Titel Logo
Drei-Gleichen-Bote - Amtsblatt der Gemeinde Drei Gleichen
Ausgabe 1/2024
Gemeinde Drei Gleichen
Zurück zur vorigen Seite
Zurück zur ersten Seite der aktuellen Ausgabe

Amtlicher Teil - Bekanntmachung der Satzung über die 1. Änderung des Bebauungsplans der Gemeinde Drei Gleichen für das Allgemeine Wohngebiet (WA) „Auf der Pferdekoppel“ im Ortsteil Mühlberg

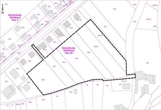
Geltungsbereich der 1. Änderung des Bebauungsplanes der Gemeinde Drei Gleichen für das Allgemeine Wohngebiet (WA) „Auf der Pferdekoppel“ im Ortsteil Mühlberg

Bekanntmachung der Satzung

über die 1. Änderung des Bebauungsplans der Gemeinde Drei Gleichen für das Allgemeine Wohngebiet (WA) „Auf der Pferdekoppel“ im Ortsteil Mühlberg

Der Gemeinderat der Gemeinde Drei Gleichen hat am 25.10.2023 mit Beschluss Nr. LG1-GR-2023/52-168 die 1. Änderung des Bebauungsplans der Gemeinde Drei Gleichen für das Allgemeine Wohngebiet (WA) „Auf der Pferdekoppel“ im Ortsteil Mühlberg, bestehend aus der Planzeichnung (Teil A) und dem Textteil (Teil B) gemäß § 10 Abs. 1 BauGB als Satzung beschlossen.

Der Antrag zur Genehmigung der Satzung wurde am 20.11.2023 beim Landratsamt Gotha eingereicht.

Das Landratsamt Gotha hat mit Schreiben vom 15.12.2023, Az.: P2023007, das am 20.12.2023 bei der Gemeinde Drei Gleichen einging, für die 1. Änderung des Bebauungsplans der Gemeinde Drei Gleichen für das Allgemeine Wohngebiet (WA) „Auf der Pferdekoppel“ im Ortsteil Mühlberg die Genehmigung erteilt.

Der Bebauungsplan der Gemeinde Drei Gleichen für die 1. Änderung für das Allgemeine Wohngebiet (WA) „Auf der Pferdekoppel“ im Ortsteil Mühlberg wird hiermit öffentlich bekannt gemacht. Mit dieser Bekanntmachung tritt der Bebauungsplan in Kraft.

Jedermann kann den rechtskräftigen Bebauungsplan und die Begründung ab dem Tag der Bekanntmachung in der Gemeindeverwaltung Drei Gleichen, Bauverwaltung, Erdgeschoss, Schulstraße 1, 99869 Drei Gleichen, Ortsteil Wandersleben, zu den Dienststunden

Dienstag

von 09:00 Uhr bis 12:00 Uhr und

von 13:00 Uhr bis 18:00 Uhr

Donnerstag

von 13:00 Uhr bis 16:00 Uhr

Freitag

von 09:00 Uhr bis 12:00 Uhr

einsehen und über den Inhalt Auskunft verlangen.

Der Bebauungsplan kann auch digital unter: www.gemeinde-drei-gleichen.de eingesehen werden. Es wird darauf hingewiesen, dass das in Papierform vorliegende Satzungsexemplar maßgebend ist, da Abweichungen bei der elektronischen Wiedergabe nicht vollständig ausgeschlossen werden können.

Eine Verletzung der in § 214 Abs. 1 Satz 1 Nr. 1 bis 3 BauGB und Abs. 2 BauGB bezeichneten Verfahrens- und Formvorschriften sowie Mängel der Abwägung sind unbeachtlich, wenn sie nicht innerhalb von einem Jahr seit dieser Bekanntmachung schriftlich gegenüber der Gemeinde Drei Gleichen geltend gemacht worden sind. Dabei ist der Sachverhalt, welcher die Verletzung oder den Mangel begründen soll, darzulegen (§ 215 Abs. 1 BauGB).

Es wird darauf hingewiesen, dass eine Verletzung von Verfahrens- oder Formvorschriften, die in der Thüringer Kommunalordnung (ThürKO) enthalten oder aufgrund der Thüringer Kommunalordnung erlassen worden sind, beim Zustandekommen vorstehender Satzung nach Ablauf eines Jahres seit der Bekanntmachung gemäß § 21 Abs. 4 ThürKO nicht mehr geltend gemacht werden kann, es sei denn, die Vorschriften über die Genehmigung, die Ausfertigung oder die Bekanntmachung der Satzung sind verletzt worden oder der Form- oder Verfahrensmangel ist gegenüber der Gemeinde Drei Gleichen vorher gerügt und dabei die verletzte Rechtsvorschrift und die Tatsache bezeichnet worden, die den Mangel ergibt.

Auf die Vorschriften des § 44 Abs. 3 Satz 1 und 2 sowie Abs. 4 BauGB über die Fälligkeit etwaiger Entschädigungsansprüche im Falle der in den §§ 39 bis 42 BauGB bezeichneten Vermögensnachteile, deren Leistung schriftlich beim Entschädigungspflichtigen zu beantragen ist und des § 44 Abs. 4 BauGB über das Erlöschen von Entschädigungsansprüchen, wenn der Antrag nicht innerhalb von drei Jahren nach Ablauf des Kalenderjahres gestellt ist, wird hingewiesen.

gez. J. Leffler

Bürgermeister