Titel Logo
Drei-Gleichen-Bote - Amtsblatt der Gemeinde Drei Gleichen
Ausgabe 3/2023
Gemeinde Drei Gleichen
Zurück zur vorigen Seite
Zurück zur ersten Seite der aktuellen Ausgabe

Bekanntmachung über die öffentliche Auslegung des Entwurfs der 1. Änderung des Bebauungsplanes der Gemeinde Drei Gleichen für das Allgemeine Wohngebiet (WA) „Auf der Pferdekoppel“ im Ortsteil Mühlberg gemäß § 3 Abs. 2 BauGB

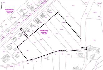
Gemeinde Drei Gleichen - Übersichtslageplan zum Geltungsbereich der 1. Änderung des Bebauungsplanes für das Allgemeine Wohngebiet (WA) „Auf der Pferdekoppel“ im Ortsteil Mühlberg

über die öffentliche Auslegung des Entwurfs der 1. Änderung des Bebauungsplanes der Gemeinde Drei Gleichen für das Allgemeine Wohngebiet (WA) „Auf der Pferdekoppel“ im Ortsteil Mühlberg gemäß § 3 Abs. 2 BauGB

Der Gemeinderat der Gemeinde Drei Gleichen hat am 23.02.2023 in öffentlicher Sitzung den Entwurf der 1. Änderung des Bebauungsplanes der Gemeinde Drei Gleichen für das Allgemeine Wohngebiet (WA) „Auf der Pferdekoppel“ im Ortsteil Mühlberg mit Begründung gebilligt und die öffentliche Auslegung beschlossen. Die 1. Änderung des Bebauungsplanes wird auf Grundlage des § 13b BauGB aufgestellt. Für die Planung ist keine Umweltprüfung nach § 2 Abs. 4 BauGB erforderlich; die naturschutzrechtliche Eingriffsregelung wird nicht angewendet, eine Kompensationspflicht entfällt. Für den räumlichen Geltungsbereich ist der beigefügte Lageplan maßgebend. Die öffentliche Auslegung des Entwurfs der 1. Änderung des Bebauungsplanes der Gemeinde Drei Gleichen für das Allgemeine Wohngebiet (WA) „Auf der Pferdekoppel“ im Ortsteil Mühlberg erfolgt auf Grundlage des Gesetzes zur Sicherstellung ordnungsgemäßer Plan- und Genehmigungsverfahren während der COVID-19-Pandemie (Planungssicherstellungsgesetz - PlanSiG) vom 20. Mai 2020, zuletzt geändert durch Artikel 1 des Gesetzes vom 08. Dezember 2022, durch öffentliche Auslegung des Planentwurfs mit Begründung im Internet. Darüber hinaus liegt der Entwurf der

1. Änderung des Bebauungsplanes der Gemeinde Drei Gleichen für das Allgemeine Wohngebiet (WA) „Auf der Pferdekoppel“, bestehend aus der Planzeichnung mit textlichen Festsetzungen und der Begründung zu jedermanns Einsicht im Rathaus der Gemeinde Drei Gleichen, Ortsteil Wandersleben, Bauverwaltung, Erdgeschoss, Schulstraße 1, 99869 Drei Gleichen,

vom 3. April 2023 bis 5. Mai 2023

zu den Dienstzeiten

Montag

von 09:00 Uhr bis 12:00 Uhr und

von 13:00 Uhr bis 15:30 Uhr

Dienstag

von 09:00 Uhr bis 12:00 Uhr und

von 13:00 Uhr bis 18:00 Uhr

Donnerstag

von 09:00 Uhr bis 12:00 Uhr und

von 13:00 Uhr bis 16:00 Uhr

Freitag

von 09:00 Uhr bis 12:00 Uhr

öffentlich aus und kann dort nach vorheriger telefonischer Anmeldung unter der Rufnummer 036202 - 70 840 oder nach Terminvereinbarung per Email unter bauamt@gemeinde-drei-gleichen.de eingesehen werden. Alle ausliegenden Unterlagen sind auf der Internetseite der Gemeinde Drei Gleichen unter: www.gemeinde-drei-gleichen.de/gemeinde/aktuelles einzusehen und können heruntergeladen werden. Während der Auslegungsfrist können von jedermann - schriftlich oder zur Niederschrift - Stellungnahmen vorgebracht werden. Da das Ergebnis der Behandlung der Stellungnahmen mitgeteilt wird, ist die Angabe der Anschrift des Verfassers zweckmäßig. Gem. § 4a Abs. 6 BauGB können nicht fristgerecht abgegebene Stellungnahmen bei der Beschlussfassung über den Bebauungsplan unberücksichtigt bleiben, sofern die Gemeinde Drei Gleichen deren Inhalt nicht kannte und nicht hätte kennen müssen und deren Inhalt für die Rechtmäßigkeit des Bebauungsplanes nicht von Bedeutung ist. Im Zusammenhang mit dem Datenschutz weisen wir ausdrücklich darauf hin, dass ein Bebauungsplanverfahren ein öffentliches Verfahren ist und daher in der Regel alle dazu eingehenden Stellungnahmen in öffentlichen Sitzungen beraten und entschieden werden, sofern sich nicht aus der Art der Einwände oder der betroffenen Personen ausdrückliche oder offensichtliche Einschränkungen ergeben. Soll eine Stellungnahme nur anonym behandelt werden, ist dies auf derselben eindeutig zu vermerken.

gez. J. Leffler

Bürgermeister

Anlage:

Übersichtslageplan zum Geltungsbereich der 1. Änderung des Bebauungsplanes