Titel Logo
Amts- und Mitteilungsblatt der Verwaltungsgemeinschaft "Heldburger Unterland"
Ausgabe 9/2023
Amtlicher Teil der Verwaltungsgemeinschaft "Heldburger Unterland"
Zurück zur vorigen Seite
Zurück zur ersten Seite der aktuellen Ausgabe
-

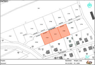
Neubaugebiet Ummerstadt "Vorm Hirtentor 2"

Im Wohnbaugebiet „Vorm Hirtentor 2“ in Ummerstadt gibt es noch freie Grundstücke (siehe Lageplan).

Folgende Grundstücke stehen zum Verkauf:

Flurstück

Größe

2746

937 m²

2747

913 m²

2748

928 m²

Bei Interesse bitte melden:

Verwaltungsgemeinschaft Heldburger Unterland

Liegenschaftsverwaltung

Häfenmarkt 164, 98663 Heldburg

E-Mail: liegenschaften@vg-heldburgerunterland.de

Tel.: 036871/288-45