Titel Logo
Blick ins Gräfensteiner Land VG Rodalben
Ausgabe 25/2025
Amtliche Bekanntmachungen und Mitteilungen
Zurück zur vorigen Seite
Zurück zur ersten Seite der aktuellen Ausgabe

Bekanntmachung

Vollzug des BauGB;

15. Änderung des Bebauungsplans "Mittelter Kiesel" der Ortsgemeinde Merzalben im vereinfachten Verfahren gem. § 13 BauGB für den Bereich des Flurstücks Nr. 1000/24, Gemarkung Merzalben

Der Gemeinderat Merzalben hat in seiner Sitzung am 02. Juni 2025 gem. § 2 Abs. 1 BauGB beschlossen, den Bebauungsplan „Mittelster Kiesel“ der Ortsgemeinde Merzalben für den Bereich des Flurstücks Nr. 1000/24 im vereinfachten Verfahren gem. § 13 BauGB zu ändern.

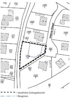
Gegenstand der Änderung ist die Erweiterung des festgesetzten Baufensters um 1,30 m nach Südosten zum öffentlichen Fußweg Flurstück Nr. 992/13 und um 2,30 m nach Westen zum öffentlichen Weg Flurstück Nr. 992/4.

Die sonstigen zeichnerischen und textlichen Festsetzungen des Bebauungsplans „Mittelster Kiesel“ der Ortsgemeinde Merzalben sowie deren Änderungspläne hierzu bleiben von dieser Änderung unberührt.

Der genaue Geltungsbereich ist aus dem nachfolgenden Plan ersichtlich:

Die öffentliche Auslegung gem. § 13 Abs. 2 Ziffer 2 i. V. m. § 3 Abs. 2 BauGB findet in der Zeit

vom 23. Juni 2025 bis einschließlich 23. Juli 2025

im Gebäude der Verbandsgemeindeverwaltung Rodalben, Am Rathaus 9, 66976 Rodalben, Zimmer 111, während der allgemeinen Dienstzeiten (montags bis freitags von 08.30 - 12.00 Uhr, dienstags und donnerstags von 14.00 – 16.00 Uhr, außerdem donnerstags von 12.00 bis 14 Uhr und von 16.00 bis 18.00 Uhr nach vorheriger Terminvereinbarung unter der Tel. 06331/234-158) zur Einsichtnahme öffentlich aus.

Während dieser Auslegungsfrist besteht die Möglichkeit, die vollständigen Planunterlagen einzusehen und Stellungnahmen zu der Planung schriftlich oder zur Niederschrift abzugeben.

Diese können schriftlich, auch elektronisch, durch Fax (06331/234-105), in sonstiger Weise, oder mündlich zur Niederschrift während der Dienststunden bei der oben angegebenen Dienststelle abgegeben bzw. per E-Mail (info@rodalben.de) eingereicht werden.

Auf die Möglichkeit der Einsichtnahme in die Unterlagen auf elektronischem Wege wird ausdrücklich hingewiesen.

Der Inhalt dieser Bekanntmachung und die ausliegenden Unterlagen sind gem. § 4a Abs. 4 Satz 1 BauGB auch online verfügbar und können im Zeitraum der Offenlage auf der Internetseite der Verbandsgemeinde Rodalben www.rodalben.de unter der Rubrik: Aktuelles/Baurechtliches eingesehen werden.

Parallel zur öffentlichen Auslegung werden gem. § 4a Abs. 2 i. V. m. § 4 Abs. 2 BauGB die Stellungnahmen der Fachbehörden und sonstigen Träger öffentlicher Belange eingeholt.

Da es sich um das vereinfachte Verfahren nach § 13 BauGB handelt, wird von einer Umweltprüfung nach § 2 Abs. 4 BauGB sowie dem Umweltbericht nach § 2a BauGB abgesehen.

Gemäß § 3 Abs. 2 Satz 2 i. V. m. § 4a Abs. 6 BauGB wird darauf hingewiesen, dass nicht fristgerecht abgegebene Stellungnahmen bei der Beschlussfassung über die Bauleitpläne unberücksichtigt bleiben können, sofern die Gemeinde deren Inhalt nicht kannte und nicht hätte kennen müssen und deren Inhalt für die Rechtmäßigkeit des Bebauungsplans nicht von Bedeutung ist.

Im Zusammenhang mit dem Datenschutz weisen wir ausdrücklich darauf hin, dass ein Bauleitverfahren ein öffentliches Verfahren ist und daher in der Regel alle dazu eingehenden Stellungnahmen in öffentlichen Sitzungen beraten und entschieden werden, sofern sich nicht aus der Art der Einwände oder der betroffenen Person ausdrückliche oder offensichtliche Einschränkungen ergeben. Mit der Abgabe einer entsprechenden Stellungnahme wird einer Veröffentlichung im Sinne von Artikel 6 Abs. 1a DSGVO zugestimmt. Soll eine Stellungnahme nur anonym behandelt werden, ist dies auf derselben eindeutig zu vermerken.

Verbandsgemeindeverwaltung Rodalben
Wolfgang Denzer, Bürgermeiste