Titel Logo
Feldabote - Amtsblatt der Gemeinden Dermbach Oechsen Weilar und Wiesenthal
Ausgabe 2/2025
Amtlicher Teil
Zurück zur vorigen Seite
Zurück zur ersten Seite der aktuellen Ausgabe

Bekanntmachung Widmung Riedweg

Gemeinde Wiesenthal  — AZ 650.4041-24.1

Burgweg 2

36466 Wiesenthal

Bekanntmachung

Allgemeinverfügung

Widmung einer Straße nach § 6 Thüringer Straßengesetz

Mit Beschluss-Nr.:  —  der Sitzung des Gemeinderates am:

beschloss der Gemeinderat der Gemeinde Wiesenthal die Widmung einer neu vermessenen Verkehrsanlage im Mischgebiet „Riedweg" in der Gemeinde Wiesenthal.

Gemäß des § 6 des Thüringer Straßengesetzes (ThürStrG) vom 7. Mai 1993 (GVBI. 1993, S. 273) in der derzeit geltenden Fassung, wird die nachstehende Verkehrsfläche im Mischgebiet „Riedweg" in der Ortslage Wiesenthal dem öffentlichen Verkehr gewidmet:

I.

Klassifizierung:

Die oben bezeichnete Verkehrsfläche wird entsprechend ihrer Verkehrsbedeutung der Straßengruppe - Gemeindestraße - gemäß § 3 Absatz 1 Nr. 3 Thüringer Straßengesetz zugeordnet.

II.

Funktion:

Die Verkehrsfläche dient als Anliegerstraße

III.

Träger der Straßenbaulast

Gemeinde Wiesenthal

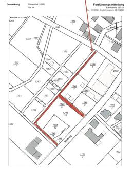
Die Widmungsverfügung umfasst das Grundstück in der Gemarkung Wiesenthal, Flur 14, Flurstücks-Nummer 1248/6. Der beigefügte Lageplan, aus dem die genaue Lage der genannten Grundstückfläche hervorgeht, ist Bestandteil dieser Widmungsverfügung (siehe Anlage).

Die Begründung für diese Allgemeinverfügung kann während den Dienstzeiten in der Gemeindeverwaltung Dermbach, Hinter dem Schloß 1, 36466 Dermbach (erfüllende Gemeinde), eingesehen werden.

Die Widmung tritt am Tage nach ihrer öffentlichen Bekanntmachung in Kraft.

Rechtsbehelfsbelehrung

Gegen diese Verfügung kann innerhalb eines Monats nach ihrer öffentlichen Bekanntmachung Widerspruch erhoben werden. Der Widerspruch kann schriftlich oder zur Niederschrift bei der Gemeindeverwaltung Dermbach (erfüllende Gemeinde), Hinter dem Schloß 1, 36466 Dermbach, eingelegt werden.

Anlage

-

Flurkarte Widmung Verkehrsfläche im Mischgebiet „Riedweg"

Gemarkung Wiesenthal, Flurstück - FlstNr. 1248/6, Flur 14