Titel Logo
Frankenblick Bote
Ausgabe 11/2025
Amtliche Bekanntmachungen
Zurück zur vorigen Seite
Zurück zur ersten Seite der aktuellen Ausgabe

Amtliche Bekanntmachungen

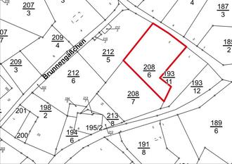
Grundstücksangebot

für die Liegenschaft - Ringstraße 3 OT Rabenäußig

Die Gemeinde Frankenblick beabsichtigt folgenden Grundbesitz in 96528 Frankenblick zu verkaufen:

Lage des Objekts:

Ortsteil Rabenäußig

Gemarkung:

Rabenäußig

Flurstück:

208/6

Grundstücksgröße:

882 m²

Das Grundstück ist im Flächennutzungsplan der Gemeinde Frankenblick als Wohnbaufläche dargestellt und ist bereits voll erschlossen.

Die zulässige Bebauung richtet sich nach der umgebenden Bebauung nach § 34 BauGB in Verbindung mit der Gestaltungssatzung der Gemeinde Frankenblick für den Ortsteil Rabenäußig.

Die Gemeinde Frankenblick beabsichtigt den Verkauf des Baugrundstücks mit der Flst.Nr. 208/6 Gemarkung Rabenäußig, Ringstraße 3 in 96528 Frankenblick unter Berücksichtigung des derzeitigen Bodenrichtwertes in Höhe von 34 Euro/m².

Mindestkaufpreis Grundstück: 29.988 Euro

Die Kaufnebenkosten (z.B. Notarkosten, Gerichtskosten, Grunderwerbsteuer, etc.) sind im Mindestkaufpreis nicht enthalten.

Ihr schriftliches Kaufpreisangebot richten Sie bitte an die

Gemeinde Frankenblick,

Schloßgasse 20, 96528 Frankenblick

oder per E-Mail an

bauamt@gemeindefrankenblick.de

Der Verkauf erfolgt unter Berücksichtigung der geltenden rechtlichen Grundlagen nach Beschluss des Gemeinderates.

Anfragen richten Sie bitte an das Bauamt der Gemeinde Frankenblick.