Titel Logo
Der Leinetalbote
Ausgabe 4/2023
Amtliche Bekanntmachungen
Zurück zur vorigen Seite
Zurück zur ersten Seite der aktuellen Ausgabe

Amtliche Bekanntmachung der Gemeinde Heuthen

Der Gemeinderat der Gemeinde Heuthen, hat in seiner Sitzung am 21. Juni 2022 mit Beschluss Nr. 86 - 11 / 2022 den Aufstellungsbeschluss für den vorhabenbezogenen Bebauungsplan Neubau von zwei Doppelhäusern „Am Stadtberg“, der Gemeinde Heuthen, Vorhabenträger Matthias Freund, gefasst.

Die frühzeitige Bürgerbeteiligung wird durch öffentliche Auslegung und Darstellung gemäß § 3 Abs. 1 BauGB hiermit bekannt gegeben.

Ziel des Bebauungsplanes ist es, Baurecht für die Errichtung von zwei Doppelwohnhäusern zu schaffen sowie die Erschließung und Einbindung des Plangebietes in die Landschaft unter Berücksichtigung der städtebaulichen Vorgaben zu sichern.

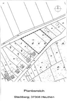
Der räumliche Geltungsbereich des Bebauungsgebietes und seine Lage gehen aus der nachfolgenden Planskizze, die Bestandteil der Bekanntmachung ist, hervor.

Eine Änderung des Geltungsbereichs könnte sich im Verfahren ergeben.

Die frühzeitige Bürgerbeteiligung gemäß § 3 Abs. 1 BauGB wird wie folgt durchgeführt:

1. Öffentliche Darlegung der allgemeinen Ziele und Zwecke der Planung

Dazu wird die beabsichtigte Planung in der Zeit

vom 24. April 2023 bis zum 25. Mai 2023

zur Einsicht und Information in der

Verwaltungsgemeinschaft *Leinetal*

Bauamt

Hauptstraße 73

37308 Bodenrode-Westhausen

im Versammlungsraum (Hauptgebäude - Dachgeschoss) während der Sprechzeiten ausgelegt.

Zusätzlich besteht die Möglichkeit der Einsichtnahme in die Unterlagen unter der Internetadresse der VG Leinetal www.vg-leinetal.de - Link Bauleitplanung Heuthen, vorhabenbezogener Bebauungsplan Neubau von zwei Doppelhäusern „Am Stadtberg“.

Während der Auslegungszeit erhalten interessierte Bürger Auskunft. Es besteht die Möglichkeit der Erörterung. Desweiteren können Gegenvorschläge oder Änderungswünsche vorgetragen werden.

Sprechzeiten der VG *Leinetal* mit Sitz in Bodenrode:

Montag

von 09.00 - 12.00 Uhr

Dienstag

von 09.00 - 12.00 Uhr

und 14.00 - 18.00 Uhr

Mittwoch

von 09.00 - 12.00 Uhr

Donnerstag

von 09.00 - 12.00 Uhr

und 13.30 - 16.00 Uhr

Freitag

von 09.00 - 12.00 Uhr

2. Anhörung

Mit dieser Bekanntmachung wird gleichzeitig zu einer öffentlichen Anhörungsversammlung innerhalb der Auslegungszeit eingeladen.

Die Anhörungsversammlung findet am

Dienstag, den 09. Mai 2023

von 17.30 - 18.30 Uhr

in der Gemeindeverwaltung

Ange 27

37308 Heuthen

statt.

37308 Heuthen, den 30. März 2023

Gaßmann

Bürgermeister