Titel Logo
Blick ins Gräfensteiner Land VG Rodalben
Ausgabe 19/2025
Amtliche Bekanntmachungen und Mitteilungen
Zurück zur vorigen Seite
Zurück zur ersten Seite der aktuellen Ausgabe

Bekanntmachung

Vollzug des BauGB

9. Änderung des Bebauungsplans „Vorderer Rappenkopf“ der Stadt Rodalben im vereinfachten Verfahren gem. § 13 BauGB für den Bereich der Flurstücke Pl.-Nrn. 1035/75, 1035/76, 1035/77, 1035/117, 1035/118, 1035/121, 1035/122, 1035/123, 1035/124, 1035/125, 1035/126 und 1035/146 in der Gemarkung Rodalben

- Bekanntmachung des Satzungsbeschlusses gemäß § 10 Abs. 3 Satz 10 BauGB

Die 9. Änderung des o. g. Bebauungsplans „Vorderer Rappenkopf“ der Stadt Rodalben wurde am 28. April 2025 vom Stadtrat Rodalben gem. §§ 10 Abs. 1 und 9 Abs. 4 BauGB i. V. m. § 88 LBauO und § 24 GemO als Satzung beschlossen. Die Durchführung eines Genehmigungsverfahres i. S. d. § 10 Abs. 2 Satz 1 BauGB war in diesem Fall nicht erforderlich.

Gegenstand der Änderung ist die Schaffung der bauplanungsrechtlichen Voraussetzungen für die Errichtung von Dachaufbauten und Kniestöcken. Ferner wird die zulässige Dachneigung neu geregelt und die vordere Baugrenze, angepasst an die tatsächliche Bebauung, neu festgelegt.

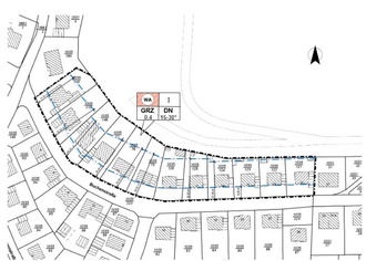
Der räumliche Geltungsbereich des Änderungsplans umfasst o. g. Flurstück und ist aus dem nachfolgenden Plan ersichtlich:

- - - - - = räumlicher Geltungsbereich

-.-.-.-.- = Baugrenze

Der Bebauungsplan „Vorderer Rappenkopf“ kann im Gebäude der Verbandsgemeindeverwaltung Rodalben, Am Rathaus 9, Zimmer 111, während der Dienstzeiten eingesehen werden. Jede Person kann auch über den Inhalt der Änderung Auskunft verlangen (§ 10 Abs. 3 Sätze 2 und 3 BauGB).

Mit dieser Bekanntmachung tritt der Bebauungsplan in Kraft (§ 10 Abs. 3 Satz 4 BauGB) und das Erfordernis einer formgültigen Verkündung der örtlichen Bauvorschriften ist erfüllt (§ 88 Abs. 6 LBauO).

Gem. § 44 Abs. 5 BauGB wird auf die Vorschriften des § 44 Abs. 3 Satz 1 und 2 sowie Abs. 4 BauGB über die Entschädigung durch den Bebauungsplan eintretender Vermögensnachteile sowie über die Fälligkeit und das Erlöschen entsprechender Entschädigungsansprüche hingewiesen.

Gem. § 215 Abs. 2 BauGB wird darauf aufmerksam gemacht, dass eine nach § 214 Abs. 1 Satz 1 Nr. 1 bis 3 BauGB beachtliche Verletzung der dort bezeichneten Verfahrens- und Formvorschriften, eine unter Berücksichtigung des § 214 Abs. 2 BauGB beachtliche Verletzung der Vorschriften über das Verhältnis des Bebauungsplans und des Flächennutzungsplans und nach § 214 Abs. 3 Satz 2 BauGB beachtliche Mängel des Abwägungsvorgangs unbeachtlich werden, wenn sie nicht innerhalb von einem Jahr seit der Bekanntmachung des Flächennutzungsplans oder der Satzung gegenüber der Stadt Rodalben unter Darlegung des die Verletzung begründenden Sachverhalts geltend gemacht worden sind.

Gemäß § 24 Abs. 6 GemO wird darauf hingewiesen, dass Satzungen, die unter Verletzung von Verfahrens- oder Formvorschriften der GemO oder auf Grund der GemO zustande gekommen sind, ein Jahr nach der Bekanntmachung als von Anfang an gültig zustande gekommen gelten. Die gilt jedoch nicht, wenn

1.

die Bestimmungen über die Öffentlichkeit der Sitzung, die Genehmigung, die Ausfertigung oder die Bekanntmachung der Satzung verletzt worden sind, oder

2.

vor Ablauf eines Jahres nach der Bekanntmachung die Aufsichtsbehörde den Beschluss beanstandet oder jemand die Verletzung der Verfahrens- oder Formvorschriften gegenüber der Stadt Rodalben unter Bezeichnung des Sachverhalts, der die Verletzung begründen soll, schriftlich geltend gemacht hat.

Hat jemand eine Verletzung nach Nr. 2 geltend gemacht, so kann auch nach Ablauf eines Jahres nach der Bekanntmachung jede Person diese Verletzung geltend machen.

Der Sachverhalt, der die Verletzung von Verfahrens- und Formvorschriften oder den Mangel der Abwägung begründen soll, ist darzulegen. Die Fristen beginnen nach dieser Bekanntmachung.

Eingaben sind zu richten an die

Verbandsgemeindeverwaltung Rodalben,

Am Rathaus 9, 66976 Rodalben.

Stadt Rodalben
Verbandsgemeinde Rodalben
Claus Schäfer
Wolfgang Denzer
Stadtbürgermeister
Bürgermeister