Titel Logo
Amtsblatt der Verwaltungsgemeinschaft Dornburg-Camburg
Ausgabe 9/2024
Amtlicher Teil
Zurück zur vorigen Seite
Zurück zur ersten Seite der aktuellen Ausgabe

Einleitung der 1. Änderung des Bebauungsplanes „Unter der Vorderen Leite“ in der Gemeinde Neuengönna

Einleitungsbeschluss

Der Gemeinderat der Gemeinde Neuengönna hat in seiner öffentlichen Sitzung am 13.08.2024 unter Beschluss-Nr.: 08/010/2024 die Einleitung der 1. Änderung des rechtskräftigen Bebauungsplanes „Unter der Vorderen Leite“ in der Gemeinde Neuengönna beschlossen.

Planungsziel ist die geordnete städtebauliche Entwicklung des Gebietes durch geänderte Festsetzungen und der damit einhergehenden Nutzung.

Das Plangebiet wird begrenzt

im Osten:

durch die Ackerflächen „Unter der vorderen Leite“

im Norden:

durch die Ackerflächen/Waldstreifen

„Unter den Morgenbergen“

im Süden:

durch die Kreisstraße K 209

im Westen:

durch einen Teilabschnitt der „Nerkewitzer Straße“

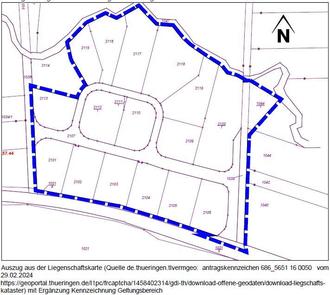
der Geltungsbereich der 1. Änderung des Bebauungsplanes „Unter der Vorderen Leite“ ist durch die Markierung (gestrichelte Fette Linie) in der Karte ersichtlich.

Geändert werden soll der rechtskräftige Bebauungsplan „Unter der Vorderen Leite“ für die Flurstücke 1031/5 teilweise, 1039, 2101, 2102, 2103, 2104, 2105, 2106, 2107, 2108, 2109, 2110, 2111/1, 2112/1, 2113, 2115, 2116, 2117, 2118, 2119, 2120/1, 1044/1 teilweise, und 1044/2 teilweise, alle in der Flur 5 der Gemarkung Neuengönna, Gemeinde Neuengönna.

Der Gemeinderat der Gemeinde Neuengönna hat weiterhin beschlossen, dass zuerst die Voraussetzungen für die Änderung in einem Verfahren gemäß § 13a BauGB für einen Bebauungsplan der Innenentwicklung zu prüfen ist. Das Ergebnis ist dem Gemeinderat zur Entscheidung vorzulegen.

Der Beschluss wird hiermit öffentlich bekanntgemacht.

Neuengönna, den 26.08.2024

gez.

Schwarze

Bürgermeister