der Verwaltungsgemeinschaft "Eichsfeld-Wipperaue"
Ausgabe 12/2024
Amtlicher Teil
Zurück zur vorigen Seite
Zurück zur ersten Seite der aktuellen Ausgabe

Information der Gemeinde Haynrode

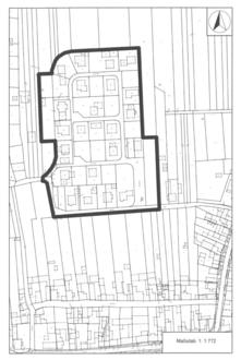
zum Bebauungsplan Nr. 1 „Am Warteberg“

Der Gemeinde Haynrode liegt ein Antrag auf Änderung des Bebauungsplan Nr. 1 „Am Warteberg“ vor. Inhaltlich sollen u.a. die Erhöhung der Grundflächenzahl (GRZ) auf 0,4 und die Erweiterung des Geltungsbereiches überarbeitet werden.

Die Gemeinde Haynrode erklärt sich bereit, das Bauleitplanverfahren hoheitlich zu führen. Die Planung der Bebauungsplanänderung soll durch eine Interessensgemeinschaft der betreffenden Grundstückseigentümer auf eigene Kosten aufgestellt werden. Die Verantwortung der Gemeinde für das gesetzlich vorgesehene Bauleitplanverfahren bleibt davon unberührt. Zwischen der Interessensgemeinschaft und der Gemeinde Haynrode wird zum Verfahren ein städtebaulicher Vertrag aufgestellt.

Bei Interesse der betreffenden Grundstückseigentümer bitten wir um Information an die Gemeinde Haynrode, Bürgermeister Andreas Heiroth oder an das Bauamt der Verwaltungsgemeinschaft „Eichsfeld-Wipperaue“.

gez. Heiroth

Bürgermeister