Titel Logo
Grammetalbote Amtsblatt der Gemeinde Grammetal
Ausgabe 2/2025
Nichtamtlicher Teil der Gemeinde
Zurück zur vorigen Seite
Zurück zur ersten Seite der aktuellen Ausgabe

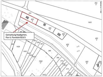
Öffentliche Ausschreibung Grundstücksverkauf Gemarkung Hopfgarten

Die Gemeinde Grammetal beabsichtigt, folgendes Gartengrundstück im Ortsteil Hopfgarten / Am Crucissteige zu veräußern:

Gemarkung Hopfgarten Flur 6,

Flurstück 423/3 zur Größe von 495m²

Mindestgebot: 5,00 EUR/qm

Gebote werden nur berücksichtigt, wenn sie ein auf eine feste Summe in EURO lautendes Preisgebot enthalten.

Objektbeschreibung:

Bei dem Verkaufsgrundstück handelt es sich um eine Wochenend- und Ferienhausfläche am nördlichen Rand der Ortschaft Hopfgarten. Das Grundstück ist seit einiger Zeit ungenutzt und dementsprechend ungepflegt.

Bestandteil des Grundstücks ist ein stark renovierungsbedürftiger Bungalow. Auf dem Grundstück ist ein Stromanschluss vorhanden, kein Wasseranschluss.

Gebote sind abzugeben unter zwingender Angabe

-

Grundstücksbezeichnung,

-

Name, Anschrift, Telefon des Bieters

-

Kaufpreisgebot

-

Datum, Unterschrift

Die Gemeinde behält sich die Entscheidung vor wann, an wen und zu welchen Bedingungen die Grundstücke verkauft werden. Es handelt sich um eine unverbindliche Aufforderung zur Abgabe bezifferter Kaufangebote. Hieraus, insbesondere aus Nichtberücksichtigung von Angeboten, können keinerlei Ansprüche gegen die Gemeinde Grammetal abgeleitet werden.

Alle im Rahmen des Abschlusses des Kaufvertrages anfallenden Kosten sind durch den Kaufenden zu tragen.

Ein Termin zur Besichtigung des Verkaufsgrundstückes oder weitere Einzeleinheiten können während der Sprechzeiten in der Verwaltung der Gemeinde Grammetal, Schloßgasse 19 unter 03643 831143 (Frau Lober) vereinbart bzw. eingeholt werden.

Kaufangebote können bis zum 07.03.2025 im verschlossenen Umschlag (gekennzeichnet mit „Angebot Erwerb Gemarkung Hopfgarten Flur 6 und dem betreffenden Flurstück“) bei der Gemeinde Grammetal eingereicht werden.