Titel Logo
Eisfelder Amtsblatt
Ausgabe 4/2024
Amtlicher Teil
Zurück zur vorigen Seite
Zurück zur ersten Seite der aktuellen Ausgabe

Amtliche Bekanntmachungen der Stadt Eisfeld

Bekanntmachung

der Veröffentlichung im Internet und der öffentlichen Auslegung des Vorentwurfs des vorhabenbezogenen Bebauungsplans Sondergebiet Solare Strahlungsenergie "PV-FFA Steinbruch-Eisfeld" entsprechend § 3 Abs. 1 BauGB in Verbindung mit dem Gesetz zur Stärkung der Digitalisierung im Bauleitplanungsverfahren und zur Änderung weiterer Vorschriften

Der Stadtrat Eisfeld hat am 06.07.2023 in öffentlicher Sitzung die Aufstellung des Vorhabenbezogenen Bebauungsplan Solare Strahlungsenergie "PV-FFA Steinbruch Eisfeld" beschlossen. Die frühzeitige Öffentlichkeitsbeteiligung wird in Form einer öffentlichen Auslegung und einer Veröffentlichung im Internet durchgeführt. Damit wird die Öffentlichkeit frühzeitig über die allgemeinen Ziele und Zwecke der Planung und die voraussichtlichen Auswirkungen der Planung unterrichtet und ihr Gelegenheit zur Äußerung und Erörterung gegeben.

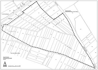
Das Plangebiet befindet sich nordwestlich der Kernstadt Eisfeld, westlich der Eisfelder Straße nach Crock. Der Geltungsbereich des Plangebietes ist im beigefügten Übersichtsplan (Abbildung) dargestellt.

Ziel des vorhabenbezogenen Bebauungsplanverfahrens ist die Schaffung der planerischen Voraussetzungen für die Errichtung einer ca. 15,5 ha großen Photovoltaik-Freiflächenanlage mit ca. 17,4 MWp Leistung.

Der Vorentwurf des vorhabenbezogenen Bebauungsplans - bestehend aus Planzeichnung mit vorhabenbezogenem Bebauungsplan (Teil A), den textlichen Festsetzungen (Teil B), dem Vorhaben- und Erschließungsplan (Teil C) und der Begründung - wird in der Zeit

vom 12.04.2024 bis einschließlich 26.04.2024

auf der Internetseite der Stadt Eisfeld unter Leben & Wohnen (https://www.stadt-eisfeld.de/seite/521722/%C3%B6ffentliche-bekanntmachungen.html) veröffentlicht.

Ergänzend sind die benannten Planunterlagen innerhalb dieses Zeitraums im Rathaus / der Stadtverwaltung Eisfeld, Marktstraße 2, 98673 Eisfeld, 1. Obergeschoss, Sitzungssaal während der Sprechzeiten:

Montag

von 9:00 Uhr bis 12:00 Uhr

Dienstag

von 9:00 Uhr bis 12:00 Uhr und

von 13:00 Uhr bis 16:30 Uhr

Mittwoch

keine Sprechzeiten

Donnerstag

von 9:00 Uhr bis 12:00 Uhr und

von 13:00 Uhr bis 18:00 Uhr

Freitag

von 9:00 Uhr bis 12:00 Uhr

einsehbar. Der Zugang zum Rathaus außerhalb der Öffnungszeiten wird nach Anmeldung unter Tel. 03686/39 020 oder per E-Mail stadtverwaltung@stadt-eisfeld.de gewährt.

Im Veröffentlichungszeitraum besteht bis zum Ende der Veröffentlichungsfrist am 26. April 2024 (Datum des Poststempels) die Möglichkeit, Stellungnahmen zur Planung schriftlich oder elektronisch an die Stadtverwaltung Eisfeld zu senden

Stadt Eisfeld

Marktstraße 2

98673 Eisfeld

oder per E-Mail an Bauamt@stadt-eisfeld.de

oder unter dieser Adresse zur Niederschrift vorzutragen.

Hinweise

Gemäß Gesetz zur Stärkung der Digitalisierung im Bauleitplanungsverfahren und anderer Vorschriften vom 03. Juli 2023 (BGBl. I Nr. 176) ist die Veröffentlichung der Planunterlagen im Internet für alle Kommunen verpflichtend. Zusätzlich sind leicht zu erreichende Zugangsmöglichkeiten zur Verfügung zu stellen: Die o.g. Planunterlagen werden zur Einsichtnahme in den Räumlichkeiten der Stadtverwaltung Eisfeld, Sitzungssaal öffentlich ausgelegt.

Bei der Abgabe von Stellungnahmen ist die freiwillige Angabe der Anschrift des Verfassers zweckmäßig. Ohne Zuordnung der Stellungnahme kann die Einschätzung der Betroffenheit privater Belange erschwert sein.

Mit der Abgabe der Stellungnahme wird in die Erhebung, Verarbeitung und Nutzung personenbezogener Daten zum Zwecke der Durchführung des Bauleitplanverfahrens eingewilligt. Die Verarbeitung personenbezogener Daten erfolgt auf der Grundlage des Artikel 6 Absatz 1 lit. e Datenschutzgrundverordnung (DSGVO) in Verbindung mit Artikel 6 Absatz 3 lit. b DSGVO und § 3 Baugesetzbuch (BauGB). In Umsetzung der Informationspflichten der EU-Datenschutzgrundverordnung können am Veröffentlichungsort (Internetseite der Stadt Eisfeld und am o.g. Auslegungsort in der Stadtverwaltung Eisfeld innerhalb der Öffnungszeiten zur Auslegung die erforderlichen Informationen zur Verarbeitung personenbezogener Daten im Rahmen des Verfahrens eingesehen werden.

Stellungnahmen, die im Verfahren der Öffentlichkeits- und Behördenbeteiligung nicht rechtzeitig abgegeben worden sind, können bei der Beschlussfassung über den Bauleitplan unberücksichtigt bleiben, sofern die Gemeinde deren Inhalt nicht kannte und nicht hätte kennen müssen und deren Inhalt für die Rechtmäßigkeit des Bebauungsplans nicht von Bedeutung ist.

Eisfeld, d. 25.03.2024

Sven Gregor, Bürgermeister