Titel Logo
Grammetalbote Amtsblatt der Gemeinde Grammetal
Ausgabe 4/2023
Amtlicher Teil der Gemeinde
Zurück zur vorigen Seite
Zurück zur ersten Seite der aktuellen Ausgabe

Bekanntmachung von Beschlüssen

Geoproxy Thüringen (Zugriff: 25.08.2022) Übersichtsplan - Geltungsbereich der Teilaufhebung des Bebauungsplanes (unmaßstäbliche Darstellung)

Geoproxy Thüringen (Zugriff: 25.08.2022) Übersichtsplan - Geltungsbereich des Bebauungsplanes Industriepark Nohra (unmaßstäbliche Darstellung)

Geoproxy Thüringen (Zugriff: 25.08.2022) Übersichtsplan - Geltungsbereich der Aufhebung des Bebauungsplanes (unmaßstäbliche Darstellung)

20. Sitzung des Gemeinderates Grammetal am 15.03.2023

stimmberechtigte Mitglieder: 21

davon anwesend: 16

Beschluss 26/2023:

1.

Der Gemeinderat der Gemeinde Grammetal billigt den Entwurf zur Teilaufhebung des Bebauungsplanes Gewerbegebiet Nohra im OT Nohra und beschließt, diesen nach § 3 Abs. 2 BauGB öffentlich auszulegen.

Für den Planbereich ist der Planentwurf vom Februar 2023 maßgebend.

2.

Der Entwurf der Teilaufhebung - bestehend aus der Planzeichnung sowie der Begründung - ist gemäß § 3 Abs. 2 Baugesetzbuch (BauGB) für die Dauer eines Monats, mindestens jedoch für die Dauer von 30 Tagen öffentlich auszulegen und zusätzlich im Internet einzustellen und zugänglich zu machen.

3.

Ort und Dauer der Auslegung/Veröffentlichung sind eine Woche vorher ortsüblich bekannt zu machen mit dem Hinweis darauf, dass Anregungen während der Auslegungsfrist vorgebracht werden können. Verspätet abgegebene Stellungnahmen können bei der Beschlussfassung über die Teilaufhebung des Bebauungsplanes gemäß § 4a Abs. 6 BauGB unberücksichtigt bleiben.

4.

Die Behörden und sonstigen Träger öffentlicher Belange sowie die Nachbargemeinden sind von der öffentlichen Auslegung/Internetveröffentlichung in Kenntnis zu setzen und parallel zur Auslegung nach § 4 Abs. 2 BauGB zu beteiligen. Der Öffentlichkeit wird die Möglichkeit der Unterrichtung über die allgemeinen Ziele und Zwecke durch Offenlage der Planunterlagen im Rahmen der öffentlichen Auslegung nach § 3 Abs. 2 BauGB gegeben.

5.

Das Verfahren zur Teilaufhebung des Bebauungsplanes erfordert eine Umweltprüfung i.S. des § 2 Abs. 4 BauGB, in der die voraussichtlichen erheblichen Umwelteinwirkungen ermittelt und in einem Umweltbericht beschrieben und bewertet werden. Der Umweltbericht ist gemäß § 2a BauGB in die Begründung zur Aufhebung des Bebauungsplanes zu integrieren und wird öffentlich mit ausgelegt.

6.

Der Geltungsbereich der Teilaufhebung umfasst eine Größe von ca. 3,5 ha.

Er umfasst folgende Flurstücke der Flur 7 der Gemarkung Nohra:

598/3, 599/2, 599/3, 598/2, 605/4 und teilweise das Flurstück 605/5

Für den räumlichen Geltungsbereich der Teilaufhebung des Bebauungsplans ist der als Anlage enthaltene Lageplan maßgebend:

Anlage

Lageplan - Geltungsbereich der Teilaufhebung des Bebauungsplanes:

Abstimmungsergebnis: einstimmig angenommen

Beschluss 27/2023:

1.

Der Gemeinderat der Gemeinde Grammetal billigt den Entwurf des Bebauungsplanes Industriepark Nohra im OT Nohra und beschließt, diesen nach § 3 Abs. 2 BauGB öffentlich auszulegen. Für den Planbereich ist der Planentwurf vom Februar 2023 maßgebend.

2.

Der Entwurf des Bebauungsplanes - bestehend aus der Planzeichnung sowie der Begründung - ist gemäß § 3 Abs. 2 Baugesetzbuch (BauGB) für die Dauer eines Monats, mindestens jedoch für die Dauer von 30 Tagen öffentlich auszulegen und zusätzlich im Internet einzustellen und zugänglich zu machen.

3.

Ort und Dauer der Auslegung/Veröffentlichung sind eine Woche vorher ortsüblich bekannt zu machen mit dem Hinweis darauf, dass Anregungen während der Auslegungsfrist vorgebracht werden können. Verspätet abgegebene Stellungnahmen können bei der Beschlussfassung über den Bebauungsplan gemäß § 4a Abs. 6 BauGB unberücksichtigt bleiben.

4.

Die Behörden und sonstigen Träger öffentlicher Belange sowie die Nachbargemeinden sind von der öffentlichen Auslegung/Internetveröffentlichung in Kenntnis zu setzen und parallel zur Auslegung nach § 4 Abs. 2 BauGB zu beteiligen. Der Öffentlichkeit wird die Möglichkeit der Unterrichtung über die allgemeinen Ziele und Zwecke durch Offenlage der Planunterlagen im Rahmen der öffentlichen Auslegung nach § 3 Abs. 2 BauGB gegeben.

5.

Das Verfahren zur Aufstellung des Bebauungsplanes erfordert eine Umweltprüfung i.S. des § 2 Abs. 4 BauGB, in der die voraussichtlichen erheblichen Umwelteinwirkungen ermittelt und in einem Umweltbericht beschrieben und bewertet werden. Der Umweltbericht ist gemäß § 2a BauGB in die Begründung des Bebauungsplanes zu integrieren und wird öffentlich mit ausgelegt.

6.

Der Geltungsbereich des Bebauungsplanes umfasst eine Größe von ca. 11,2 ha.

Er umfasst folgende Flurstücke der Gemarkung Nohra, Flur 7:

611/1, 611/2, 598/3, 599/2, 599/3, 605/4, 598/2

und teilweise das Flurstück 605/5.

externe Kompensationsmaßnahme

Der Geltungsbereich der externen Kompensationsmaßnahmen E1 (Feldgehölzpflanzung) befindet sich im Landschaftspark Nohra und umfasst folgendes Flurstück der Flur 2 der Gemarkung Ulla: - Flurstück 96/6 (teilweise).

Für den räumlichen Geltungsbereich des Bebauungsplans ist der als Anlage enthaltene Lageplan maßgebend:

Anlage

Lageplan - Geltungsbereich des Bebauungsplanes:

Abstimmungsergebnis: einstimmig angenommen

Beschluss 28/2023:

1.

Der Gemeinderat der Gemeinde Grammetal billigt den Entwurf zur Aufhebung des Bebauungsplanes Industriegebiet Nohra im OT Nohra und beschließt, diesen nach § 3 Abs. 2 BauGB öffentlich auszulegen. Für den Planbereich ist der Planentwurf vom Februar 2023 maßgebend.

2.

Der Entwurf der Aufhebung - bestehend aus der Planzeichnung sowie der Begründung - ist gemäß § 3 Abs. 2 Baugesetzbuch (BauGB) für die Dauer eines Monats, mindestens jedoch für die Dauer von 30 Tagen öffentlich auszulegen und zusätzlich im Internet einzustellen und zugänglich zu machen.

3.

Ort und Dauer der Auslegung/Veröffentlichung sind eine Woche vorher ortsüblich bekannt zu machen mit dem Hinweis darauf, dass Anregungen während der Auslegungsfrist vorgebracht werden können. Verspätet abgegebene Stellungnahmen können bei der Beschlussfassung über die Aufhebung des Bebauungsplanes gemäß § 4a Abs. 6 BauGB unberücksichtigt bleiben.

4.

Die Behörden und sonstigen Träger öffentlicher Belange sowie die Nachbargemeinden sind von der öffentlichen Auslegung/Internetveröffentlichung in Kenntnis zu setzen und parallel zur Auslegung nach § 4 Abs. 2 BauGB zu beteiligen. Der Öffentlichkeit wird die Möglichkeit der Unterrichtung über die allgemeinen Ziele und Zwecke durch Offenlage der Planunterlagen im Rahmen der öffentlichen Auslegung nach § 3 Abs. 2 BauGB gegeben.

5.

Das Verfahren zur Aufhebung des Bebauungsplanes erfordert eine Umweltprüfung i.S. des § 2 Abs. 4 BauGB, in der die voraussichtlichen erheblichen Umwelteinwirkungen ermittelt und in einem Umweltbericht beschrieben und bewertet werden. Der Umweltbericht ist gemäß § 2a BauGB in die Begründung zur Aufhebung des Bebauungsplanes zu integrieren und wird öffentlich mit ausgelegt.

6.

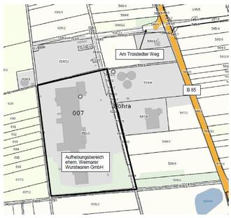
Die aktuellen Flurstücksnummern und Flurstücksgrenzen des Aufhebungsbereiches sind in der Planzeichnung dargestellt und nachfolgend aufgelistet:

Flur 7 der Gemarkung Nohra: Flurstücke 611/1, 611/2, 605/4, 605/5

und teilweise die Flurstücke 605/1 und 605/6

Anlage

Lageplan - Geltungsbereich der Aufhebung des Bebauungsplanes:

Abstimmungsergebnis: einstimmig angenommen