Titel Logo
Heimatbrief VG Rülzheim
Ausgabe 13/2024
Ortsgemeinde Rülzheim
Zurück zur vorigen Seite
Zurück zur ersten Seite der aktuellen Ausgabe

Bauleitplanung der Ortsgemeinde Rülzheim

Bebauungsplan „Südhang, 1. Bauabschnitt“

Öffentlichkeitsbeteiligung gemäß § 3 Abs. 2 Baugesetzbuch (BauGB)

Der Gemeinderat der Ortsgemeinde Rülzheim hat in seiner Sitzung am 21.03.2024 dem Entwurf des Bebauungsplans „Südhang, 1. Bauabschnitt“, bestehend aus der Planzeichnung mit den planungsrechtlichen und bauordnungsrechtlichen Festsetzungen, und der Begründung mit Umweltbericht, zugestimmt und die Verwaltung beauftragt, den Bebauungsplanentwurf gemäß § 3 Abs. 2 BauGB öffentlich auszulegen.

Der vorgesehene Geltungsbereich des Bebauungsplans „Südhang, 1. Bauabschnitt gliedert sich in 3 Teilbereiche.

Der Teilbereich 1 des Bebauungsplans wird begrenzt:

- im Norden

durch die südliche Grenze des Wirtschaftsweges Flurstück 3473, durch eine Linie von der südöstlichen Ecke des Flurstücks 3473 zur nordwestlichen Ecke des Flurstücks 2636.

- im Osten

durch die westlichen Grenzen der Flurstücke 2636, 2631, 2584, 2561 und 2582.

- im Süden

durch die nördliche Grenze der Flurstücke 2529 und 254/39, durch eine Linie entlang der Außenkante der notwendigen Böschungsflächen des den Kreisverkehrsplatz und die L 493 begleitenden Radwegs über die Flurstücke 3800, 3801/1, 3802/4, 3803/4, 3803/3, 3804/1 und 3805 von der nördlichen Grenze des Flurstücks 2524/39 bis zur östlichen Grenze des Flurstücks 3806/1, durch eine Linie von der nordöstlichen Ecke des Flurstücks 3806/1 nach Norden über die L 493 bis zum Auftreffen auf der südlichen Grenze des Flurstücks 3499 (Straßenflurstück L 493) sowie durch die nördliche Grenze des Flurstücks 3499.

- im Westen

durch die östliche Grenze des Flurstücks 3511, durch eine Linie in Verlängerung der östlichen Grenze des Flurstücks 3511 über den Wirtschaftsweg Flurstück 3501 nach Süden bis zum Auftreffen auf der nördlichen Grenze des Flurstücks 3499; durch eine Linie in Verlängerung der östlichen Grenze des Flurstücks 3511 über den Wirtschaftsweg Flurstück 3503 nach Norden bis zum Auftreffen auf der südlichen Grenze des Flurstücks 3483 sowie durch die südliche und östliche Grenze des Flurstücks 3483

Der Teilbereich 1 des Bebauungsplanes umfasst die Flurstücke 3484, 3485, 3486, 3487,488, 3489, 3490, 3491, 3492, 3493, 3494, 3495, 3496, 3497, 3500, 3502, 3504, 3505, 3506, 3507, 3508, 3509, 3510 und 3800 vollständig sowie die Flurstücke 3499 (Straßenflurstück L 493), 3501, 3503, 3801/1 3802/4, 3803/3, 3803/4, 3804/1, 3804/2 und 3805 teilweise.

Der Teilbereich 2 des Bebauungsplans wird begrenzt:

- im Norden

durch die südliche Grenze des Flurstücks 3503,

- im Osten

durch die westliche Grenze des Flurstücks 3528,

- im Süden

durch die nördliche Grenze des Flurstücks 3530

- im Westen

durch die östliche Grenze des Flurstücks 3532.

Der Teilbereich 2 des Bebauungsplans umfasst das Flurstück 3529 vollständig.

Der Teilbereich 3 des Bebauungsplans wird begrenzt:

- im Norden:

durch die südliche Grenze des Flurstücks 733 der Gemarkung Herxheimweyher und das Flurstück 3878/1 der Gemarkung Rülzheim (beides Gewässerflurstück des Klingsbachs / Panzergrabens)

- im Osten:

durch die westliche Grenze des Flurstücks 3924,

- im Süden:

durch die nördliche Grenze des Flurstücks 3935/1,

- im Westen:

durch die östliche Grenze des Flurstücks 3927.

Der Teilbereich 3 des Bebauungsplans umfasst die Flurstücke 3925 und 6926 vollständig.

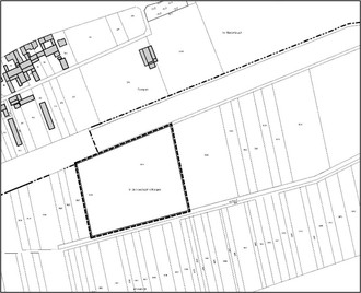
Die vorgesehenen Geltungsbereiche sind ist zudem in den nachfolgenden Lageplänen abgebildet:

Vorgesehener Geltungsbereich 1 des Bebauungsplans „Südhang, 1. Bauabschnitt“

Vorgesehener Geltungsbereich 2 des Bebauungsplans „Südhang, 1. Bauabschnitt“

Vorgesehener Geltungsbereich 3 des Bebauungsplans „Südhang, 1. Bauabschnitt“

Zur Durchführung der Öffentlichkeitsbeteiligung gemäß § 3 Abs. 2 BauGB werden der Entwurf des Bebauungsplans „Südhang, 1. Bauabschnitt“, bestehend aus der Planzeichnung mit seinen planungsrechtlichen und bauordnungsrechtlichen Festsetzungen, die beigefügte Begründung mit Umweltbericht, die nach Einschätzung der Gemeinde wesentlichen, bereits vorliegenden umweltbezogenen Stellungnahmen sowie der Inhalt dieser Bekanntmachung, in der Zeit

05.04.2024 bis 06.05.2024 (Veröffentlichungsfrist)

auf der Homepage der Verbandsgemeinde Rülzheim unter der Adresse www.bauleitplanung.vg-ruelzheim.de im PDF-Format veröffentlicht und zur Einsicht bereitgehalten.

Als nach Einschätzung der Gemeinde wesentliche umweltbezogenen Stellungnahmen liegen vor:

Eine Stellungnahme aus der frühzeitigen Öffentlichkeitsbeteiligung vom 14.01.2022 zu den Themen Inanspruchnahme von Ackerland, Biotop-, Tier- und Artenschutz, Verkehrserzeugung und -emissionen sowie allgemeine Folgen für Naturhaushalt und Klimaerwärmung (Stellungnahme 1).

Eine Stellungnahme aus der frühzeitigen Öffentlichkeitsbeteiligung vom 14.01.2022 zu den Themen Verkehrserzeugung, Verkehrsschall, Verkehrssicherheit in der bestehenden Ortslage, Inhalte und Datengrundlage des Schallgutachtens, Außenbeleuchtung und Lichtverschmutzung sowie zur Zulässigkeit von Kunstrasen bei der Gartengestaltung (Stellungnahme 2).

Eine Stellungnahme aus der frühzeitigen Öffentlichkeitsbeteiligung vom 14.01.2022 zu den Themen Klimaerwärmung und Auswirkungen der Planung auf das Siedlungsklima und Entnahme von Bäumen im Bereich des Hohlwegs (Stellungnahme 3).

Eine Stellungnahme aus der frühzeitigen Öffentlichkeitsbeteiligung vom 14.01.2022 zu den Themen Verkehrserzeugung und Verkehrsschall, Eingriff in ein gemäß § 30 Bundesnaturschutzgesetz (BNatSchG) geschütztes Biotop, Lage und Abgrenzung der externen Ausgleichsflächen, Umgang mit dem Niederschlagswasser, Auswirkungen auf den Vorfluter und Gefahr von Hochwasser und Überflutung (Stellungnahme 5).

Eine Stellungnahme aus der frühzeitigen Öffentlichkeitsbeteiligung vom 12.01.2022 zu den Themen Entwässerung, Auswirkungen auf den Vorfluter, Hochwasser- und Überflutungsgefahr und zu den Inhalten des Bodengutachtens zur Planung (Stellungnahme 6).

Eine Stellungnahme aus der frühzeitigen Öffentlichkeitsbeteiligung vom 12.01.2022 zu den Themen Verkehrserzeugung und Verkehrsschall (Stellungnahme 7).

Eine Stellungnahme der Ordnungs- und Sozialbehörde der Verbandsgemeinde Rülzheim vom 14.01.2022 zu den Belangen des Verkehrsschalls.

Eine Stellungnahme der Kreisverwaltung Germersheim vom 14.01.2022 zu den Bau- und Bodendenkmälern innerhalb und im Umfeld des Plangebiets, zum Ausgleich der Eingriffe in Natur und Landschaft, zu Belange des Artenschutzes und der Notwendigkeit einer ökologischen Baubegleitung, zur für Kleintiere durchlässigen Gestaltung von Einfriedungen und zur Niederschlagswasserbewirtschaftung.

Eine Stellungnahme der Direktion Kulturelles Erbe – Direktion Landesdenkmalpflege vom 12.01.2022 zum im Plangebiet vorhandenen, als Teil des Flächendenkmal „Westwall“ geschützten Bunkers sowie zu einem als Baudenkmal geschützten Wegkreuz.

Stellungnahmen der Direktion Kulturelles Erbe – Direktion Landesarchäologie vom 10.02.2023 und 10.02.2023 zum Thema bronzezeitliche Bodenfunde.

Eine Stellungnahme der SGD Süd, Regionalstelle Wasserwirtschaft, Abfallwirtschaft, Bodenschutz vom 21.12.2021 zu den Themen wasserrechtliche Schutzgebiete, Niederschlagswasserbewirtschaftung, Starkregen, bodenschutz-relevante Flächen wie Altstandorte und Altablagerungen, Herstellung der durchwurzelbaren Bodenschicht sowie zur Genehmigungspflicht von Eingriffen in den Untergrund mit Grundwasserfreilegung.

Eine Stellungname des Landesbetrieb Mobilität vom 07.05.2019 zum Schutz vor Verkehrsemissionen sowie zur Lage der Ausgleichsflächen.

Eine Stellungnahme des Rheinland-Pfalz Kompetenzzentrum für Klimawandelfolgen bei der Forschungsanstalt für Waldökologie und Forstwirtschaft vom 11.01.2022 zur klimawandelangepassten Bauweise.

Eine Stellungnahme der Deutschen Bahn vom 06.01.2022 zu den Themen Emissionen durch die südlich des Plangebiets verlaufende Bahnlinie sowie zur Gestaltung der Niederschlagswasserbewirtschaftung.

Eine Stellungnahme des Dienstleistungszentrum ländlicher Raum Rheinpfalz vom 25.11.202 zur Ausweisung eines Neubaugebiets auf landwirtschaftlicher Fläche sowie zur Anpassung des Wirtschaftswegenetzes.

Eine Stellungnahme der Landwirtschaftskammer vom 11.01.2022 zu den Schalleinwirkungen eines Feldbrunnens westlich des Plangebiets, zur Zuordnung und multifunktionalen Nutzung der externen Ausgleichsflächen und den artenschutzrechtlichen Ersatzmaßnahmen.

Eine Stellungnahme der Stiftung Ökologie und Demokratie e.V. Bonn vom 13.01.2022 zu den Themen Anpassung an den Klimawandel, Maßnahmen zum Klimaschutz durch Verzicht auf fossile Energieträger und Empfehlungen für Bauherren in Bezug auf eine klimaangepasste Bauweise.

Eine Stellungnahme des NABU Regionalstelle Süd und der Pollichia vom 13.01.2022 zu den Themen Inanspruchnahme von Ackerfläche und anderen bisher unbebauten Biotoptypen im Außenbereich, Belange des Artenschutzes, Grünflächenanteil der Planung, der bereits durchgeführte Rodungsmaßnahme im Bereich des Hohlweges und der Erhaltung und Entwicklung der bestehenden Biotoptypen Böschungshecke, Magerwiese und Lößacker im Plangebiet bzw. im 2. Bauabschnitt.

Eine Stellungnahme des BUND vom 10.03.2022 zu den Themen Flächenverbrauch, Klimawandel, Bodenschutz, Starkregenereignisse, Artensterben und Artenschutz, Rodung von Robinien im Bereich des Hohlweges und zur Zuordnung von externen Ausgleichsflächen.

Eine artenschutzfachliche Prüfung zur Planung: „Artenschutzrechtliche Prüfung zum B-Planverfahren „Südhang“ der Verbandsgemeinde Rülzheim“ mit Aussagen zu Vorkommen geschützter Tier- und Pflanzenarten vom 04.08.2021

Ein Bodengutachten zur Gesamtplanung „Südhang“: „Geotechnischer Bericht; Projekt Nr. B 15045; Projekt: NGB „Südhang“ in der OG Rülzheim“ zu den Bodenverhältnissen. vom 30.06. 2015.

Eine Untersuchung der Boden- und Versickerungseigenschaften im Plangebiet: „Geotechnischer Bericht Ortsgemeinde Rülzheim – Wasserwirtschaftliches Konzept B-Plan „Südhang 1BA“ vom 23.06.2022.“.

Ein Schallgutachten zur Planung: „Schalltechnische Immissionsprognose zum Bebauungsplan „Südhang“ der Ortsgemeinde Rülzheim, Städtebauliches Konzept Variante 3“ zu den Verkehrslärmeinwirkungen auf das Bebauungsplangebiet vom 05.03.2024.

Eine Radonuntersuchung zum Plangebiet: Umwelttechnischer Kurzbericht (Radonmessung); Projekt: NGB „Südhang“ in der OG Rülzheim vom 30.06. 2015.

Eine Untersuchung des im Plangebiet vorhandenen Westwallbunkers: „Denkmalfachliche Beurteilung Bunkeranlage LVZ Pz 4715/ Rülzheim vom 03.02.2023

Alle Unterlagen werden zudem im oben genannten Zeitraum auch bei der Verbandsgemeindeverwaltung Rülzheim, Am Deutschordensplatz 1, 76761 Rülzheim, im Deutschordenshaus im Zimmer 2 öffentlich ausgelegt und sind während der Dienststunden Mo – Fr 8:30-12:00 Uhr, Di von 14:00-16:30 Uhr und Do von 14:00-18:00 Uhr einsehbar.

Es wird darauf hingewiesen,

-

dass Stellungnahmen während der Dauer der Veröffentlichungsfrist abgegeben werden können,

-

dass Stellungnahmen elektronisch an die Verbandsgemeindeverwaltung Rülzheim (E-Mail-Adresse: bauleitplanung@ruelzheim.de) übermittelt werden sollen, bei Bedarf aber auch auf anderem Weg bei der Verbandsgemeindeverwaltung Rülzheim, Am Deutschordensplatz 1, 76761 Rülzheim, abgegeben werden können (zum Beispiel schriftlich oder zur Niederschrift),

-

dass Stellungnahmen, die im Verfahren der Öffentlichkeitsbeteiligung nicht rechtzeitig abgegeben worden sind, gemäß § 4a Abs. 5 BauGB bei der Beschlussfassung über den Bauleitplan unberücksichtigt bleiben können, sofern die Ortsgemeinde Rülzheim deren Inhalt nicht kannte und nicht hätte kennen müssen und deren Inhalt für die Rechtmäßigkeit des Bauleitplanes nicht von Bedeutung ist.

Rülzheim, den 28.03.2024
gez. Reiner Hör
Ortsbürgermeister