Titel Logo
Blick ins Gräfensteiner Land VG Rodalben
Ausgabe 23/2023
Amtliche Bekanntmachungen und Mitteilungen
Zurück zur vorigen Seite
Zurück zur ersten Seite der aktuellen Ausgabe

Verbandsgemeinde (amtlich)

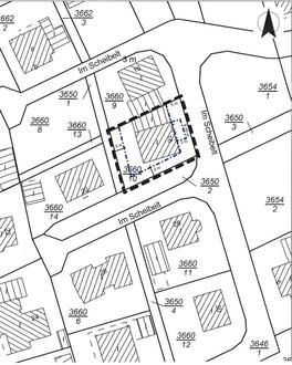
Geltungsbereich des Änderungsplanes „Scheibelt, I. Gewanne“ der Ortsgemeinde Donsieders

Bekanntmachung

Vollzug des BauGB;

Änderung des Bebauungsplanes „Scheibelt, I. Gewanne“ der Ortsgemeinde Donsieders für den Bereich des Flurstücks Nr. 3660/10 im vereinfachten Verfahren gem. § 13 BauGB

- Öffentliche Auslegung gem. § 13 und § 3 Abs. 2 BauGB

Der Gemeinderat Donsieders hat in seiner Sitzung am 19. April 2023 gem. § 2 Abs. 1 BauGB beschlossen, den Bebauungsplan „Scheibelt, I. Gewanne“ der Ortsgemeinde Donsieders für den Bereich des Flurstücks Nr. 3660/10 im vereinfachten Verfahren gem. § 13 BauGB zu ändern.

Gegenstand der Änderung ist die Verschiebung der östlichen Baugrenze auf einer Länge von 6,50 m um 3 m nach Osten.

Die sonstigen zeichnerischen und textlichen Festsetzungen des Bebauungsplans „Scheibelt, I. Gewanne“ der Ortsgemeinde Donsieders sowie die Änderungspläne hierzu bleiben von dieser Änderung unberührt.

Die Grundzüge der Planung werden hierdurch nicht berührt. Von der frühzeitigen Unterrichtung und Erörterung nach § 3 Abs. 1 und § 4 Abs. 1 BauGB kann gem. § 13 Abs. 2 Ziffer 1 BauGB abgesehen werden. Stattdessen werden entsprechend § 13 Abs. 2 Ziffern 2 und 3 BauGB die betroffenen Fachbehörden und sonstigen Träger öffentlicher Belange gem. § 4 Abs. 2 BauGB und die Öffentlichkeit gem. § 3 Abs. 2 BauGB an der Planung beteiligt. Beide Beteiligungen werden gem. § 4a Abs. 2 BauGB zeitgleich durchgeführt.

Da es sich hier um das vereinfachte Verfahren nach § 13 BauGB handelt, wird von einer Umweltprüfung nach § 2 Abs. 4, von dem Umweltbericht nach § 2a, von der Angabe nach § 3 Abs. 2 Satz 2, welche Arten umweltbezogener Informationen verfügbar sind sowie von der zusammenfassenden Erklärung nach § 6a Abs. 1 und § 10a Abs. 1 BauGB abgesehen. § 4c BauGB ist nicht anzuwenden.

Der Entwurf des Änderungsplanes zum Bebauungsplan „Scheibelt, I. Gewanne“ einschließlich Begründung liegt in der Zeit

vom 16. Juni 2023 bis einschließlich 17. Juli 2023

im Gebäude der Verbandsgemeindeverwaltung Rodalben,

Am Rathaus 9, Zimmer 111,

während der allgemeinen Dienstzeiten zur Einsichtnahme öffentlich aus.

Montag, Dienstag und Donnerstag:

8.30 Uhr - 12.00 Uhr und 14.00 Uhr - 16.00 Uhr

Mittwoch und Freitag:

8.30 Uhr - 12.00 Uhr

Donnerstag:

16.00 Uhr - 18.00 Uhr nur nach vorheriger Terminvereinbarung!

Während der Auslegungsfrist besteht die Möglichkeit, die vollständigen Planunterlagen einzusehen und Stellungnahmen dazu abzugeben.

Der Inhalt dieser Bekanntmachung und die ausliegenden Unterlagen sind gem. § 4a Abs. 4 Satz 1 BauGB auch online verfügbar und können im Zeitraum der Offenlage auf der Internetseite www.rodalben.de unter der Rubrik: Aktuelles/Baurechtliches eingesehen werden.

Gem. § 3 Abs. 2 BauGB wird darauf hingewiesen, dass nicht fristgerecht abgegebene Stellungnahmen bei der Beschlussfassung über die Bauleitpläne unberücksichtigt bleiben können.

Im Zusammenhang mit dem Datenschutz weisen wir ausdrücklich darauf hin, dass ein Bauleitverfahren ein öffentliches Verfahren ist und daher in der Regel alle dazu eingehenden Stellungnahmen in öffentlichen Sitzungen beraten und entschieden werden, sofern sich nicht aus der Art der Einwände oder der betroffenen Person ausdrückliche oder offensichtliche Einschränkungen ergeben. Mit der Abgabe einer entsprechenden Stellungnahme wird einer Veröffentlichung im Sinne von Artikel 6 Abs. 1a DSGVO zugestimmt. Soll eine Stellungnahme nur anonym behandelt werden, ist dies auf derselben eindeutig zu vermerken.

Der Geltungsbereich der vorliegenden Bebauungsplanänderung umfasst den Bereich des Flurstücks Nr. 3660/10 im Geltungsbereich des Bebauungsplanes „Scheibelt, I. Gewanne“ der Ortsgemeinde Donsieders.

Die genauen Grenzen ergeben sich aus der nachfolgenden Planzeichnung.

Verbandsgemeindeverwaltung Rodalben
In Vertretung
Timo Bäuerle
1. Beigeordneter