Titel Logo
Heimatbrief VG Rülzheim
Ausgabe 51/2022
Ortsgemeinde Rülzheim
Zurück zur vorigen Seite
Zurück zur ersten Seite der aktuellen Ausgabe

Bauleitplanung der Ortsgemeinde Rülzheim

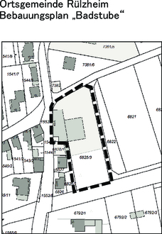
Aufstellung des Bebauungsplanes „Badstube“ gemäß § 2 Abs. 1 i. V. m. § 13 a BauGB i.V.m. § 13 b BauGB

Der Gemeinderat der Ortsgemeinde Rülzheim hat in seiner Sitzung am 15.12.2022 die Aufstellung des Bebauungsplanes „Badstube“ als Bebauungsplan gemäß § 13a i.V.m. § 13 b BauGB im beschleunigten Verfahren beschlossen. Dieser Aufstellungsbeschluss wird gemäß § 2 Abs. 1 BauGB hiermit bekannt gemacht. Ziel der Planung ist die Entwicklung einer Fläche für ein „Allgemeines Wohngebiet“ gem. BauNVO. Die Erschließung erfolgt über die Bachgasse. Der Geltungsbereich des Bebauungsplans umfasst eine Fläche von 2.938 m² und betrifft das Flurstück 6825/3. Der Geltungsbereich ergibt sich darüber hinaus aus der beigefügten Planzeichnung. Der Zeitraum der Beteiligung der Öffentlichkeit zum Bebauungsplanverfahren gem. § 3 Abs. 2 BauGB wird nach Erstellung der Unterlagen separat bekanntgemacht.

Rülzheim, den 22.12.2022
gez. Reiner Hör
Ortsbürgermeister