Titel Logo
Amts- und Mitteilungsblatt der Verwaltungsgemeinschaft "Heldburger Unterland"
Ausgabe 3/2023
Amtlicher Teil der Verwaltungsgemeinschaft "Heldburger Unterland"
Zurück zur vorigen Seite
Zurück zur ersten Seite der aktuellen Ausgabe

Stadt Ummerstadt

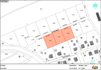
Im Wohnbaugebiet „Vorm Hirtentor 2“ in Ummerstadt gibt es noch freie Grundstücke (siehe Lageplan).

Folgende Grundstücke stehen zum Verkauf:

Flurstück

Größe

2746

937 m²

2747

913 m²

2748

928 m²

Bei Interesse bitte melden:

Verwaltungsgemeinschaft Heldburger Unterland

Liegenschaftsverwaltung

Häfenmarkt 164

98663 Heldburg

E-Mail: liegenschaften@vg-heldburgerunterland.de

Tel.: 036871/288-45