Titel Logo
Heimatbrief VG Rülzheim
Ausgabe 3/2024
Ortsgemeinde Leimersheim
Zurück zur vorigen Seite
Zurück zur ersten Seite der aktuellen Ausgabe

Bauleitplanung der Ortsgemeinde Leimersheim, Bebauungsplan „Im Brühl, 1. Änderung“

Hier:

- Bekanntmachung Satzungsbeschluss und Inkrafttreten

Der Gemeinderat der Ortsgemeinde Leimersheim hat in seiner Sitzung am 14.12.2023 den Bebauungsplan „Im Brühl, 1. Änderung“ gemäß § 10 Abs. 1 BauGB als Satzung beschlossen. Der Satzungsbeschluss wird hiermit bekannt gemacht.

Mit dieser Bekanntmachung des Satzungsbeschlusses gemäß § 10 Abs. 3 Baugesetzbuch (BauGB) tritt der Bebauungsplan „Im Brühl, 1. Änderung“ in Kraft.

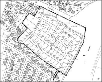
Der Geltungsbereich der Bebauungsplan-Änderung umfasst den kompletten Geltungsbereich des Bebauungsplans „Im Brühl“ und wird begrenzt:

im Norden:

durch die südlichen Grenzen der Flurstücke 4491/13 (Otterbach) sowie 5604/4 (Fischmal),

im Osten:

durch westliche Grenze des Flurstücks 5604/4 (Fischmal),

im Süden:

durch die nördlichen Grenzen der Flurstücke 4976, 4961, 4974, 4973, 4972, 4971, 4970, 4969, 4968, 4967, 4966, 4965, 4964 und 4963,

im Westen:

durch die östlichen Grenzen der Flurstücke 553, 576/3, 577/1, 323/10 sowie 324/15.

Der Geltungsbereich der Bebauungsplanänderung umfasst die Flurstücke 6109, 6110, 6111, 6112, 6113, 6114, 6115, 6116, 6117, 6118, 6119, 6120, 6121, 6122, 6123, 6124 (Schwester-Miguela-Straße), 6125, 6126, 6127, 6128, 6129, 6130, 6131, 6132, 6133, 6134, 6135, 6136, 6137, 6138, 6139, 6140 (Pfarrer-Steeg-Straße), 6141, 6142, 6143, 6144, 6145, 6146, 6147, 6148, 6149, 6150, 6151, 6152, 6153, 6154, 6155, 6156, 6157, 6158, 6159, 6160, 6161, 6162 (Walter-Kling-Straße), 6163, 6164, 6165, 6166, 6167, 6168, 6169, 6170, 6171, 6172, 6173, 6174, 6175, 6176, 6177, 6178, 6179, 6180, 6181, 6182, 6183, 6184, 6185, 6186, 6187, 6188, 6189, 6190, 6191, 6192, 6193 sowie 4975 vollständig und die Flurstücke 546 und 561/1 teilweise.

Der Geltungsbereich ist zudem im nachfolgenden Lageplan abgebildet:

Geltungsbereich des Bebauungsplans „Im Brühl, 1. Änderung“

Gemäß § 10 Abs. 3 BauGB wird der Bebauungsplan mit der Begründung ab sofort bei der Verbandsgemeindeverwaltung Rülzheim, Am Deutschordensplatz 1, Deutschordenshaus, während der der Dienststunden Mo – Fr 8:00-12:15 Uhr, Di von 14:00-16:30 Uhr und Do von 14:00-18:00 Uhr oder nach telefonischer Vereinbarung zu jedermanns Einsicht bereitgehalten. Über den Inhalt wird auf Verlangen Auskunft gegeben.

Der Bebauungsplan mit seiner Begründung ist zudem auf der Homepage der Verbandsgemeinde Rülzheim unter der Adresse www.Informationen-Bauen.vg-ruelzheim.de veröffentlicht.

Auf die Vorschriften des § 44 Abs. 3 Satz 1 und 2 BauGB über die Fälligkeit etwaiger Entschädigungsansprüche im Falle der in den §§ 39 - 42 BauGB bezeichneten Vermögensnachteile, deren Leistung schriftlich beim Entschädigungspflichtigen zu beantragen ist und des § 44 Abs. 4 BauGB über das Erlöschen von Entschädigungsansprüchen, wenn der Antrag nicht innerhalb der Frist von drei Jahren gestellt ist, wird hingewiesen.

Eine Verletzung der in § 214 Abs. 1 Satz 1 Nr. 1 – 3, Abs. 2 und Abs. 2a BauGB bezeichneten Verfahrens- und Formvorschriften sowie Mängel in der Abwägung nach § 214 Abs. 3 Satz 2 BauGB sind gemäß § 215 Abs. 1 Nr. 1 - 3 BauGB unbeachtlich, wenn sie nicht innerhalb eines Jahres seit dieser Bekanntmachung schriftlich gegenüber der Gemeinde geltend gemacht worden sind. Bei der Geltendmachung ist der Sachverhalt, der die Verletzung oder den Mangel begründen soll, darzulegen.

Sinngemäß wird auf § 24 Abs. 6 Satz 4 Gemeindeordnung verwiesen, wonach Satzungen, die unter Verletzung von Verfahrens- und Formvorschriften zustande gekommen sind, ein Jahr nach der öffentlichen Bekanntmachung als von Anfang an gültig zustande gekommen gelten, wenn die Rechtsverletzung nicht innerhalb eines Jahres nach der öffentlichen Bekanntmachung der Satzung unter Bezeichnung des Sachverhalts, der die Verletzung begründen soll, schriftlich geltend gemacht worden ist.

Leimersheim, den 18.01.2024
gez. Matthias Schardt
Ortsbürgermeister