Der Stadtrat der Stadt Schkölen hat in seiner Sitzung am 07.05.2024 die Einleitung des Verfahrens zur 1. Änderung des Bebauungsplanes Wohngebiet „Naumburger Straße“ beschlossen.
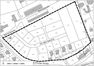
Der zu ändernde Planbereich entspricht dem Geltungsbereich des bestehenden Bebauungsplanes, umfasst eine Fläche von ca. 2,4 ha und ist im nachstehenden Lageplan dargestellt.
Aus der Beteiligung der Behörden und der Öffentlichkeit haben sich für die Planung Änderungen ergeben, die eine Überarbeitung des Bebauungsplanentwurfs erforderlich machten und eine erneute öffentliche Auslegung gemäß § 3 Abs. 2 BauGB i. V. m. § 4a Abs. 3 BauGB begründen. Gegenüber den Unterlagen zum Entwurfsbeschluss haben sich nachstehende Änderungen und Ergänzungen ergeben:
| - | Änderung der Festsetzung zu Aufschüttungen und Abgrabungen |
| - | Änderung der Festsetzung zu Stützmauern und Einfriedungen |
In der öffentlichen Sitzung des Stadtrates am 24.04.2025 hat der Stadtrat den 2. Entwurf der 1. Änderung des Bebauungsplanes Wohngebiet „Naumburger Straße“ in der Fassung vom April 2025 gebilligt und gemäß § 4a Abs. 3 Satz 3 BauGB die verkürzte Auslegung beschlossen.
Der 2. Entwurf, bestehend aus der Planzeichnung, den Textlichen Festsetzungen, der Begründung und dem Umweltbericht wird gemäß § 4a Abs. 3 BauGB in der Zeit
vom 19. Mai 2025 bis einschließlich 06. Juni 2025
im Internet unter der Internetadresse: www.vg-hes.de für jedermann öffentlich zur Einsichtnahme bereitgestellt
und liegt zusätzlich
im Bauamt der Verwaltungsgemeinschaft
Heideland-Elstertal-Schkölen,
Naumburger Str. 4, 07619 Schkölen
während folgender Zeiten öffentlich aus:
| Montag | 8.00 Uhr bis 12.00 Uhr und 13.00 Uhr bis 16.00 Uhr |
| Dienstag | 8.00 Uhr bis 12.00 Uhr und 13.00 Uhr bis 16.00 Uhr |
| Mittwoch | 8.00 Uhr bis 12.00 Uhr und 13.00 Uhr bis 16.00 Uhr |
| Donnerstag | 8.00 Uhr bis 12.00 Uhr und 13.00 Uhr bis 17.30 Uhr |
| Freitag | 8.00 Uhr bis 11.30 Uhr. |
Während der Auslegungsfrist können von jedermann Bedenken, Anregungen und Hinweise - jedoch nur zu den geänderten und ergänzten Teilen - schriftlich oder mündlich zur Niederschrift bei der Verwaltungsgemeinschaft Heideland-Elstertal-Schkölen, Außenstelle Schkölen, Bauamt, Naumburger Str. 4, 07619 Schkölen oder an die E-Mail-Adresse: Hauschild@vg-hes.de vorgebracht werden.
Da das Ergebnis der Behandlung der Stellungnahmen mitgeteilt wird, ist die Angabe der Anschrift des Verfassers erforderlich. Mit der Abgabe der Stellungnahme wird in die Erhebung, Verarbeitung und Nutzung personenbezogener Daten zum Zwecke der Durchführung des Bebauungsplanverfahrens eingewilligt. Über die eingegangenen Stellungnahmen wird in öffentlicher Sitzung des Stadtrates beraten und entschieden.
Diese Bekanntmachung wird auch auf der Internetseite der Verwaltungsgemeinschaft unter www.vg-hes.de veröffentlicht.
Es wird gemäß § 3 Abs. 2 Satz 2 BauGB darauf hingewiesen, dass im Rahmen der Auslegung auch Einsicht in den nach Einschätzung der Stadt wesentlichen, bereits vorliegenden umweltbezogenen Informationen genommen werden kann. Umweltbezogene Informationen liegen zu folgenden Sachverhalten vor:
| Themenblöcke nach Schutzgütern | Kurzinhalt der Umweltinformation | Art, Herkunft der Umweltinformation |
| Mensch, Tiere, Pflanzen, Boden, Wasser, Luft, Klima, Landschaft, Wechselwirkungen | Dokumentation der Umweltprüfung, Eingriffs- / Ausgleichsbilanzierung, Umweltbericht | Stellungnahmen von Behörden, Umweltbericht |
| Boden, Wasser | Hydrogeologie, Baugrund | Stellungnahmen von Behörden |
| Boden | Geologie, Schutz der natürlichen Bodenfunktion, fachgerechter Umgang mit Boden, Bodenveränderungen, Auftreten von Bodenfunden, Altlasten und Bodenverunreinigungen | Stellungnahmen von Behörden |
| Mensch | Schallimmissionen | Stellungnahmen von Behörden |
| Pflanzen | Anforderungen Pflanzqualität | Stellungnahmen von Behörden |
Die berührten Behörden und Träger öffentlicher Belange werden gemäß § 4a Abs. 3 BauGB zu den geänderten und ergänzten Teilen beteiligt und über die öffentliche Auslegung des Planentwurfes benachrichtigt. Nicht fristgerecht abgegebene Stellungnahmen können bei der Beschlussfassung unberücksichtigt bleiben. Anträge nach § 47 der Verwaltungsgerichtsordnung sind unzulässig, soweit mit ihnen Einwendungen geltend gemacht werden, die vom Antragsteller im Rahmen der Auslegung nicht oder verspätet geltend gemacht wurden, aber hätten geltend gemacht werden können.
Schkölen, den 07.05.2025
Dr. Ehlers-Tomancová
Bürgermeisterin
Stadt Schkölen