Titel Logo
Amts- und Mitteilungsblatt der Verwaltungsgemeinschaft "Heldburger Unterland"
Ausgabe 12/2024
Amtlicher Teil der Verwaltungsgemeinschaft "Heldburger Unterland"
Zurück zur vorigen Seite
Zurück zur ersten Seite der aktuellen Ausgabe

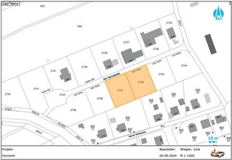
Neubaugebiet „Vorm Hirtentor 2“

Im Wohnbaugebiet „Vorm Hirtentor 2“ in Ummerstadt gibt es noch freie Grundstücke (siehe Lageplan).

Folgende Grundstücke stehen zum Verkauf:

Bei Interesse bitte melden:

Verwaltungsgemeinschaft Heldburger Unterland

Liegenschaftsverwaltung

Häfenmarkt 164

98663 Heldburg

E-Mail:

liegenschaften@vg-heldburgerunterland.de

Tel.:

036871/288-45

Lageplan Neubaugebiet Ummerstadt