Titel Logo
Heimatbrief VG Rülzheim
Ausgabe 23/2024
Ortsgemeinde Rülzheim
Zurück zur vorigen Seite
Zurück zur ersten Seite der aktuellen Ausgabe

Bauleitplanung der Ortsgemeinde Rülzheim

Öffentlichkeitsbeteiligung gemäß § 3 Abs. 2 Baugesetzbuch (BauGB)

Der Gemeinderat der Ortsgemeinde Rülzheim hat in seiner Sitzung am 16.05.2024 dem Entwurf des Bebauungsplans „Süd, 1. Änderung“ zur Änderung und Ergänzung der bauordnungsrechtlichen Festsetzungen des Bebauungsplans „Süd“ zugestimmt und die Verwaltung beauftragt, den Bebauungsplanentwurf gemäß § 3 Abs. 2 BauGB öffentlich auszulegen.

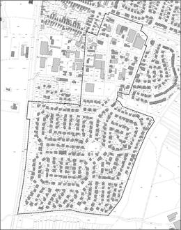
Der vorgesehen Geltungsbereich des Bebauungsplans „Süd, 1. Änderung“ umfasst den Geltungsbereich des Bebauungsplans „Süd“ mit Rechtskraft vom 02.03.1995 unter Ausschluss der Geltungsbereiche der Bebauungspläne „Süd E“ mit Rechtskraft vom 12.05.2016 und „Kastanienallee“ mit Rechtskraft vom 15.07.2010 und wird begrenzt:

  • im Norden: durch die südliche und östliche Grenze des Geltungsbereichs des Bebauungsplans „Kastanienallee“ mit Rechtskraft vom 15.07.2010, durch die westliche Grenze der Mozartstraße, durch die nördliche Grenze der Neufeldstraße, durch die östlichen Grenzen der Baugrundstücke östlich der Mozartstraße, durch die nördliche Grenze der Kuhardter Straße durch seine senkrechte Linie über die Kuhardter Straße und Max-Planck-Straße von der südöstlichen Ecke des Flurstücks 6136/61 auf die südliche Grenze der Max-Planck-Straße sowie durch die südliche Grenze der Max-Planck-Straße,
  • im Osten: durch einen Teil der westlichen und der östlichen Grenze der Gutenbergstraße, durch die westlichen Grenzen der Flurstücke 7416 und 7424, durch die nördliche, westliche und südliche Grenze des Geltungsbereichs des Bebauungsplans „Süd E“, durch die südlichen Grenzen der Flurstücke 7357/212 und 7357/21, durch die westlichen Grenzen der Flurstücke 6135/69, 6135/68 und 6135/66
  • im Süden: durch die nördliche Grenze des Flurstücks 604677 (Rottenbach)
  • im Westen: durch die östliche und Teile der westlichen Grenze der Neuen Landstraße

Der vorgesehene Geltungsbereich ist zudem im nachfolgenden Lageplan abgebildet:

Vorgesehener Geltungsbereich des Bebauungsplans „Süd, 1. Änderung“

Anlass und Zielsetzung des Bebauungsplans

Im Bebauungsplan „Süd“ der Ortsgemeinde Rülzheim aus dem Jahr 1995 ist eine bauordnungsrechtliche Regelung zu Einfriedungen enthalten. Zu öffentlichen Verkehrsflächen sind Einfriedungen bis maximal 0,80 m Höhe und zu sonstigen Grenzen bis maximal 1,80 m Höhe zulässig.

Im Baugebiet gibt es allerdings eine Vielzahl von Einfriedungen, die den bauordnungsrechtlichen Regelungen zu Einfriedungen nicht entsprechen. Die Regelungen des Bebauungsplans stehen in diesem Punkt damit erkennbar im Widerspruch zu den Bedürfnissen der Bauherren und Bewohner im Plangebiet. Um den Bedürfnissen der Anwohner nach einer stärkeren Abschirmung der Außenwohnbereiche beziehungsweise nach einer höheren Einfriedung der Betriebsgelände der ebenfalls im Plangebiet vorhandenen Gewerbebetriebe nachzukommen, hat der Gemeinderat nach Prüfung der städtebaulichen Erforderlichkeit der bisherigen Regelungen beschlossen, den Bebauungsplan für die Festsetzung der Einfriedungen anzupassen.

Verfahren

Durch die vorgesehenen Änderungen werden die Grundzüge der Planung nicht berührt. Der Bebauungsplan kann daher im vereinfachten Verfahren gemäß §13 BauGB geändert werden.

Die sonstigen Voraussetzungen des § 13 BauGB sind erfüllt, da

  • der Bebauungsplan die Zulässigkeit von Vorhaben, die einer Pflicht zur Durchführung einer Umweltverträglichkeitsprüfung unterliegen, weder begründet noch vorbereitet.
  • keine Anhaltspunkte für eine Beeinträchtigung der in § 1 Abs. 6 Nr. 7 Buchstabe b genannten Schutzgüter (FFH- und Vogelschutzgebiete) bestehen.
  • keine Anhaltspunkte dafür bestehen, dass bei der Planung Pflichten zur Vermeidung oder Begrenzung der Auswirkungen von schweren Unfällen nach § 50 Satz 1 des Bundes-Immissionsschutzgesetzes zu beachten sind.

Entsprechend den gesetzlichen Bestimmungen wird auf die Durchführung einer Umweltprüfung und auf die Erstellung eines Umweltberichts verzichtet. Weiterhin wird von der frühzeitigen Unterrichtung und Erörterung nach § 3 Abs. 1 BauGB und einer frühzeitigen Beteiligung der Behörden gemäß § 4 Abs. 1 BauGB abgesehen.

Öffentlichkeitsbeteiligung gemäß § 3 Abs. 2 BauGB

Zur Durchführung der Öffentlichkeitsbeteiligung gemäß § 3 Abs. 2 BauGB wird der Entwurf des Bebauungsplans „Süd, 1. Änderung “, mit der zugehörigen Begründung zum Bebauungsplan sowie dem Inhalt dieser Bekanntmachung, in der Zeit

17.06.2024 bis 19.07.2024 (Veröffentlichungsfrist)

auf der Homepage der Verbandsgemeinde Rülzheim unter der Adresse www.bauleitplanung.vg-ruelzheim.de im PDF-Format veröffentlicht und zur Einsicht bereitgehalten.

Alle Unterlagen werden zudem im oben genannten Zeitraum auch bei der Verbandsgemeindeverwaltung Rülzheim, Am Deutschordensplatz 1, 76761 Rülzheim, im Deutschordenshaus im Zimmer 2 öffentlich ausgelegt und sind während der Dienststunden Mo – Fr 8:30-12:00 Uhr, Di von 14:00-16:30 Uhr und Do von 14:00-18:00 Uhr einsehbar.

Es wird darauf hingewiesen,

-

dass Stellungnahmen während der Dauer der Veröffentlichungsfrist abgegeben werden können,

-

dass Stellungnahmen elektronisch an die Verbandsgemeindeverwaltung Rülzheim (E-Mail-Adresse: bauleitplanung@ruelzheim.de) übermittelt werden sollen, bei Bedarf aber auch auf anderem Weg bei der Verbandsgemeindeverwaltung Rülzheim, Am Deutschordensplatz 1, 76761 Rülzheim, abgegeben werden können (zum Beispiel schriftlich oder zur Niederschrift),

-

dass Stellungnahmen, die im Verfahren der Öffentlichkeitsbeteiligung nicht rechtzeitig abgegeben worden sind, gemäß § 4a Abs. 5 BauGB bei der Beschlussfassung über den Bauleitplan unberücksichtigt bleiben können, sofern die Ortsgemeinde Rülzheim deren Inhalt nicht kannte und nicht hätte kennen müssen und deren Inhalt für die Rechtmäßigkeit des Bauleitplanes nicht von Bedeutung ist.

Rülzheim, den 06.06.2024
gez. Reiner Hör
Ortsbürgermeister