Titel Logo
Blick ins Gräfensteiner Land VG Rodalben
Ausgabe 24/2023
Amtliche Bekanntmachungen und Mitteilungen
Zurück zur vorigen Seite
Zurück zur ersten Seite der aktuellen Ausgabe

Vollzug des BauGB;

Bekanntmachung von Beschlüssen des Gemeinderates Leimen und des Verbandsgemeinderates Rodalben gem. § 2 Abs. 1 Satz 2 BauGB;

hier: Aufstellung des Bebauungsplans „Langer Garten, Teil 2“ der Ortsgemeinde Leimen sowie die 35. Teil-Änderung des Flächennutzungsplans der Verbandsgemeinde Rodalben im Parallelverfahren gem. § 8 Abs. 3 BauGB

Gemäß § 1 Abs. 3 BauGB ist die Kommune verpflichtet, Bauleitpläne aufzustellen, sobald und soweit es für die städtebauliche Ordnung erforderlich ist. Die Ortsgemeinde Leimen beabsichtigt gem. § 2 Abs. 1 BauGB die Aufstellung eines Bebauungsplans zur Ausweisung eines Neubaugebietes.

Es ist geplant, südlich an das bestehende Wohngebiet „Langer Garten“ angrenzend, ein neues Baugebiet mit einer Gesamtfläche von ca. 1,3 ha für eine Wohnhausbebauung auszuweisen. Der aktuelle Flächennutzungsplan der Verbandsgemeinde Rodalben stellt für den betroffenen Bereich eine Fläche für die Landwirtschaft dar. Zukünftig ist hier eine „Wohnbaufläche“ darzustellen.

Aus diesem Grund hat der Gemeinderat Leimen in seiner Sitzung am 30.01.2023 sowie der Verbandsgemeinderat Rodalben in seiner Sitzung am 24.04.2023 beschlossen, den Bebauungsplan „Langer Garten, Teil 2“ aufzustellen und parallel hierzu im Rahmen der 35.Teil-Änderung den Flächennutzungsplan zu ändern.

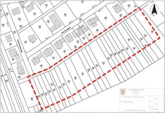
Das Plangebiet umfasst die folgenden Grundstücke:

Teilflächen der Flurstücke Nr. 340/5, 340/16, 342/6, 342/8, 343/6, 343/8, 344/5, 345/6, 345/8, 346/6, 346/8, 347/6, 347/8, 348/5, 349/3, 350/7, 350/9, 351/8, 351/10, 351/12, 352/5, 353/3, 355/2, 356/2, 357/4, 357/6, 358/2 und 359/2.

Der räumliche Geltungsbereich des Bebauungsplans „Langer Garten, Teil 2“ ist nachfolgend zeichnerisch dargestellt:

Verbandsgemeinde Rodalben
Wolfgang Denzer
Bürgermeister