Titel Logo
Amtsblatt der Verwaltungsgemeinschaft Dornburg-Camburg
Ausgabe 11/2024
Amtlicher Teil
Zurück zur vorigen Seite
Zurück zur ersten Seite der aktuellen Ausgabe

Gemeinde Neuengönna

Fortführung des Verfahrens zur 1. Änderung des rechtskräftigen Bebauungsplanes „Unter der Vorderen Leite“ in der Gemeinde Neuengönna gemäß § 13a BauGB analog der Aufstellung eines Bebauungsplanes der Innenentwicklung im beschleunigten Verfahren ohne Umweltprüfung

Der Gemeinderat der Gemeinde Neuengönna hat in seiner öffentlichen Sitzung am 13.08.2024 unter Beschluss-Nr.: 08/010/2024 die Einleitung der 1. Änderung des rechtskräftigen Bebauungsplanes „Unter der Vorderen Leite“ in der Gemeinde Neuengönna beschlossen.

Planungsziel ist die geordnete städtebauliche Entwicklung des Gebietes durch geänderte Festsetzungen und der damit einhergehenden Nutzung.

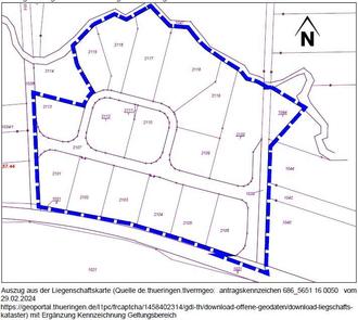
Der Bereich der 1. Änderung ist in der Übersicht ist mit der fett gestrichelten Linie markiert.

Geltungsbereich grundstücksbezogen,

unmaßstäblich -fett gestrichelte Line-

Es folgte eine Untersuchung, in der Voraussetzungen für die Änderung in einem Verfahren gemäß § 13a BauGB für einen Bebauungsplan der Innenentwicklung im beschleunigten Verfahren geprüft wurden. In dieser Untersuchung wurde festgestellt, dass alle Voraussetzungen für diese Verfahrensweise erfüllt werden.

Der Gemeinderat der Gemeinde Neuengönna hat in seiner Sitzung am 15.10.2024 unter Beschluss-Nr.: 08/022/2024 beschlossen, in Kenntnis der Prüfung die 1. Änderung als Verfahren analog der Aufstellung eines Bebauungsplanes der Innenentwicklung im beschleunigten Verfahren ohne Umweltprüfung durchzuführen.

In diesem beschleunigten Verfahren werden folgende Maßgaben des BauGB berücksichtigt:

1.

Gemäß § 13 Abs. 3 Satz 1 BauGB, hier zur Anwendung ermächtigt durch § 13a Abs. 2 Nr. 1 BauGB, wird von der Umweltprüfung nach § 2 Absatz 4, von dem Umweltbericht nach § 2a, von der Angabe nach § 3 Absatz 2 Satz 4, welche Arten umweltbezogener Informationen verfügbar sind, sowie von der zusammenfassenden Erklärung nach § 6a Absatz 1 und § 10a Absatz 1 abgesehen; § 4c (Überwachung erheblicher Umweltauswirkungen) ist nicht anzuwenden.

2.

Gemäß § 13a Abs. 2 Nr. 3 BauGB gelten in den Fällen des Absatzes 1 Satz 2 Nummer 1 Eingriffe, die auf Grund der 1. Änderung des Bebauungsplans zu erwarten sind, als im Sinne des § 1a Absatz 3 Satz 6 vor der planerischen Entscheidung erfolgt oder zulässig.

3.

Gemäß § 13a Abs. 4 BauGB gelten die Absätze 1 bis 3 des § 13a BauGB entsprechend für die Änderung eines Bebauungsplans.

Dieser Beschluss zur Fortführung des Verfahrens der 1. Änderung zum Bebauungsplan „Unter der Vorderen Leite“ der Gemeinde Neuengönna analog der Aufstellung eines Bebauungsplanes der Innenentwicklung im beschleunigten Verfahren ohne Umweltprüfung wird hiermit ortsüblich bekanntgemacht.

Neuengönna, 18.10.2024

gez.

Schwarze

Bürgermeister