Titel Logo
Amtsblatt der Verwaltungsgemeinschaft "Eichsfeld-Wipperaue"
Ausgabe 25/2024
Amtlicher Teil
Zurück zur vorigen Seite
Zurück zur ersten Seite der aktuellen Ausgabe

Gemeinde Haynrode

Im öffentlichen Teil wurden 6 Beschlüsse gefasst, die hiermit amtlich bekannt gegeben werden:

Beschluss Nr. 50 - 04 -17 / 2024 vom 26.11.2024

Überplanmäßige Ausgabe

Gewerbesteuerumlage III. und IV. Quartal 2024

Der Gemeinderat der Gemeinde Haynrode stimmt dem Antrag zur überplanmäßigen Ausgabe bei der Haushaltsstelle 2.90000.81000 in Höhe von 50.038,41 zu.

Die Deckung erfolgt aus Mehreinnahmen bzw. Minderausgaben des Gesamthaushalts.

Abstimmungsergebnis:

Gesetzliche Soll-Stärke des Gemeinderates: 9 Mitglieder

Gesetzliche Ist-Stärke des Gemeinderates: 8 Mitglieder

davon anwesend: 8 Mitglieder

Ja - Stimmen: 8 Stimmen

Nein - Stimmen: /

Stimmenthaltungen: /

Aufgrund des § 38 Abs. 1 ThürKO von der

Beratung und Abstimmung ausgeschlossen: keiner.

Damit ist der Beschlussvorschlag angenommen.

Beschluss Nr. 50 - 04 - 18 / 2024 vom 26.11.2024

Außerplanmäßige Ausgabe Ballfangzaun und Sitzbänke

„Sportplatz, Spielplatz, Mehrzweckgebäude“

Der Gemeinderat der Gemeinde Haynrode stimmt dem Antrag zur außerplanmäßigen Ausgabe bei der Haushaltsstelle 2.56100.95000 in Höhe von 10.222,43 zu.

Die Deckung erfolgt aus Fördermitteln und Spenden sowie Mehreinnahmen bzw. Minderausgaben des Gesamthaushaltes.

Abstimmungsergebnis:

Gesetzliche Soll-Stärke des Gemeinderates: 9 Mitglieder

Gesetzliche Ist-Stärke des Gemeinderates: 8 Mitglieder

davon anwesend: 8 Mitglieder

Ja - Stimmen: 8 Stimmen

Nein Stimmen: /

Stimmenthaltungen: /

Aufgrund des § 38 Abs. 1 ThürKO von der

Beratung und Abstimmung ausgeschlossen: keiner.

Damit ist der Beschlussvorschlag angenommen.

Beschluss Nr. 50 - 04 - 19 1 2024 vom 26.11.2024

Überplanmäßige Ausgabe - Ausgabe Haltung von Fahrzeugen

Der Gemeinderat der Gemeinde Haynrode stimmt dem Antrag auf überplanmäßige Ausgabe bei der Haushaltsstelle 77100.55000 in Höhe von ca. 6.000,00 € zu.

Die Deckung erfolgt aus Mehreinnahmen bzw. Minderausgaben des Gesamthaushalts.

Abstimmungsergebnis:

Gesetzliche Soll-Stärke des Gemeinderates: 9 Mitglieder

Gesetzliche Ist-Stärke des Gemeinderates: 8 Mitglieder

davon anwesend: 8 Mitglieder

Ja - Stimmen: 8 Stimmen

Nein - Stimmen: /

Stimmenthaltungen: /

Aufgrund des § 38 Abs. 1 ThürKO von der

Beratung und Abstimmung ausgeschlossen: keiner.

Damit ist der Beschlussvorschlag angenommen.

Beschluss Nr. 50 - 04 - 20 / 2024 vom 26.11.2024

Forstwirtschaftsplan 2025 für den Wald der Gemeinde Haynrode

Der Gemeinderat der Gemeinde Haynrode bestätigt den Forstwirtschaftsplan 2025 für den Wald der Gemeinde Haynrode.

Der Bürgermeister wird ermächtigt bzw. beauftragt den Forstwirtschaftsplan 2025 zu unterzeichnen.

Abstimmungsergebnis:

Gesetzliche Soll-Stärke des Gemeinderates: 9 Mitglieder

Gesetzliche Ist-Stärke des Gemeinderates: 8 Mitglieder

davon anwesend: 8 Mitglieder

Ja - Stimmen: 8 Stimmen

Nein - Stimmen: /

Stimmenthaltungen: /

Aufgrund des § 38 Abs. 1 ThürKO von der

Beratung und Abstimmung ausgeschlossen: keiner.

Damit ist der Beschlussvorschlag angenommen.

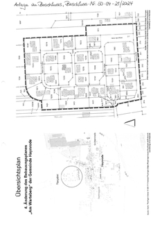
Beschluss Nr. 50 - 04 - 21 / 2024 vom 26.11.2024

Planverfahren zur Aufstellung der 4. Änderung des Bebauungsplanes,Am Warteberg" der Gemeinde Haynrode im beschleunigten Verfahren nach 13 a BauGB

Aufstellungsbeschluss gemäß § 1 (3) und § 2 (1) BauGB in dem gemäß Anlage zu diesem Beschluss festgesetzten Geltungsbereich

Der Gemeinderat der Gemeinde Haynrode beschließt in seiner öffentlichen Sitzung:

a)

Das gesetzlich durch das Baugesetzbuch vorgeschriebene Planverfahren zur Aufstellung der 4. Änderung des Bebauungsplanes „Am Warteberg“ der Gemeinde Haynrode, auf der Grundlage des § 1 (3) und § 2 (1) BauGB, in dem gemäß Anlage zu diesem Beschluss festgesetzten räumlichen Geltungsbereich soll eingeleitet werden. Die Anlage ist Bestandteil des Beschlusses.

b)

Die Aufstellung zur Aufstellung der 4. Änderung des Bebauungsplanes „Am Warteberg" der Gemeinde Haynrode soll im beschleunigten Verfahren gern. § 13a BauGB und somit ohne Umweltprüfung gemäß § 2 (4) BauGB, Umweltbericht nach § 2 a BauGB, Angaben nach § 3 (2) Satz 2 BauGB und zusammenfassender Erklärung nach § 10 a (1) BauGB durchgeführt werden. Von der frühzeitigen Unterrichtung und Erörterung nach § 3 (1) und § 4 (1) BauGB soll gemäß § 13 (2) Nr. 1 BauGB abgesehen werden.

Abstimmungsergebnis:

Gesetzliche Soll-Stärke des Gemeinderates: 9 Mitglieder

Gesetzliche Ist-Stärke des Gemeinderates: 8 Mitglieder

davon anwesend: 8 Mitglieder

Ja - Stimmen: 8 Stimmen

Nein - Stimmen: /

Stimmenthaltungen: /

Aufgrund des § 38 Abs. 1 ThürKO von der

Beratung und Abstimmung ausgeschlossen: keiner.

Damit ist der Beschlussvorschlag angenommen.

Beschluss Nr. 50 - 04 - 22 / 2024 vom 26.11.2024

Zuschuss an die Jugendfeuerwehr Haynrode

Der Gemeinderat der Gemeinde Haynrode stimmt dem Antrag auf Zuschuss in Höhe von 300,00 € für die Jugendfeuerwehr Haynrode zu.

Abstimmungsergebnis:

Gesetzliche Soll-Stärke des Gemeinderates: 9 Mitglieder

Gesetzliche Ist-Stärke des Gemeinderates: 8 Mitglieder

davon anwesend: 8 Mitglieder

Ja - Stimmen: 8 Stimmen

Nein - Stimmen: /

Stimmenthaltungen: /

Aufgrund des § 38 Abs. 1 ThürKO von der

Beratung und Abstimmung ausgeschlossen: keiner.

Damit ist der Beschlussvorschlag angenommen.

Im nichtöffentlichen Teil der Sitzung wurden 3 Beschlüsse,

Beschluss Nr. 50 - 04 - 23 / 2024

Beschluss Nr. 50 - 04 - 24 / 2024

Beschluss Nr. 50 - 04 - 25 / 2024,

gefasst, die nach Wegfall der Vertraulichkeitsgründe amtlich bekannt gegeben werden.

Haynrode, 27.11.2024

gez. Andreas Heiroth

Bürgermeister