Titel Logo
Amtsblatt der Verwaltungsgemeinschaft Dornburg-Camburg
Ausgabe 1/2025
Amtlicher Teil
Zurück zur vorigen Seite
Zurück zur ersten Seite der aktuellen Ausgabe

1. Änderung des Bebauungsplanes „Unter der Vorderen Leite“ in der Gemeinde Neuengönna

Frühzeitige Öffentlichkeitsbeteiligung gem. § 3 Abs.1 BauGB

Der Gemeinderat der Gemeinde Neuengönna hat in seiner Sitzung am 20.08.2024 die Einleitung der 1. Änderung des rechtskräftigen Bebauungsplanes „Unter der Vorderen Leite“ in der Gemeinde Neuengönna beschlossen. Der Gemeinderat hat in seiner Sitzung am 15.10.2024 weiterhin die Durchführung der 1. Änderung des Bebauungsplanes analog der Aufstellung eines Bebauungsplanes der Innenentwicklung im beschleunigten Verfahren beschlossen.

Planungsziel ist die geordnete städtebauliche Entwicklung des Gebietes durch geänderte Festsetzungen und der damit einhergehenden Nutzung.

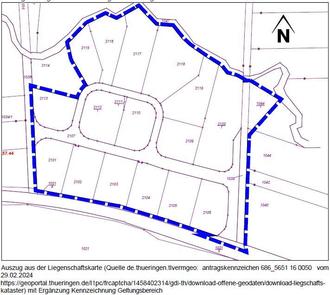
Der Geltungsbereich der 1. Änderung des Bebauungsplanes „Unter der Vorderen Leite“ ist durch die Markierung in der Karte ersichtlich.

Die Lage des Bebauungsplangebietes in Neuengönna ist dem Übersichtsplan zu entnehmen.

Die Planung wird gemäß § 3 Abs.1 BauGB der Öffentlichkeit im Rahmen des folgenden Termins vorgestellt und erörtert, zu dem alle Interessierten eingeladen sind:

28.01.2025 um 18.00 Uhr

im Dorfgemeinschaftshaus Neuengönna,

Nerkewitzer Straße 25, 07778 Neuengönna

Gegenstand sollen die allgemeinen Ziele und Zwecke der Planung, sich wesentlich unterscheidende Lösungen, die für Entwicklung des Gebietes in Betracht kommen und die voraussichtlichen Auswirkungen der Planung sein. Der Öffentlichkeit wird Gelegenheit zur Äußerung und Erörterung gegeben. Die Äußerungen werden protokolliert.

Stellungnahmen und Hinweise zur Planung können auch nachträglich zu bis zum 04.02.2025 bei der Verwaltungsgemeinschaft Dornburg-Camburg, Rathausstraße 1 in 07774 Dornburg-Camburg schriftlich oder zur Niederschrift sowie per Mail (U.Habel@vg-dornburg-camburg.de) vorgebracht werden. Nicht fristgemäß abgegebene Stellungnahmen können bei der Beschlussfassung unberücksichtigt bleiben.

Auskunft erteilt Herr Habel, Leiter des Bauamtes, Telefon 036421 71040.

Datenschutzrechtliche Obliegenheiten werden berücksichtigt. Ein Merkblatt dazu ist verfügbar und kann auf Nachfrage eingesehen bzw. ausgehändigt oder zugesandt werden.

Eine Einsichtnahme der Bekanntmachung ist über das Internetportal der Verwaltungsgemeinschaft Dornburg-Camburg über den Pfad Aktuelles/ Bekanntmachungen (zielgenau: https://www.vg-dornburg-camburg.eu/seite/641592/bekanntmachungen.html) möglich.

Neuengönna, 06.01.2025

gez. Coriand

1. Beigeordneter