Titel Logo
Königseer Zeitung
Ausgabe 9/2025
Gemeinde Allendorf
Zurück zur vorigen Seite
Zurück zur ersten Seite der aktuellen Ausgabe

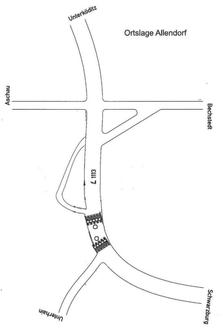
Amtlicher Teil - Vollsperrung der L 1113 Ortsdurchfahrt Allendorf

Aufgrund von Baumaßnahmen ist die L1113, Ortsdurchfahrt Allendorf vom 11.08.2025 bis voraussichtlich Ende September voll gesperrt.

Die Straßenkreuzung Aschau/Bechstedt sowie die Kreuzung Allendorf/Oberhain/Schwarzburg sind befahrbar, lediglich die Ortsdurchfahrt Allendorf zwischen den Hausnummern 41 und 51 ist von der Vollsperrung betroffen (siehe Karte).

Die Umleitung des Verkehrs über die B88 - Bad Blankenburg - L 1112 Schwarzburg ist ausgeschildert.

Wir bitten um Ihr Verständnis und Beachtung der Beschilderung.

Ordnungsamt