Der vom Stadtrat der Stadt Mühlhausen in öffentlicher Sitzung am 18.06.2025 gebilligte und zur öffentlichen Auslegung bestimmte Entwurf der Änderung des Flächennutzungsplans, der Entwurf der Begründung und der dazu gehörende Umweltbericht sowie bereits vorliegende wesentliche Stellungnahmen mit Umweltbezug werden vom
31.07.2025 bis 05.09.2025 (einschließlich)
auf der Internetseite der Stadt Mühlhausen unter www.muehlhausen.de/rathaus-erkunden/amtliche-bekanntgaben/oeffentliche-auslegungen/ veröffentlicht und zusätzlich im Fachdienst Stadtplanung der Stadt Mühlhausen, Neue Straße 10, im 1. Obergeschoss (Treppenhausflur) während folgender Zeiten
| montags | von 9 - 12 Uhr |
| dienstags | von 9 - 12 und 13 - 18 Uhr |
| mittwochs | von 9 - 12 Uhr |
| donnerstags | von 9 - 12 und 13 - 16 Uhr |
| freitags | von 9 - 12 Uhr |
sowie in der Stadt-Werkstatt, Steinweg 4 (barrierefrei) während folgender Zeiten
| montags bis donnerstags | von 8 - 15:30 Uhr |
| freitags | von 8 - 13:00 Uhr |
öffentlich ausgelegt. Zusätzlich zu den genannten Zeiten können Termine zur Einsichtnahme vereinbart werden (Telefonnummer: 03601/452 341). Während der Auslegungsfrist können von jedermann Stellungnahmen unter stadtentwicklung-bauordnung@muehlhausen.de übermittelt werden. Bei Bedarf können Stellungnahmen auch schriftlich unter der Postanschrift (Ratsstraße 25) sowie innerhalb der Öffnungszeiten bzw. nach gesonderter Terminabsprache zur Niederschrift im Fachdienst Stadtplanung vorgebracht werden.
Es wird ausdrücklich darauf hingewiesen, dass nicht fristgerecht abgegebene Stellungnahmen bei der Beschlussfassung unberücksichtigt bleiben können.
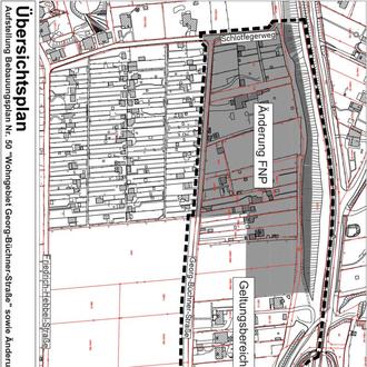
Der Änderungsbereich besitzt eine Größe von fast drei Hektar und befindet sich in der Flur 8 der Gemarkung Mühlhausen. Er begrenzt durch:
| im Süden: | Kleingartenanlage „Weinberg 1922 e. V. und Intensivgrünland sowie Gärten nördlich der Georg-Büchner-Straße; |
| im Osten: | Wohnbebauung Johannisstraße 128 und Gartenflächen sowie Grünland nördlich der Georg-Büchner-Straße |
| im Westen: | Gartenflächen westlich des Schlotfegerweg; |
| im Norden: | Böschungsbereich des Johannistalbachs. |
Der Änderungsbereich ist in dem abgebildeten Übersichtsplan dargestellt.
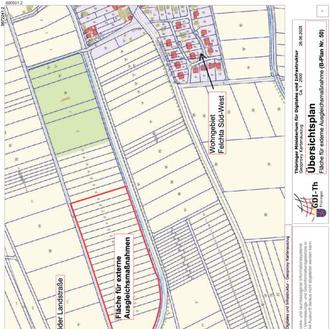
Durch die Änderung des FNP sollen die planungsrechtlichen Voraussetzungen zur Ausweisung eines Wohngebietes zur Errichtung von Einfamilienhäusern geschaffen sowie die vorhandene Bebauung abgerundet werden.
Neben dem Umweltbericht mit integriertem Grünordnungsplan sind folgende Dokumente verfügbar, die umweltbezogene Informationen enthalten:
| Art der vorhandenen Information | Thematischer Bezug |
| 4 Stellungnahmen mit Umweltbezug von Behörden und sonstigen Trägern öffentlicher Belange | Kulturgüter (Bodenfunde), Immissionsschutz, Baugrund/Ingenieurgeologie, Flächeninanspruchnahme, Artenschutz, Landschaftsplan |
| 2 Stellungnahmen von Naturschutzverbänden | Überbauungsgrad, Artenschutz, Boden- und Grundwasserschutz |
| Artenschutzfachbeitrag als Bestandteil des Umweltberichtes des B-Plan Nr. 50 (Urheber: Planungsbüro Dr. Weise, Mühlhausen) | Spezielle artenschutzrechtliche Prüfung bzgl. europäisch geschützter Arten |
Hinweise:
Im Zuge der parallel zur Änderung des FNP stattfindenden Aufstellung des Bebauungsplans Nr. 50 „Wohngebiet Georg-Büchner-Straße“ wurden die Belange des Umweltschutzes detailliert ermittelt und bewertet und in einem Umweltbericht dargelegt. Da sich der Änderungsbereich des FNP komplett im Bereich des B-Plans Nr. 50 befindet und mit der Änderung des FNP keine anderen Umweltauswirkungen zu erwarten sind, wird für die FNP-Änderung kein separater Umweltbericht erstellt (§ 2 Abs. 4 Satz 5 BauGB). Im Zuge der Erarbeitung des Entwurfs des B-Plans Nr. 50 wurden ein Artenschutzfachbeitrag und ein Grünordnungsplan erstellt. Die Unterlagen sind in den Umweltbericht zum Bebauungsplan integriert und stehen ebenfalls zur Verfügung.
Hinsichtlich der Umweltbelange wurden insbesondere die Auswirkungen auf Menschen, Tiere, Pflanzen / Biotope, den Boden, Wasser, das Landschaftsbild sowie Klima / Luft und Kultur- / Sachgüter geprüft. Diese sind im Umweltbericht dargelegt.
Bei der Abgabe von Stellungnahmen ist die Angabe der Anschrift des Verfassers zweckmäßig. Eine Mitteilung des Abwägungsergebnisses ist andernfalls nicht möglich. Ohne Zuordnung der Stellungnahme kann die Einschätzung der Betroffenheit privater Belange erschwert sein. Mit der Abgabe der Stellungnahme werden die personenbezogenen Daten ausschließlich zum Zwecke der Durchführung des Bebauungsplanverfahrens verarbeitet. Über die eingegangenen Stellungnahmen wird in öffentlicher Sitzung des Stadtrates beraten und entschieden, sofern sich nicht aus der Art der Einwände oder der betroffenen Personen ausdrückliche oder offensichtliche Einschränkungen ergeben. Soll eine Stellungnahme nur anonym behandelt werden, ist dies auf derselben eindeutig zu vermerken.
Gemäß § 3 Abs. 3 BauGB wird darauf hingewiesen, dass eine Vereinigung im Sinne des § 4 Absatz 3 Satz 1 Nummer 2 des Umwelt-Rechtsbehelfsgesetzes in einem Rechtsbehelfsverfahren nach § 7 Absatz 2 des Umwelt-Rechtsbehelfsgesetzes gemäß § 7 Absatz 3 Satz 1 des Umwelt-Rechtsbehelfsgesetzes mit allen Einwendungen ausgeschlossen ist, die sie im Rahmen der Auslegungsfrist nicht oder nicht rechtzeitig geltend gemacht hat, aber hätte geltend machen können.
Mühlhausen, den 01.07.2025
i.V. Riemann
Dr. Bruns — -Siegel-
Oberbürgermeister