Titel Logo
Mitteilungsblatt VG Thaleischweiler-Wallhalben
Ausgabe 43/2024
Amtlicher Teil
Zurück zur vorigen Seite
Zurück zur ersten Seite der aktuellen Ausgabe

Widmung der Gemeindestraße "Sackgasse"

Vollzug des Landesstraßengesetzes für Rheinland-Pfalz (LStrG);

Widmung der Gemeindestraße „Sackgasse“ in der Ortsgemeinde Maßweiler gemäß § 36 Landesstraßengesetz


Gemäß § 36 des Landesstraßengesetzes für Rheinland-Pfalz (LStrG) erlässt die Verbandsgemeinde Thaleischweiler- Wallhalben im Namen und Auftrag der Ortsgemeinde Maßweiler folgende Verfügung:


Widmung

Aufgrund des Beschlusses des Gemeinderates der Ortsgemeinde Maßweiler vom 16.09.2024 wird zur Klarstellung die bereits vorhandene Straße in der Gemeinde Maßweiler :

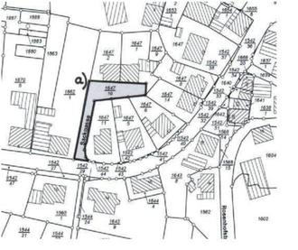
a) „Sackgasse“

Plannummer 1647/16

im Lageplan grau dargestellt

mit sofortiger Wirkung als Gemeindestraße dem öffentlichen Verkehr gewidmet.


Aufgrund der Tatsache, dass eine deutliche Wiedergabe bzw. ein leserlicher Abdruck der Anlage – mit Kennzeichnung der gewidmeten Straßen – im Amtsblatt nicht sichergestellt ist, wird diese daher gemäß § 1 Abs. 2 der Hauptsatzung der Ortsgemeinde Maßweiler vom 23.10.2009 mit Änderung vom 17.10.2014, 07.10.2015, 23.05.2016 und 16.09.2024 im Rahmen der Auslegung öffentlich bekannt gemacht.

Die Anlage liegt daher gem. § 1 Abs. 2 der Hauptsatzung in der Zeit ab

Donnerstag, den 17.10.2024

bis einschließlich Montag, den 18.11.2024

bei der Verbandsgemeindeverwaltung Thaleischweiler- Wallhalben, Hauptstraße 52, Zimmer 17 während der allgemeinen Dienststunden zu jedermanns Einsichtnahme öffentlich aus. Die öffentliche Bekanntmachung der Anlagen gilt damit mit Ablauf des letzten Tages der Offenlegungsfrist also mit Ablauf des 18. November 2024, als vollzogen.

Des Weiteren liegt die Anlage mit der Kennzeichnung der gewidmeten Straßen während der Rechtsmittelfrist zu den allgemeinen Dienststunden im Zimmer 17 der Verbandsgemeindeverwaltung, Hauptstr. 52, 66987 Thaleischweiler-Fröschen zur öffentlichen Einsichtnahme aus.

Rechtsbehelfsbelehrung:

Gegen diese Verfügung kann innerhalb eines Monats nach Bekanntgabe Widerspruch erhoben werden. Der Widerspruch ist bei der Verbandsgemeindeverwaltung Thaleischweiler- Wallhalben einzulegen.

Der Widerspruch kann

1. schriftlich oder zur Niederschrift, Hauptstr. 52, 66987 Thaleischweiler- Fröschen oder am Standort Hauptstraße 26 in 66917 Wallhalben erhoben werden

oder

2. durch E-Mail mit qualifizierter elektronischer Signatur1 an vgtw@poststelle.rlp.de unter Beachtung der besonderen technischen Rahmenbedingungen, die im Internet unter www.vgtw.de (Verbandsgemeinde/Elektronische Kommunikation) aufgeführt sind, erhoben werden.

Falls die Frist durch das Verschulden eines Bevollmächtigten versäumt werden sollte, würde dieses Verschulden Ihnen zugerechnet.

Thaleischweiler-Fröschen, den 16.10.2024
Verbandsgemeindeverwaltung
gez. Schmitt, Erster Beigeordneter