Titel Logo
Drei-Gleichen-Bote - Amtsblatt der Gemeinde Drei Gleichen
Ausgabe 8/2025
Gemeinde Drei Gleichen
Zurück zur vorigen Seite
Zurück zur ersten Seite der aktuellen Ausgabe

Amtlicher Teil

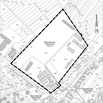
Geltungsbereich des Bebauungsplanes der Gemeinde Drei Gleichen für das Allgemeine Wohngebiet „Rockinger-Gelände“ im OT Wechmar.

zum Bebauungsplan der Gemeinde Drei Gleichen für das Allgemeine Wohngebiet (WA) gemäß § 4 BauNVO „Rockinger-Gelände“ im Ortsteil Wechmar

Der Gemeinderat der Gemeinde Drei Gleichen hat am 24.04.2025 mit Beschluss Nr. LG2-GR-2025/09-043 den Bebauungsplan für das Allgemeine Wohngebiet (WA) „Rockinger-Gelände“ im Ortsteil Wechmar, bestehend aus der Planzeichnung (Teil A) und dem Textteil (Teil B), gemäß § 10 Abs. 1 BauGB als Satzung beschlossen.

Der Antrag zur Genehmigung der Satzung wurde am 13.06.2025 beim Landratsamt Gotha eingereicht.

Das Landratsamt Gotha hat mit Schreiben vom 30.06.2025, Az.: P2025002, für den Bebauungsplan „Rockinger-Gelände“ die Genehmigung erteilt.

Der Bebauungsplan für das Allgemeine Wohngebiet (WA) „Rockinger-Gelände“ wird hiermit öffentlich bekannt gemacht.

Der Bebauungsplan tritt gemäß § 10 Abs. 3 Satz 4 BauGB mit dieser öffentlichen Bekanntmachung in Kraft.

Jedermann kann den rechtskräftigen Bebauungsplan und die Begründung mit Umweltbericht sowie die zusammenfassende Erklärung ab dem Tag der Bekanntmachung im Bauamt der Gemeinde Drei Gleichen, Schulstraße 1, 99869 Drei Gleichen, Ortsteil Wandersleben, während der Öffnungszeiten

Dienstag:

von 9:00 Uhr bis 12:00 Uhr und 13:00 bis 18:00 Uhr

Donnerstag:

von 13:00 Uhr bis 16:00 Uhr

Freitag

von 9:00 Uhr bis 12:00 Uhr

einsehen und über den Inhalt Auskunft verlangen.

Der rechtskräftige Bebauungsplan ist ergänzend auch auf der lnternetseite der Gemeinde Drei Gleichen unter: www.gemeinde-drei-gleichen.de eingestellt. Es wird darauf hingewiesen, dass das in Papierform vorliegende Satzungsexemplar maßgebend ist, da Abweichungen bei der elektronischen Wiedergabe nicht vollständig ausgeschlossen werden können.

Es wird darauf hingewiesen, dass nach § 215 Abs. 1 BauGB

eine beachtliche Verletzung der in § 214 Abs. 1 Satz 1 Nr. 1 - 3 BauGB bezeichneten Verfahrens- und Formvorschriften,

ein nach § 214 Abs. 3 Satz 2 BauGB beachtlicher Mangel des Abwägungsvorgangs nur beachtlich werden, wenn sie innerhalb eines Jahres seit Bekanntmachung des Bebauungsplans schriftlich gegenüber der Gemeinde geltend gemacht worden sind. Der Sachverhalt, der die Verletzung von Rechtsvorschriften oder den Mangel des Abwägungsvorgangs begründen soll, ist darzulegen. § 215 Abs. 1 Satz 1 BauGB gilt entsprechend, wenn Fehler nach § 214 Abs. 2a BauGB beachtlich sind.

Ist dieser Bebauungsplan unter Verletzung von Verfahrens- oder Formvorschriften, die in der Thüringer Kommunalordnung enthalten oder aufgrund der Thüringer Kommunalordnung erlassen worden sind, zustande gekommen, so ist die Verletzung gemäß § 21 Abs. 4 Satz 1 ThürKO unbeachtlich, wenn sie nicht innerhalb eines Jahres nach Bekanntmachung der Satzung gegenüber der Gemeinde unter Bezeichnung des Sachverhalts, der die Verletzung begründen soll, schriftlich geltend gemacht worden ist. Dies gilt nicht, wenn die Vorschriften über die Genehmigung, die Ausfertigung oder die Bekanntmachung der Satzung verletzt worden sind (§ 21 Abs. 4 Satz 2 ThürKO).

Wurde eine Verletzung von Verfahrens- oder Formvorschriften geltend gemacht, so kann auch nach Ablauf der Jahresfrist jedermann diese Verletzung geltend machen (§ 21 Abs. 4 Satz 2 ThürKO).

Auf die Vorschriften des § 44 Abs. 3 Satz 1 und 2 BauGB über die Fälligkeit etwaiger Entschädigungsansprüche im Falle der in den §§ 39 bis 42 BauGB bezeichneten Vermögensnachteile, deren Leistung schriftlich beim Entschädigungspflichtigen zu beantragen ist, und des § 44 Abs. 4 BauGB über das Erlöschen von Entschädigungsansprüchen, wenn der Antrag nicht innerhalb der Frist von drei Jahren gestellt ist, wird hingewiesen.

gez. J. Leffler

Bürgermeister

Bekanntmachungsvermerk:

Diese Bekanntmachung samt Übersichtsplan erfolgt im Amtsblatt der Gemeinde Drei Gleichen, Drei-Gleichen-Bote Nr. 08/2025 am 16.08.2025 und gilt mit diesem Tag als öffentlich bekannt gegeben.

gez. J. Leffler

Bürgermeister