Titel Logo
Ebelebener Bezirksblatt
Ausgabe 9/2025
Amtlicher Teil
Zurück zur vorigen Seite
Zurück zur ersten Seite der aktuellen Ausgabe

Amtlicher Teil

Planverfahren zur Aufstellung der 5. Änderung des Flächennutzungsplanes der Stadt Ebeleben

hier:

Bekanntmachung des Aufstellungsbeschlusses

gemäß § 2 (1) BauGB und der frühzeitigen Öffentlichkeitsbeteiligung gemäß § 3 (1) BauGB

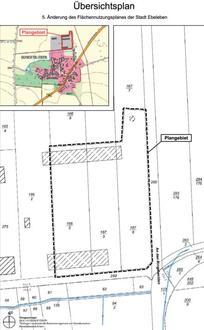
Der Stadtrat der Stadt Ebeleben hat in seiner Sitzung am 03.04.2025 mit B-Nr.: 02-06-2025 die Aufstellung der 5. Änderung des Flächennutzungsplanes der Stadt Ebeleben beschlossen und das gesetzlich erforderliche Planverfahren nach BauGB damit eingeleitet. Der räumliche Geltungsbereich ist aus der mitveröffentlichten Planskizze ersichtlich. Gemäß § 2 (1) BauGB in der z.Z. gültigen Fassung wird dieser Beschluss hiermit bekannt gemacht.

Wesentliches Ziel der Planung

ist die Schaffung der planungsrechtlichen Voraussetzungen zur Errichtung einer Freiland-Photovoltaikanlage auf der brachliegenden ehemaligen LPG-Anlage für Tierhaltung am nördlichen Ortsrand von Gundersleben, mit einer Flächengröße von ca. 1,1 ha.

Als umweltbezogene Informationen für das Planverfahren sind zum jetzigen Stand der Planung (Vorentwurf) erforderlich und zur Zeit verfügbar: Regionalplan Nordthüringen (RP-NT), Flächennutzungsplan der Stadt Ebeleben mit Ortsteilen.

Auf Grund der zurzeit vorliegenden Erkenntnisse legt die Stadt Ebeleben zur Berücksichtigung der Umweltbelange gemäß § 2 (4) Satz 2 BauGB den Umfang und den Detaillierungsgrad für die Ermittlung der umweltbezogenen Informationen dahingehend fest, dass die folgenden Ermittlungen oder Ausführungen im Rahmen des in Rede stehenden Planverfahrens vorgesehen werden: Einholen der Stellungnahmen der Öffentlichkeit und der Fachbehörden zum Vorentwurf.

Der Vorentwurf der 5. Änderung des Flächennutzungsplanes der Stadt Ebeleben, bestehend aus der Planzeichnung und der Begründung, wird gemäß § 3 (1) BauGB zur frühzeitigen Öffentlichkeitsbeteiligung im Zeitraum

vom 19.05.2025 bis 27.06.2025

im Internet als Download

unter der Adresse der Stadt Ebeleben

www.ebeleben.de/bauleitplanung/liste.html

veröffentlicht.

Als zusätzliches Informationsangebot werden die o.g. Planungsunterlagen im gleichen Zeitraum an nachfolgender Stelle innerhalb der Dienstzeiten zur Einsichtnahme öffentlich ausgelegt und können von jedermann eingesehen werden. Fachliche und inhaltliche Erläuterungen und Auskünfte zur o.a. Planung sind innerhalb der Öffnungszeiten oder nach gesonderter Terminabsprache möglich:

Stadtverwaltung Ebeleben (Bauverwaltung),

Rathausstraße 02, 99713 Ebeleben

Montag

geschlossen

Dienstag

von 09:00 Uhr bis 12:00 Uhr

und 13:00 Uhr bis 18:00 Uhr

Mittwoch

von 09:00 Uhr bis 12:00 Uhr

Donnerstag

von 09:00 Uhr bis 12:00 Uhr

und 13:00 Uhr bis 16:00 Uhr

Freitag

von 09:00 Uhr bis 12:00 Uhr

Stellungnahmen können während der o.g. Frist von jedermann abgegeben werden. Die Übermittlung der Stellungnahmen sollte vorrangig auf elektronischem Wege an stadtverwaltung@ebeleben.de erfolgen.

Bei Bedarf können Stellungnahmen schriftlich an die Stadt Ebeleben, Rathausstraße 2, 99713 Ebeleben oder während der Öffnungszeiten bzw. nach gesonderter Terminabsprache mündlich oder zur Niederschrift vorgebracht werden.

Es wird ausdrücklich darauf hingewiesen, dass nicht fristgerecht abgegebene Stellungnahmen bei der Beschlussfassung der Stadt Ebeleben unberücksichtigt bleiben können.

Die gemäß § 3 (2) BauGB durchzuführende formelle Öffentlichkeitsbeteiligung zur o.a. Planung der Stadt Ebeleben ist hiervon nicht betroffen. Ort und Zeitpunkt dieser Auslegung werden rechtzeitig bekannt gegeben.

Anlage: Übersichts- und Lageplan

gez. Gröbel

Bürgermeister