Titel Logo
Mitteilungsblatt VG Thaleischweiler-Wallhalben
Ausgabe 46/2022
Amtlicher Teil
Zurück zur vorigen Seite
Zurück zur ersten Seite der aktuellen Ausgabe

Bekanntmachung

Ortsgemeinde Petersberg

Ergänzungssatzungssatzung Steinbergstraße

hier:

Beteiligung der Öffentlichkeit

Öffentliche Auslegung gem. § 3 Abs. 2 BauGB

Der Gemeinderat von Petersberg hat in seiner Sitzung vom 22.09.2022 die Aufstellung der Ergänzungssatzung „Steinbergstraße“ gem. § 2 BauGB beschlossen.

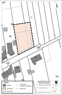
Der räumliche Geltungsbereich der Ergänzungssatzung „Steinbergstraße“ liegt östlich der Ortslage von Petersberg in Verlängerung der Steinbergstraße. Der Geltungsbereich beschränkt sich auf Teilflächen der Flurstücke Nr. 1099/1 und 1098/1 Gemarkung Petersberg und grenzt unmittelbar an die bestehende Bebauung an.

Das Plangebiet bildet eine Abrundung der Ortslage. Die genaue Abgrenzung des Plangebietes ist im Planteil kenntlich gemacht und in der nachfolgenden Abbildung ersichtlich.

Der Vorentwurf des Plans wurde in der Gemeinderatssitzung vom 22.09.2022 angenommen sowie die Verfahrensschritte nach §§ 3 Abs. 2, 4 Abs. 2 (förmliche Öffentlichkeits- und Behördenbeteiligung) eingeleitet.

Zu der Aufstellung der Ergänzungssatzung wird der Öffentlichkeit gem. § 3 Abs. 2 BauGB Gelegenheit gegeben, den Entwurf der Ergänzungssatzung in der Zeit vom

17.11.2022 bis einschließlich 19.12.2022

bei der Verbandsgemeindeverwaltung Thaleischweiler-Wallhalben, im Verwaltungsgebäude Thaleischweiler-Fröschen, Hauptstr. 52, Fachbereich 3, Natürliche Lebensgrundlagen und Bauen, während den allgemeinen Dienststunden,

Montag, Mittwoch und Freitag

von 8.30 - 12.00 Uhr

Mittwoch

von 14.00 - 18.00 Uhr

Montag und Donnerstag

von 14.00 - 16.00 Uhr

einzusehen.

Während der Auslegungsfrist können Stellungnahmen abgegeben werden. Es wird darauf hingewiesen, dass nicht fristgerecht abgegebene Stellungnahmen bei der Beschlussfassung über den Bauleitplan unberücksichtigt bleiben können. Die Stellungnahmen können schriftlich oder zur Niederschrift abgegeben werden. Auch eine Abgabe in elektronischer Form per E-Mail ist in diesem Zeitraum möglich, unter: nico.eichert@vgtw.de

Gem. § 4a Abs. 2 BauGB wird der Inhalt dieser Bekanntmachung und die öffentlich ausliegenden Unterlagen zusätzlich in das Internet auf der Homepage der Verbandsgemeinde Thaleischweiler-Wallhalben unter www.vgtw.de >Ortsgemeinde Petersberg>Bebauungspläne>laufende Bauleitplanverfahren, eingestellt.

3/610-13/Ei

66987 Thaleischweiler-Fröschen, den 14.11.2022
Verbandsgemeindeverwaltung:
gez. Schmitt, Erster Beigeordneter