Auszug aus dem Thüringen Viewer - unmaßstäblich (entnommen am: 10.07.2024)
Auszug aus dem ThüringenViewer (06.2024)
Auszug aus dem ThüringenViewer (06.2024)
Auszug aus dem ThüringenViewer (06.2024)
Auszug aus dem ThüringenViewer (06.2024)
Auszug aus dem ThüringenViewer (02.2025)
Beschluss
Der Stadtrat der Stadt Kölleda hat in öffentlicher Sitzung vom 20. 05. 2025 den 3. Entwurf des Bebauungsplanes Nr. 1/17 - Wohngebiet "Am Meisenweg" gebilligt und beschlossen, diesen nach § 3 Abs. 2 BauGB zu veröffentlichen.
Für den Planbereich ist der 3. Entwurf vom März 2025 maßgebend.
Anlass der Planuna/Planänderuna:
Der Stadtrat der Stadt Kölleda hat am 20.09.2017 die Aufstellung eines Bebauungsplanes Nr. 1/17 für ein Wohngebiet "Am Meisenweg" gemäß § 13 b BauGB (Einbeziehen von Außenbereichsflächen in das beschleunigte Verfahren) beschlossen und das entsprechende Verfahren durchgeführt. Der Satzungs- beschluss wurde durch den Stadtrat am 23.11.2021 gefasst. Die Genehmigung des Planes wurde durch die höhere Verwaltungsbehörde (Landratsamt Sömmerda) erteilt.
Auf Grund einer Entscheidung des Bundesverwaltungsgerichts ist der § 13 b Satz l BauGB nicht-mehr anwendbar. § 13 b BauGB verstößt gegen EU-Recht und darf nicht mehr angewendet werden. Der Bebauungsplan muss somit im Regelverfahren, mit Umweltbericht und Grünordnungsplanung aufgestellt und das Verfahren entsprechend geführt werden, um dem Plan eine Rechtssicherheit zu geben.
Die naturschutzfachliche Eingriffsregelung ist damit anzuwenden, eine Kompensationspflicht besteht. Zur Mängelbeseitigung wird das Planungsverfahren zum Bebauungsplan gemäß den Vorschriften des Baugesetzbuches § 2 BauGB in der derzeit gültigen Fassung wieder aufgenommen und im Regelverfahren durchgeführt.
Im Ergebnis der Beteiligung zum 2. Planentwurfgem. § 3 (2) und § 4 (2) BauGB wurden Bedenken und Hinweise berücksichtigt bzw. abgewogen. Eine Änderung des Planentwurfes mit folgenden Inhalten wurde durchgeführt.
| • | Wegfall der Festsetzung von grundstücksbezogenen Regenwasserzisternen auf Grund der neuen Berechnung zum Oberflächenwasser sowie des neuen Erschließungsansatzes |
| • | Überarbeitung der Ausgleichsbilanzierung, Zuordnung einer weiteren Ausgleichsmaßnahe A7 |
| • | Anpassung der Begründung (Verfahrensübersicht; Anpassung Aussagen zur Oberftächenwasserbehandlung, Ergänzung Maßnahmenblatt) |
Eine erneute Beteiligung der betroffenen Öffentlichkeit und der Behörden sowie Träger öffentlicher Belange gemäß § 3 Abs. 2 BauGB i. V. m. § 4a Abs. 3 BauGB ist die Folge.
Geltungsbereich des Planaebietes:
Der Geltungsbereich des Bebauungsplanes Nr. 1/17 - Wohngebiet „Am Meisenweg" besitzt eine Größe von ca. 2,79 ha. Er umfasst folgende Flurstücke der Gemarkung Kölleda:
| - | Flur l - 54/16 |
| - | Flur 2 - 96/59; 96/60; 846/96 und teilweise 103/1 |
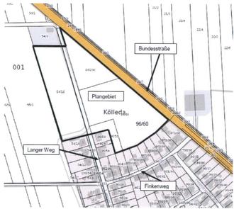
Für den räumlichen Geltungsbereich des Bebauungsplans ist der nachfolgende Lageplan maßgebend:
externe Kompensationsmaßnahme
| - | Ausgleichsmaßnahme A3: Abriss und Entsiegelung altes Feuerwehrhaus Dermsdorf Flurstück 63/7 in der Flur 4 in der Gemarkung Dermsdorf |
| - | Ausgleichsmaßnahme A4: Anpflanzung von Hecken zur Eingrünung der Deponie Battgendorf Flurstück 247/33 in der Flur 6 in der Gemarkung Großmonra |
| - | Ausgleichsmaßnahme A5: Anlage einer Streuobstwiese am westlichen Ortsrand von Backleben Flurstücke 362/8 und 363/8 in der Flur 2 in der Gemarkung Backleben |
| - | Ausgleichsmaßnahme A6: Anlage einer Streuobstwiese am östlichen Ortsrand von Backleben Flurstücke 260/21 und 68/5 in der Flur 2 in der Gemarkung Backleben |
| - | Ausgleichsmaßnahme A7: Abriss und Entsiegelung altes Heizhaus Beichlingen, Anlage Feldgehölz Flurstück 11/11 in der Flur 2 der Gemarkung Beichlingen |
Beteiligung der Öffentlichkeitaemäß 6 3 Abs. 2 BauGB
Der 3. Entwurf des Bebauungsplanes Nr. 1/17. Wohngebiet "Am Meisenweg", bestehend aus der Planzeichnung und der Begründung, Stand März 2025, wird im Zeitraum
vom 27.06.2025 bis einschließlich 14.07.2025
auf der Website der Stadt Kölleda www.koelleda.de/stadt/amtliche-bekanntmachunqen.html veröffentlicht.
Alternativ liegen die Unterlagen in der Stadtverwaltung Kölleda, Bauamt, 99625 Kölleda, Markt l, während der Dienststunden und nach Terminvereinbarung
| Montag: | von 8.00 bis 12.00 Uhr und von 13.00 bis 15.00 Uhr |
| Dienstag: | von 8.00 bis 12.00 Uhr und von 13.00 bis 18.00 Uhr |
| Mittwoch: | von 8.00 bis 12.00 Uhr und von 13.00 bis 15.00 Uhr |
| Donnerstag: | von 8.00 bis 12.00 Uhr und von 13.00 bis 15.00 Uhr |
| Freitag: | von 8.00 bis 12.00 Uhr |
für jedermann öffentlich zur Einsichtnahme aus, sofern auf die genannten Tage nicht ein gesetzlicher Feiertag fällt. Kontakt über Telefon des Bauamtes zur Terminvereinbarung: 03635 450 133.
Während der Auslegungsfrist können von jedermann Anregungen ausschließlich zu den Änderungen des 3. Entwurfes vorgebracht werden.
Die Stellungnahmen zu den Änderungen sind elektronisch per E-Mail an bauamt@koelteda.de zu übermitteln. Bei Bedarf besteht die Möglichkeit der schriftlichen oder zur Niederschrift vorgebrachten Stellungnahme zu den o.g. Dienstzeiten.
Nicht fristgerecht abgegebene Stellungnahmen können bei der Beschlussfassung über den Bebauungsplan unberücksichtigt bleiben.
Beteiligung der Träger öffentlicher Belange:
Die betroffenen Behörden und sonstige Träger öffentlicher Belange werden elektronisch beteiligt und erhalten innerhalb einer angemessenen Frist die Möglichkeit zur Abgabe einer Stellungnahme (§ 4 (2) BauGB) zu den Änderungen.
Umweltprüfung
Das Verfahren zur Aufstellung des Bebauungsplans erfordert eine Umweltprüfung i.S. des § 2 Abs.4 BauGB, in der die voraussichtlichen erheblichen Umwelteinwirkungen ermittelt und in einem Umweltberieht beschrieben und bewertet werden. Der Umweltbericht ist gemäß § 2a BauGB in die Begründung zum Bebauungsplan zu integrieren und wird nun öffentlich mit ausgelegt.
Folgende Arten umweltbezogener Informationen sind verfügbar:
| - | Umweltbericht / Gutachten / umweltbezogene Stellungnahmen von Behörden |
In den vorgenannten Unterlagen werden Informationen zu folgenden Themenbereichen gegeben:
| Gutachten / Fachbeiträge / Planungen | Inhalte / Themen |
| Umweltbericht / Grünordnungsplan |
|
| Feldhamsterkartierung im Bereich |
|
| Schallimmissionsprognose |
|
| Hydraulisches Gutachten inkl. Überflutungsnachweis |
|
Verschiedene umweltrelevante Stellungnahmen und Informationen sind im Verfahren gemäß § 4 Abs. l und § 4(2) BauGB zum Vorentwurf/Entwurf des Bebauungsplanes innerhalb der festgelegten Fristen eingegangen. Aussagen zu folgenden Themen bereichen werden gegeben:
| Urheber | Themenbereiche |
| Thüringer Landesverwaltungsamt |
|
| Landratsamt Sömmerda |
|
| Thüringer Landesamt für Umwelt, Bergbau und Naturschutz |
|
| Thüringer Landesanstalt für Landwirtschaft und Ländlichen Raum |
|
| Betriebsgesellschaft Wasser u. Abwasser mbH |
|
| NABU |
|
| AG Artenschutz |
|
Datenschutz:
Die Verarbeitung personen bezogener Daten erfolgt auf der Grundlage der Art. 6 Abs. l Buchstabe e (DSGVO) i. V. mit § 3 BauGB und derThürDSGVO. Sofern Sie Ihre Stellungnahme ohne Absenderangaben abgeben, erhalten Sie keine Mitteilung über das Ergebnis der Prüfung.