Titel Logo
Der Leinetalbote
Ausgabe 10/2025
Amtliche Bekanntmachungen
Zurück zur vorigen Seite
Zurück zur ersten Seite der aktuellen Ausgabe

Bekanntmachung

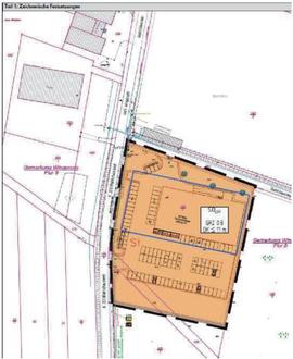
über die öffentliche Auslegung gem. § 3 Abs. 2 BauGB des Entwurfs des vorhabenbezogenen Bebauungsplanes Nr. 8 „Nahversorgungszentrum Riethchaussee“ der Gemeinde Wingerode

(1) Der Gemeinderat der Gemeinde Wingerode hat in seiner 7. Sitzung am 23. September 2025, mit Beschluss Nr. 33 - 07 / 2025 den Entwurf des vorhabenbezogenen Bebauungsplanes Nr. 8 „Nahversorgungszentrum Riethchaussee“ der Gemeinde Wingerode“ mit Begründung gebilligt und die öffentliche Auslegung gemäß § 3 Abs. 2 Baugesetzbuch (BauGB), beschlossen.

Der gebilligte Entwurf des vorstehend genannten Bebauungsplanes - Nr. 8 mit der Begründung einschließlich Umweltbericht sowie Stellungnahmen der Bürger ist in der Zeit

vom 21. Oktober 2025

bis einschließlich zum 19. November 2025

auf der Internetseite der Verwaltungsgemeinschaft Leinetal unter www.vg-leinetal.de - Verwaltung - Bauleitplanung Wingerode - vorhabenbezogener Bebauungsplan Nr. 8 „Nahversorgungszentrum Riethchaussee“ einsehbar und zusätzlich zur Veröffentlichung im Internet, werden die genannten Unterlagen in der

Verwaltungsgemeinschaft *Leinetal*

Hauptstraße 73

37308 Bodenrode

im Versammlungsraum (Hauptgebäude - Dachgeschoss) während folgender Zeiten

Montag

von 09.00 - 12.00 Uhr und 13.00 - 16.00 Uhr

Dienstag

von 09.00 - 12.00 Uhr und 14.00 - 18.00 Uhr

Donnerstag

von 09.00 - 12.00 Uhr und 14.00 - 16.00 Uhr

Freitag

von 09.00 - 12.00 Uhr

öffentlich ausgelegt.

Folgende Arten umweltbezogener Informationen sind verfügbar und liegen im Rahmen der öffentlichen Auslegung zur Einsichtnahme aus:

Umweltbericht mit Eingriffs- und Ausgleichsermittlung (Stand 12.03.25)

In den vorgenannten Unterlagen werden Informationen zu folgenden Themenblöcken gegeben:

Auswirkungen auf Tiere, Pflanzen, Boden, Wasser, Luft, Klima und das Wirkungsgefüge zwischen ihnen sowie auf die Landschaft und die biologische Vielfalt

umweltbezogene Auswirkungen auf den Menschen

umweltbezogene Auswirkungen auf Kulturgüter und sonstige Sachgüter

die Wechselwirkungen zwischen den vorgenannten Belangen

Während der Veröffentlichung (Auslegung) kann jedermann Stellungnahmen zum Entwurf abgeben. Diese können elektronisch an die E-Mail-Adresse poststelle@vg-leinetal.de übermittelt beziehungsweise schriftlich an die Verwaltungsgemeinschaft „Leinetal“, Hauptstraße 73, 37308 Bodenrode-Westhausen, oder mündlich zur Niederschrift vorgebracht werden.

Stellungnahmen, die im Verfahren der Öffentlichkeits- und der Behördenbeteiligung nicht rechtzeitig abgegeben worden sind, können bei der Beschlussfassung über den vorhabenbezogenen Bebauungsplan Nr. 8 „Nahversorgungszentrum Riethchaussee“ unberücksichtigt bleiben, sofern die Gemeinde Wingerode deren Inhalt nicht kannte und nicht hätte kennen müssen und deren Inhalt für die Rechtmäßigkeit des Bebauungsplanes nicht von Bedeutung ist (§ 4a, Abs. 6, Satz 1, Baugesetzbuch).

Hinweis:

Bei der Abgabe der Stellungnahmen ist die Angabe der Anschrift des Verfassers zweckmäßig. Eine Mitteilung des Abwägungsergebnisses ist anderenfalls nicht möglich. Ohne Zuordnung der Stellungnahme kann die Einschätzung der Betroffenheit privater Belange erschwert sein. Mit der Abgabe der Stellungnahme wird in die Verarbeitung personenbezogener Daten zum Zwecke der Durchführung des Bebauungsplanverfahrens eingewilligt. Über die eingegangenen Stellungnahmen wird in öffentlicher Sitzung des Gemeinderates beraten und entschieden.

(2) Diese Bekanntmachung ist gemäß § 12 der Hauptsatzung der Gemeinde Wingerode i. d. derzeitig gültigen Fassung öffentlich durch wörtlichen Abdruck im Amtsblatt „Der Leinetalbote“ Nr. 10/2025 bekannt zu machen.

Erscheinungstag ist der 17. Oktober 2025.

37327 Wingerode, den 30. September 2025

gez.

Wehr  —  (Dienstsiegel)

Bürgermeister