Titel Logo
Drei-Gleichen-Bote - Amtsblatt der Gemeinde Drei Gleichen
Ausgabe 8/2023
Gemeinde Drei Gleichen
Zurück zur vorigen Seite
Zurück zur ersten Seite der aktuellen Ausgabe

Bekanntmachung über die öffentliche Auslegung des 2. Entwurfs der 1. Änderung des Bebauungsplanes der Gemeinde Drei Gleichen für das Allgemeine Wohngebiet (WA) „Auf der Pferdekoppel“ im Ortsteil Mühlberg gemäß § 3 Abs. 2 BauGB

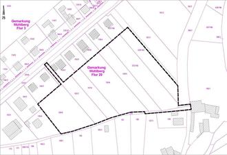
Gemeinde Drei Gleichen - Übersichtslageplan zum Geltungsbereich der 1. Änderung des Bebauungsplanes für das Allgemeine Wohngebiet (WA) „Auf der Pferdekoppel“ im Ortsteil Mühlberg

Gemeinde Drei Gleichen / Übersichtslageplan zum Geltungsbereich des 2. Entwurfs zur 1. Änderung des Bebauungsplanes für das Allgemeine Wohngebiet „Auf der Pferdekoppel“

über die öffentliche Auslegung des 2. Entwurfs der 1. Änderung des Bebauungsplanes der Gemeinde Drei Gleichen für das Allgemeine Wohngebiet (WA) „Auf der Pferdekoppel“ im Ortsteil Mühlberg gemäß § 3 Abs. 2 BauGB

Der Gemeinderat der Gemeinde Drei Gleichen hat am 27.07.2023 in öffentlicher Sitzung den 2. Entwurf der 1. Änderung des Bebauungsplanes der Gemeinde Drei Gleichen für das Allgemeine Wohngebiet (WA) „Auf der Pferdekoppel“ im Ortsteil Mühlberg mit Begründung gebilligt und die öffentliche Auslegung beschlossen.

Für den räumlichen Geltungsbereich ist der beigefügte Lageplan maßgebend.

Im Zuge der Durchführung des Planverfahrens zur 1. Änderung hat sich gezeigt, dass eine räumliche Einordnung des geplanten Baukörpers für seniorengerechtes Wohnen auch bei einem größeren Abstand von der Bestandsbebauung der Wohnhäuser an der Wanderslebener Straße möglich ist. Anstelle der im Entwurf zur 1. Änderung des Bebauungsplanes in einem Abstand von 10,10 m zur Grundstücksgrenze der Bestandsbebauung festgesetzten Baugrenze wurde im 2. Entwurf der Abstand auf 20,10 m vergrößert. Auch die im Entwurf zur 1. Änderung festgesetzten Gebiete WA 2 und WA 3 wurden dergestalt geändert, dass durch die Reduzierung auf ein Baufeld (im 2. Änderungsentwurf WA 2) ebenfalls ein Abstand von 20,10 m zur Grundstücksgrenze der nordwestlich angrenzenden Bestandsbebauung erzielt wird. Die innere Erschließung des Plangebietes wurde an die geänderte Planung angepasst.

Da durch die o. g. Änderungen die Grundzüge der Planung berührt werden, ist der geänderte Planentwurf gemäß § 4a Abs. 3 BauGB erneut auszulegen und die Stellungnahmen der von der Änderung berührten Behörden und sonstigen Träger öffentlicher Belange sind erneut einzuholen.

Darüber hinaus ist gemäß eines Urteils des Bundesverwaltungsgerichts (BVerwG) vom 18.07.2023 der § 13b BauGB, welcher bei der Aufstellung der 1. Änderung des Bebauungsplanes angewendet wurde, nicht mit Unionsrecht vereinbar. In der Pressemitteilung des BVerwG heißt es dazu: „Freiflächen außerhalb des Siedlungsbereichs einer Gemeinde dürfen nicht im beschleunigten Verfahren nach § 13b Satz 1 BauGB ohne Umweltprüfung überplant werden.“

Zum 2. Entwurf der 1. Änderung des Bebauungsplanes war somit eine Umweltprüfung durchzuführen und ein Umweltbericht zu erstellen.

Die öffentliche Auslegung des 2. Entwurfs der 1. Änderung des Bebauungsplanes der Gemeinde Drei Gleichen für das Allgemeine Wohngebiet (WA) „Auf der Pferdekoppel“ im Ortsteil Mühlberg erfolgt durch öffentliche Auslegung des Planentwurfs mit Begründung, Umweltbericht, den zum Bebauungsplan erstellten Gutachten und den der Gemeinde bereits vorliegenden umweltbezogenen Stellungnahmen im Internet. Alle ausliegenden Unterlagen sind auf der Internetseite der Gemeinde Drei Gleichen unter: www.gemeinde-drei-gleichen.de/gemeinde/aktuelles einzusehen und können heruntergeladen werden.

Darüber hinaus liegen der 2. Entwurf der 1. Änderung des Bebauungsplanes mit Begründung und Umweltbericht, die zum Bebauungsplan erstellten Gutachten und die der Gemeinde bereits vorliegenden umweltbezogenen Stellungnahmen zu jedermanns Einsicht im Rathaus der Gemeinde Drei Gleichen, Ortsteil Wandersleben, Bauverwaltung, Erdgeschoss, Schulstraße 1, 99869 Drei Gleichen,

vom 28. August 2023 bis 29. September 2023

zu den Dienstzeiten

Montag

von 09:00 Uhr bis 12:00 Uhr und

von 13:00 Uhr bis 15:30 Uhr

Dienstag

von 09:00 Uhr bis 12:00 Uhr und

von 13:00 Uhr bis 18:00 Uhr

Donnerstag

von 09:00 Uhr bis 12:00 Uhr und

von 13:00 Uhr bis 16:00 Uhr

Freitag

von 09:00 Uhr bis 12:00 Uhr

öffentlich aus und können dort nach vorheriger telefonischer Anmeldung unter der Rufnummer 036202 - 70 841 oder nach Terminvereinbarung per Email unter bauamt@gemeinde-drei-gleichen.de eingesehen werden.

Während der Auslegungsfrist können von jedermann - schriftlich oder zur Niederschrift - Stellungnahmen vorgebracht werden. Da das Ergebnis der Behandlung der Stellungnahmen mitgeteilt wird, ist die Angabe der Anschrift des Verfassers zweckmäßig.

Gem. § 4a Abs. 6 BauGB können nicht fristgerecht abgegebene Stellungnahmen bei der Beschlussfassung über den Bebauungsplan unberücksichtigt bleiben, sofern die Gemeinde Drei Gleichen deren Inhalt nicht kannte und nicht hätte kennen müssen und deren Inhalt für die Rechtmäßigkeit des Bebauungsplanes nicht von Bedeutung ist.

Zu den wesentlichen bereits vorliegenden umweltbezogenen Informationen, die im Rahmen der öffentlichen Auslegung mit ausgelegt werden, gehören neben dem Umweltbericht folgende Fachgutachten:

-

Ingenieurbüro Frank & Schellenberger, Eisenach

Gutachterliche Stellungnahme LG13/2023-2 zur geplanten 1. Änderung des Bebauungsplanes der Gemeinde Drei Gleichen Allgemeines Wohngebiet „Auf der Pferdekoppel“ im Ortsteil Mühlberg hinsichtlich des zu erwartenden Gewerbelärms vom angrenzenden Vorhabenbezogenen Bebauungsplan „SO Einzelhandel an der Wanderslebener Straße“.

Eisenach, 17.07.2023

-

Ingenieurbüro Frank & Schellenberger, Eisenach

Schallimmissionsprognose LG13/2023-B für das Wohngebiet „Auf der Pferdekoppel“ in der Gemeinde Drei Gleichen OT Mühlberg, Berechnung zum Straßenlärm der Autobahn A4 nach RLS 19.

Eisenach, 17.07.2023

-

Ingenieurbüro für Baugrund JACOBI GmbH, Erfurt

Baugrundgutachten (Geotechnischer Bericht) zur Erschließung eines Wohngebietes „Auf der Pferdekoppel“ Wanderslebener Straße Drei Gleichen OT Mühlberg.

Erfurt, 04.11.2020

Folgende Arten umweltbezogener Informationen sind verfügbar:

I.

Aus dem Umweltbericht

1.

Angaben zum Schutzgut Boden

Bestandsbeschreibung und Bewertung der Auswirkungen des Bebauungsplanes, u. a. mit Ausführungen zur Bodenlandschaft, zur Speicher- und Reglerfunktion, zum Bodenaufbau, zur Lebensraumfunktion für Pflanzen und Tiere und zur natürlichen Ertragsfunktion des Bodens und zu den Auswirkungen der Versiegelung auf die Bodenfunktionen.

2.

Angaben zum Schutzgut Fläche

Bestandsbeschreibung zur Flächennutzung und zum Verlust der Fläche als landwirtschaftliche Nutzfläche.

3.

Angaben zum Schutzgut Wasser

Bestandsbeschreibung und Bewertung der Auswirkungen des Bebauungsplanes mit Ausführungen zu den Schutzgütern Grundwasser, Oberflächengewässer und Standgewässer; zum Grundwasser im Hinblick auf Verschmutzungsempfindlichkeit und Grundwasserdargebot bzw. -nutzung, zum Schutzgut Oberflächengewässer und Standgewässer im Hinblick auf Leistungsfähigkeit und Schutzwürdigkeit und zu den Auswirkungen der Versiegelung auf das Grundwasser.

4.

Angaben zum Schutzgut Klima und Luft

Bestandsbeschreibung und Bewertung der Auswirkungen des Bebauungsplanes und der auf das Plangebiet einwirkenden Immissionen mit Ausführungen zu den klimatischen und lufthygienischen Schutzfunktionen.

5.

Angaben zum Schutzgut Tiere und Pflanzen

Bestandsbeschreibung der Biotop- und Nutzungsstruktur und der faunistischen Ausstattung des Plangebietes und seines Umfeldes, Bewertung der Auswirkungen des Bebauungsplanes auf im Geltungsbereich und seinem Umfeld vorhandene Vegetationsstrukturen, Biotoptypen und Fauna.

6.

Angaben zum Schutzgut Landschaftsbild und Erholungseignung

Bestandsbeschreibung der Landschaftsbildeinheiten im Untersuchungsgebiet und deren Vorbelastungen, Bestandsbeschreibung der erholungs- und erlebnisrelevanten Einrichtungen und Strukturen im Untersuchungsgebiet und seines Umfeldes, Bewertung der Auswirkungen des Bebauungsplanes auf das Landschaftsbild und die Erholungseignung.

7.

Angaben zum Schutzgut Mensch

Bestandsbeschreibung zur Lage des Plangebietes im Siedlungsgefüge und zu den Vorbelastungen des Siedlungsraumes durch Immissionen und gewerbliche Bebauung, Bewertung der Auswirkungen des Bebauungsplanes auf das Schutzgut Mensch.

8.

Angaben zum Schutzgut Kultur- und Sachgüter

Bestandsbeschreibung und Bewertung des Schutzguts Kultur- und Sachgüter mit Hinweisen auf die in der Umgebung des Plangebietes gelegenen Kultur- und Baudenkmale und den Kulturerbestandort „Drei Gleichen“ mit Angaben zu den Vorbelastungen des Landschaftsraumes und des Plangebietes.

9.

Angaben zu den Wechselwirkungen zwischen den Schutzgütern und zu Planungsalternativen

Angaben zu den Auswirkungen der Aufstellung des Bebauungsplanes auf die Leistungs- und Funktionsfähigkeit der Schutzgüter und Diskussion zu Planungsalternativen.

10.

Naturschutzfachliche Eingriffs-/Ausgleichsbilanzierung

Gegenüberstellung der Biotopwertigkeit des Plangebietes vor und nach der geplanten Bebauung; Ausführungen zur Festsetzung der Ausgleichsmaßnahmen.

II.

Aus den umweltbezogenen Stellungnahmen aus der Beteiligung der Öffentlichkeit (§ 3 Abs. 2 BauGB) und der Beteiligung der Behörden und sonstigen Träger öffentlicher Belange (§ 4 Abs. 2 BauGB)

1.

Stellungnahme des Thüringer Landesverwaltungsamtes vom 02.05.2023

Hinweis auf die Grundsätze des Landesentwicklungsprogramms 2025 zu den Prinzipien „Innen- vor Außenentwicklung“ und „Nachnutzung vor Flächenneuinanspruchnahme“

2.

Stellungnahme des Landratsamtes Gotha vom 26.05.2023

-

Hinweis zur Einhaltung der Vorgaben zum Immissionsschutz und Hinweis auf die gesetzlichen Maßgaben zum Immissionsschutz.

-

Hinweise zur Niederschlagswasserbeseitigung.

3.

Stellungnahme des Landesamtes für Umwelt, Bergbau und Naturschutz vom 27.04.2023

Hinweis auf die von der Bundesautobahn 4 (BAB 4) auf das Plangebiet einwirkenden Lärmimmissionen.

4.

Stellungnahme des Thüringischen Landesamtes für Denkmalpflege und Archäologie vom 13.04.2023

Hinweis des Fachbereichs Bau- und Kunstdenkmalpflege auf die Einfügung der geplanten Bebauung in die Dachlandschaft und Hinweise zur Dachform und zur Einfügung von Photovoltaik-Dachflächenanlagen.

5.

Stellungnahme des Wasser- und Abwasserzweckverbandes Gotha und Landkreisgemeinden vom 28.04.2023

Hinweise zur Schmutz- und Niederschlagswasserableitung.

6.

Stellungnahme des Arbeitsgruppe Artenschutz Thüringen e.V. vom 05.05.2023

Hinweise zur Verwendung heimischer Baumarten und zur Minimierung der Flächenversiegelung.

7.

Stellungnahme des Kulturbundes für Europa e.V. vom 01.05.2023

Hinweis auf die dauerhafte Erhaltung der festgesetzten Pflanzungen.

8.

Stellungnahme der Öffentlichkeit vom 24.04.2023

Anregungen und Hinweise zur Verschiebung der geplanten Baufelder zur Vergrößerung des Abstandes zur an der Wanderslebener Straße gelegenen Wohnbebauung und zur Sicherstellung des Blicks von der o. g. Wohnbebauung auf die Mühlburg.

Im Zusammenhang mit dem Datenschutz weist die Gemeinde Drei Gleichen ausdrücklich darauf hin, dass ein Bebauungsplanverfahren ein öffentliches Verfahren ist und daher in der Regel alle dazu eingehenden Stellungnahmen in öffentlichen Sitzungen beraten und entschieden werden, sofern sich nicht aus der Art der Einwände oder der betroffenen Personen ausdrückliche oder offensichtliche Einschränkungen ergeben. Soll eine Stellungnahme nur anonym behandelt werden, ist dies auf derselben eindeutig zu vermerken.

gez. J. Leffler

Bürgermeister

Anlage: