Titel Logo
Blick ins Gräfensteiner Land VG Rodalben
Ausgabe 50/2023
Amtliche Bekanntmachungen und Mitteilungen
Zurück zur vorigen Seite
Zurück zur ersten Seite der aktuellen Ausgabe

Bekanntmachung

Vollzug des BauGB;

8. Änderung des Bebauungsplanes „Scheibelt, I. Gewanne“ der Ortsgemeinde Donsieders für den Bereich des Flurstücks Nr 3660/10 im vereinfachten Verfahren gem. § 13 BauGB

- Bekanntmachung gem. § 10 Abs. 3 Satz 1 BauGB

Der Gemeinderat Donsieders hat in seiner Sitzung am 09. Oktober 2023 den Änderungsplan zu dem Bebauungsplan „Scheibelt, I. Gewanne“ der Ortsgemeinde Donsieders für den Bereich des Flurstücks Nr. 3660/10 im vereinfachten Verfahren gem. §§ 13, 10 Abs. 1 und 9 Abs. 4 BauGB i. V. m. § 24 GemO und § 88 LBauO als Satzung beschlossen.

Gegenstand der Änderung ist die Verschiebung der östlichen Baugrenze auf einer Länge von 6,50 m um 3 m nach Osten.

Die sonstigen zeichnerischen und textlichen Festsetzungen des Bebauungsplans „Scheibelt, I. Gewanne“ der Ortsgemeinde Donsieders sowie die Änderungspläne hierzu bleiben von dieser Änderung unberührt.

Da es sich hier um das vereinfachte Verfahren nach § 13 BauGB handelt, wurde von einer Umweltprüfung nach § 2 Abs. 4, von dem Umweltbericht nach § 2a, von der Angabe nach § 3 Abs. 2 Satz 2, welche Arten umweltbezogener Informationen verfügbar sind sowie von der zusammenfassenden Erklärung nach § 6 Abs. 5 Satz 3 und § 10 Abs. 4 BauGB abgesehen. § 4c BauGB ist nicht anzuwenden.

Mit dieser Bekanntmachung tritt die vereinfachte Bebauungsplanänderung in Kraft (§ 10 Abs. 3 Satz 4 BauGB) und das Erfordernis einer formgültigen Verkündung der örtlichen Bauvorschriften ist erfüllt (§ 88 Abs. 6 LBauO).

Der Bebauungsplan und die Begründung können im Gebäude der Verbandsgemeindeverwaltung Rodalben, Am Rathaus 9, Zimmer 111, während der Dienststunden eingesehen werden. Jede Person kann auch über den Inhalt der Änderung Auskunft verlangen (§ 10 Abs. 3 Sätze 2 und 3 BauGB).

Gem. § 44 Abs. 5 BauGB wird auf die Vorschriften des § 44 Abs. 3 Satz 1 und 2 sowie Abs. 4 BauGB über die Entschädigung durch den Bebauungsplan eintretender Vermögensnachteile sowie über die Fälligkeit und das Erlöschen entsprechender Entschädigungsansprüche hingewiesen.

Gem. § 215 Abs. 2 BauGB wird darauf aufmerksam gemacht, dass eine nach § 214 Abs. 1 Satz 1 Nr. 1 bis 3 BauGB beachtliche Verletzung der dort bezeichneten Verfahrens- und Formvorschriften, eine unter Berücksichtigung des § 214 Abs. 2 BauGB beachtliche Verletzung der Vorschriften über das Verhältnis des Bebauungsplanes und des Flächennutzungsplanes und nach § 214 Abs. 3 Satz 2 BauGB beachtliche Mängel des Abwägungsvorgangs unbeachtlich werden, wenn sie nicht innerhalb eines Jahres seit der Bekanntmachung des Flächennutzungsplanes oder der Satzung schriftlich gegenüber der Ortsgemeinde Clausen unter Darlegung des die Verletzung begründenden Sachverhalts geltend gemacht worden sind.

Gemäß § 24 Abs. 6 GemO wird darauf hingewiesen, dass Satzungen, die unter Verletzung von Verfahrens- oder Formvorschriften der GemO oder auf Grund der GemO zustande gekommen sind, ein Jahr nach der Bekanntmachung als von Anfang an gültig zustande gekommen gelten. Dies gilt jedoch nicht, wenn

  1. die Bestimmungen über die Öffentlichkeit der Sitzung, die Genehmigung, die Ausfertigung oder die Bekanntmachung der Satzung verletzt worden sind, oder
  2. vor Ablauf eines Jahres nach der Bekanntmachung die Aufsichtsbehörde den Beschluss beanstandet oder jemand die Verletzung der Verfahrens- oder Formvorschriften gegenüber der Ortsgemeinde Donsieders unter Bezeichnung des Sachverhalts, der die Verletzung begründen soll, schriftlich geltend gemacht hat.

Hat jemand eine Verletzung nach Nr. 2 geltend gemacht, so kann auch nach Ablauf eines Jahres nach der Bekanntmachung jede Person diese Verletzung geltend machen.

Der Sachverhalt, der die Verletzung von Verfahrens- und Formvorschriften oder den Mangel der Abwägung begründen soll, ist darzulegen. Die Fristen beginnen nach dieser Bekanntmachung. Eingaben sind zu richten an die Verbandsgemeindeverwaltung Rodalben, Am Rathaus 9, 66976 Rodalben.

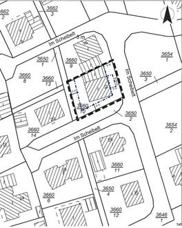
Der Geltungsbereich der vorliegenden Bebauungsplanänderung umfasst das Flurstück Nr. 3660/10 im Geltungsbereich des Bebauungsplans „Scheibelt, I. Gewanne“.

Der räumliche Geltungsbereich des Änderungsplanes ist in der nachfolgenden Planskizze dargestellt.

Ortsgemeinde Donsieders
Verbandsgemeinde Rodalben

In Vertretung
Peter Spitzer
Timo Bäuerle
Ortsbürgermeister
1. Beigeordneter